
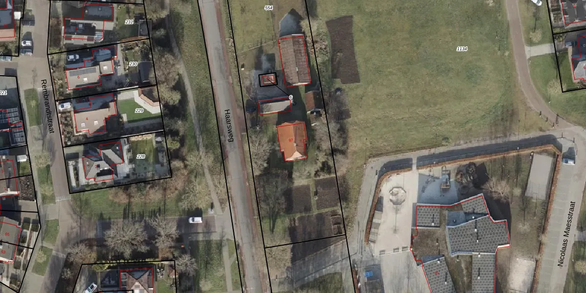
Haarsweg 97 is een adres in Ommen, dat zich bevindt binnen de gemeentegrenzen van Ommen en de grenzen van de provincie Overijssel. De oppervlakte van het adres is 138 m². Dat is vergelijkbaar met het gemiddelde Nederlandse oppervlakte van 119 m². De oppervlakte van het perceel waarin het adres ligt is 3256 m². Het adres is klein vergeleken met andere objecten in de straat. Het grootste object in de straat heeft een oppervlakte van 1479 m², het kleinste is 8 m² groot. Haarsweg 97 bevindt zich in een pand uit het jaar 1925. Daarmee behoort het tot de groep relatief oude panden in Nederland die gebouwd zijn vóór 1965. Gemiddeld zijn de gebouwen in de straat gebouwd in 1980. Dit is het oudste pand in de straat. Het meest recente komt uit het jaar 2016. De volgende gebruiksdoelen zijn geregistreerd voor dit adres: 'woonfunctie'.
Het adres ligt op het perceel OMN02-E-554, dat zich in de kadastrale gemeente Stad-Ommen bevindt. De oppervlakte van het perceel is 3256 m². Dat is groter dan gemiddeld in Stad-Ommen, waar de gemiddelde perceeloppervlakte op 2984,62 m² ligt. Het grootste perceel in de kadastrale gemeente is 81,9 ha. Het kleinste perceel heeft een oppervlakte van 0 m². Op het perceel bevinden zich geen andere adressen. De huidige grenzen van het perceel zijn digitaal in de Basisregistratie Kadaster (BRK) geregistreerd op 16-12-2009.
Er is geen energielabel geregistreerd voor het adres. Het hoogste energielabel in de straat is A+; het laagste is G. Het gemiddelde energielabel is er C. Het adres Haarsweg 97 heeft als status: 'verblijfsobject in gebruik'. Het pand waarin dit adres ligt heeft als status: 'pand in gebruik'.
Haarsweg 97 is een adres gelegen in de gemeente Ommen, provincie Overijssel. Dit adres is geregistreerd in de Basisregistratie Adressen en Gebouwen (BAG) met als unieke identificatie 0175010000002943.
Het pand op Haarsweg 97 is gebouwd in 1925, wat betekent dat het 101 jaar oud is. Dit is een ouder pand. Het pand heeft mogelijk aanzienlijke renovaties nodig om aan de huidige standaarden te voldoen.
De woning op Haarsweg 97 heeft een gebruiksoppervlakte van 138 m². Dit is gemiddeld vergeleken met de gemiddelde Nederlandse woning, die een oppervlakte heeft van ongeveer 119 m². De gebruiksoppervlakte is de maat die wordt gebruikt in de BAG-registratie, de landelijke registratie van de Nederlandse overheid.
Haarsweg 97 heeft als functie: wonen. Deze gebruiksfunctie(s) zijn vastgelegd in de BAG-registratie en geven aan waarvoor het adres officieel mag worden gebruikt.
Haarsweg 97 is gelegen op kadastraal perceel OMN02E554. Deze kadastrale aanduiding is uniek en wordt gebruikt door het Kadaster om eigendomsrechten en andere zakelijke rechten vast te leggen. Het perceel maakt onderdeel uit van de kadastrale gemeente Stad-Ommen.
Het perceel waarop Haarsweg 97 staat heeft een oppervlakte van 3256 m². Dit is een zeer groot perceel. De perceeloppervlakte wordt geregistreerd door het Kadaster. Gedetailleerde informatie over de maten van dit perceel kunt u vinden in het rapport Kadastrale kaart met maatvoering van Haarsweg 97.
De eigenaar van Haarsweg 97 is op te vragen op deze pagina.
De informatie over dit adres is afkomstig uit officiële overheidsregistraties, voornamelijk de Basisregistratie Adressen en Gebouwen (BAG) en de Basisregistratie Kadaster (BRK). Deze gegevens worden beheerd door respectievelijk gemeenten en het Kadaster, en worden regelmatig bijgewerkt. Energielabelgegevens komen uit de database van de Rijksdienst voor Ondernemend Nederland (RVO).
