
Bovenstraatweg 64-A-K2 is een adres in Oldebroek, dat zich bevindt binnen de gemeentegrenzen van Oldebroek en de grenzen van de provincie Gelderland. De oppervlakte van het object bedraagt 21 m². Dat is klein vergeleken met het Nederlandse gemiddelde. Het perceel waarop het adres ligt is 9920 m² groot. Het object is klein ten opzichte van de andere adressen in de straat. Het grootste verblijfsobject is 528 m² groot en het kleinste is 2 m². Het adres Bovenstraatweg 64-A-K2 ligt in een relatief oud pand uit het jaar 1846. Panden van vóór het jaar 1965 hebben we hier geclassificeerd als oud. In de straat komt het nieuwste gebouw uit het jaar 2026 en het oudste uit 1700. Het bouwjaar van dit object is relatief oud. Het verblijfsobject heeft de volgende gebruiksdoelen: 'woonfunctie' en 'gezondheidszorgfunctie'.
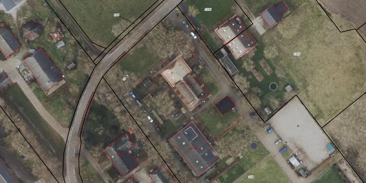
Het perceel waarop het adres ligt is ODB01-AK-318. De afkorting 'ODB01' staat voor kadastrale gemeente Oldebroek. De gemiddelde perceeloppervlakte in de kadastrale gemeente Oldebroek is 5931,78 m². Dit perceel is met zijn 9920 m² dus groter dan gemiddeld. De grootste perceeloppervlakte in de kadastrale gemeente is 4,56 km². De kleinste oppervlakte bedraagt 0 m². Op het perceel zijn 16 adressen aanwezig. De huidige grenzen van het perceel zijn digitaal in de Basisregistratie Kadaster (BRK) geregistreerd op 18-02-2020.
Bij de laatste meting is voor het adres het energielabel G geregistreerd. Het hoogste energielabel in de straat is A+++; het laagste is G. Het gemiddelde energielabel is er D. Het adres Bovenstraatweg 64-A-K2 heeft als status: 'verblijfsobject in gebruik'. Het pand waarin dit adres ligt heeft als status: 'pand in gebruik'.
Bovenstraatweg 64-A-K2 is een adres gelegen in de gemeente Oldebroek, provincie Gelderland. Dit adres is geregistreerd in de Basisregistratie Adressen en Gebouwen (BAG) met als unieke identificatie 0269010000010865.
Het pand op Bovenstraatweg 64-A-K2 is gebouwd in 1846, wat betekent dat het 180 jaar oud is. Dit is een ouder pand. Het pand heeft mogelijk aanzienlijke renovaties nodig om aan de huidige standaarden te voldoen.
De woning op Bovenstraatweg 64-A-K2 heeft een gebruiksoppervlakte van 21 m². Dit is relatief klein vergeleken met de gemiddelde Nederlandse woning, die een oppervlakte heeft van ongeveer 119 m². De gebruiksoppervlakte is de maat die wordt gebruikt in de BAG-registratie, de landelijke registratie van de Nederlandse overheid.
Bovenstraatweg 64-A-K2 heeft als functie: wonen en gezondheidszorg. Deze gebruiksfunctie(s) zijn vastgelegd in de BAG-registratie en geven aan waarvoor het adres officieel mag worden gebruikt.
Bovenstraatweg 64-A-K2 is gelegen op kadastraal perceel ODB01AK318. Deze kadastrale aanduiding is uniek en wordt gebruikt door het Kadaster om eigendomsrechten en andere zakelijke rechten vast te leggen. Het perceel maakt onderdeel uit van de kadastrale gemeente Oldebroek.
Het perceel waarop Bovenstraatweg 64-A-K2 staat heeft een oppervlakte van 9920 m². Dit is een zeer groot perceel. De perceeloppervlakte wordt geregistreerd door het Kadaster. Gedetailleerde informatie over de maten van dit perceel kunt u vinden in het rapport Kadastrale kaart met maatvoering van Bovenstraatweg 64-A-K2.
De eigenaar van Bovenstraatweg 64-A-K2 is op te vragen op deze pagina.
De informatie over dit adres is afkomstig uit officiële overheidsregistraties, voornamelijk de Basisregistratie Adressen en Gebouwen (BAG) en de Basisregistratie Kadaster (BRK). Deze gegevens worden beheerd door respectievelijk gemeenten en het Kadaster, en worden regelmatig bijgewerkt. Energielabelgegevens komen uit de database van de Rijksdienst voor Ondernemend Nederland (RVO).
