
Het adres Diesdonkerweg 24 bevindt zich in de plaats Ommel, in de gemeente Ommel en de provincie Noord-Brabant. De oppervlakte bedraagt 230 m², waarmee het adres groter dan gemiddeld is. De grootte van het perceel waarop het adres ligt is 2,3 ha. Het object is klein ten opzichte van de andere adressen in de straat. Het grootste verblijfsobject is 2712 m² groot en het kleinste is 20 m². Diesdonkerweg 24 bevindt zich in een pand uit het jaar 1926. Daarmee behoort het tot de groep relatief oude panden in Nederland die gebouwd zijn vóór 1965. In de straat komt het nieuwste gebouw uit het jaar 2024 en het oudste uit 1900. Het bouwjaar van dit object is relatief oud. Het verblijfsobject heeft de volgende gebruiksdoelen: 'woonfunctie'.
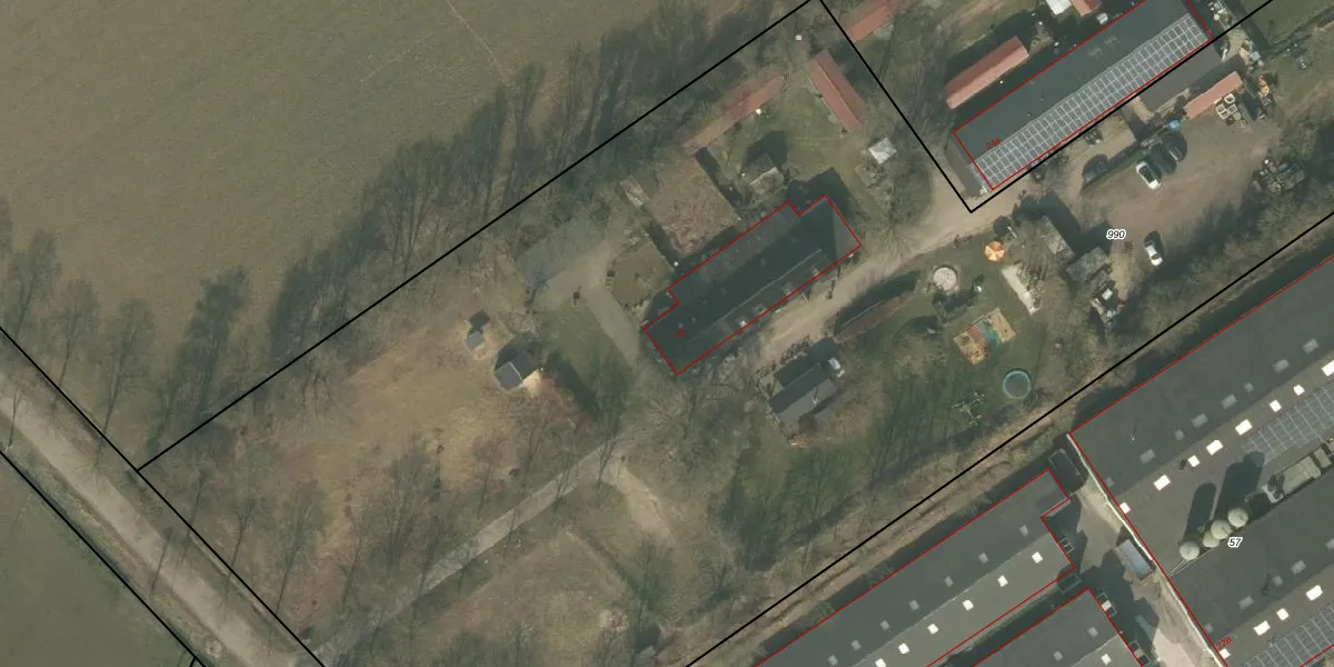
Het perceel waarop het adres ligt is ATN01-M-990. De afkorting 'ATN01' staat voor kadastrale gemeente Asten. De gemiddelde perceeloppervlakte in de kadastrale gemeente Asten is 6611 m². Dit perceel is met zijn 2,3 ha dus groter dan gemiddeld. Het grootste perceel in de kadastrale gemeente is 3,95 km². Het kleinste perceel heeft een oppervlakte van 0 m². Er zijn geen andere adressen aanwezig op het perceel. In de Basisregistratie Kadaster (BRK) werden de grenzen van het perceel geregistreerd op 11-02-2008.
Er is geen energielabel geregistreerd voor het adres. Het hoogste energielabel in de straat is A; het laagste is G. Het gemiddelde energielabel is er D. Het adres Diesdonkerweg 24 heeft als status: 'verblijfsobject in gebruik'. Het pand waarin dit adres ligt heeft als status: 'pand in gebruik'.
Diesdonkerweg 24 is een adres gelegen in de gemeente Asten, provincie Noord-Brabant. Dit adres is geregistreerd in de Basisregistratie Adressen en Gebouwen (BAG) met als unieke identificatie 0743010000006567.
Het pand op Diesdonkerweg 24 is gebouwd in 1926, wat betekent dat het 100 jaar oud is. Dit is een ouder pand. Het pand heeft mogelijk aanzienlijke renovaties nodig om aan de huidige standaarden te voldoen.
De woning op Diesdonkerweg 24 heeft een gebruiksoppervlakte van 230 m². Dit is ruim vergeleken met de gemiddelde Nederlandse woning, die een oppervlakte heeft van ongeveer 119 m². De gebruiksoppervlakte is de maat die wordt gebruikt in de BAG-registratie, de landelijke registratie van de Nederlandse overheid.
Diesdonkerweg 24 heeft als functie: wonen. Deze gebruiksfunctie(s) zijn vastgelegd in de BAG-registratie en geven aan waarvoor het adres officieel mag worden gebruikt.
Diesdonkerweg 24 is gelegen op kadastraal perceel ATN01M990. Deze kadastrale aanduiding is uniek en wordt gebruikt door het Kadaster om eigendomsrechten en andere zakelijke rechten vast te leggen. Het perceel maakt onderdeel uit van de kadastrale gemeente Asten.
Het perceel waarop Diesdonkerweg 24 staat heeft een oppervlakte van 2,3 ha. Dit is een zeer groot perceel. De perceeloppervlakte wordt geregistreerd door het Kadaster. Gedetailleerde informatie over de maten van dit perceel kunt u vinden in het rapport Kadastrale kaart met maatvoering van Diesdonkerweg 24.
De eigenaar van Diesdonkerweg 24 is op te vragen op deze pagina.
De informatie over dit adres is afkomstig uit officiële overheidsregistraties, voornamelijk de Basisregistratie Adressen en Gebouwen (BAG) en de Basisregistratie Kadaster (BRK). Deze gegevens worden beheerd door respectievelijk gemeenten en het Kadaster, en worden regelmatig bijgewerkt. Energielabelgegevens komen uit de database van de Rijksdienst voor Ondernemend Nederland (RVO).
