Product Functies Prijzen Meer

Adressen

Gebruik de zoekbalk of klik op een perceel voor informatie over de adressen binnen dit perceel.
Locatie
Meten
Lagen
Download

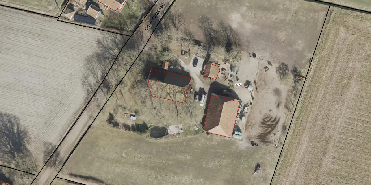
Oosterholtsweg 2

9591VE, Onstwedde

€ 1519312 Wat moet ik bieden voor deze woning?
89 m²
woonfunctie
11.780 m² perceeloppervlakte
G

Het adres Oosterholtsweg 2 bevindt zich in de plaats Onstwedde, in de gemeente Onstwedde en de provincie Groningen. Het perceel waarop het adres gelegen is heeft een oppervlakte van 1,2 ha. Het verblijfsobject is met 89 m² relatief klein. De oppervlakte van dit adres is groot vergeleken met de oppervlaktes van andere adressen in de straat. De kleinste oppervlakte bedraagt er 48 m², de grootste 119 m². Het gebouw waarin Oosterholtsweg 2 ligt komt uit het jaar 1900. Objecten die gebouwd zijn vóór 1965 classificeren we hier als oud. Het gemiddelde bouwjaar in de straat is 1882 en dat van het oudste pand is 1850. Dit is het nieuwste object in de straat. Voor het verblijfsobject gelden deze gebruiksdoelen: 'woonfunctie'.

Verkoopdata beschikbaar

Deze woning is voor het laatst verkocht op 1 november 2016. Meer informatie over deze transactie? Bestel het Woningtransactierapport om de verkoopprijs en andere informatie te zien.

Perceel

Het adres ligt op het perceel OWD00-T-1277, dat zich in de kadastrale gemeente Onstwedde bevindt. Het perceel is met 1,2 ha relatief groot. Het gemiddelde ligt in de kadastrale gemeente Onstwedde op 6381,28 m². Het kleinste perceel in de kadastrale gemeente is 0 m² groot. De grootste perceeloppervlakte is 1,07 km². Dit is het enige adres dat aanwezig is op het perceel. In de Basisregistratie Kadaster (BRK) werden de grenzen van het perceel geregistreerd op 25-09-2012.

Energielabel en status

Het adres ligt in een gebouw van het type 'vrijstaande woning'. Bij de laatste meting is voor het adres het energielabel G geregistreerd. Het hoogste energielabel in de straat is A; het laagste is G. Het gemiddelde energielabel is er E. Het adres Oosterholtsweg 2 heeft als status: 'verblijfsobject in gebruik'. Het pand waarin dit adres ligt heeft als status: 'pand in gebruik'.

Meer lezen

Adres

Gebruiksoppervlakte
89 m²
Bruto vloeroppervlakte
WJDs9ffYKL9Upgrade naar KadastraleKaart Pro
Gebruiksdoel(en)
Woonfunctie
Status
Verblijfsobject in gebruik
Type
Vrijstaande woning
Gasloos
e8 w7qH8b liC EZ8m8vUpgrade naar KadastraleKaart Pro
Gebeurtenissen
Appartementsrechten
PSI OzpDDUpgrade naar KadastraleKaart Pro
Eigenaar
Eigendomsinformatie 12,95
Adresinformatie bestellen
Adrespakket 34,95
VBO ID
0037010000365225
Woning laatst verkocht in
2016 -
Verkoopprijs opvragen 8,95

Pand

Bouwjaar pand
1900
Aantal adressen in dit gebouw
1 adres
Hoogte pand
Hg ZM KsTmFB zxUpgrade naar KadastraleKaart Pro
Aantal bouwlagen (schatting)
I3vb9nCDnonUpgrade naar KadastraleKaart Pro
Volume
AxmlZcFIf tUpgrade naar KadastraleKaart Pro
Oppervlakte dak
orQ 4Xy5OJ lr7PUpgrade naar KadastraleKaart Pro
Oppervlakte buitenmuur
iMVUEurmpLQrPKosTUpgrade naar KadastraleKaart Pro
Status pand
Pand in gebruik
Pand ID
0037100000013384

Perceel

Kadastrale aanduiding
Onstwedde T 1277 (OWD00 T 1277)
Oppervlakte
11.780 m²
Maatvoering
Kadastrale kaart met maatvoering 59,95
Omtrek
447 meter
Datum laatst gewijzigd
25/09/2012
Aantal adressen op perceel
1
Hoogte boven N.A.P.
rD1P cMdmiUpgrade naar KadastraleKaart Pro

Veelgestelde vragen

Oosterholtsweg 2 is een adres gelegen in de gemeente Stadskanaal, provincie Groningen. Dit adres is geregistreerd in de Basisregistratie Adressen en Gebouwen (BAG) met als unieke identificatie 0037010000365225.

Het pand op Oosterholtsweg 2 is gebouwd in 1900, wat betekent dat het 126 jaar oud is. Dit is een ouder pand. Het pand heeft mogelijk aanzienlijke renovaties nodig om aan de huidige standaarden te voldoen.

De woning op Oosterholtsweg 2 heeft een gebruiksoppervlakte van 89 m². Dit is onder het gemiddelde vergeleken met de gemiddelde Nederlandse woning, die een oppervlakte heeft van ongeveer 119 m². De gebruiksoppervlakte is de maat die wordt gebruikt in de BAG-registratie, de landelijke registratie van de Nederlandse overheid.

Oosterholtsweg 2 heeft als functie: wonen. Deze gebruiksfunctie(s) zijn vastgelegd in de BAG-registratie en geven aan waarvoor het adres officieel mag worden gebruikt.

Oosterholtsweg 2 is gelegen op kadastraal perceel OWD00T1277. Deze kadastrale aanduiding is uniek en wordt gebruikt door het Kadaster om eigendomsrechten en andere zakelijke rechten vast te leggen. Het perceel maakt onderdeel uit van de kadastrale gemeente Onstwedde.

Het perceel waarop Oosterholtsweg 2 staat heeft een oppervlakte van 1,2 ha. Dit is een zeer groot perceel. De perceeloppervlakte wordt geregistreerd door het Kadaster. Gedetailleerde informatie over de maten van dit perceel kunt u vinden in het rapport Kadastrale kaart met maatvoering van Oosterholtsweg 2.

De eigenaar van Oosterholtsweg 2 is op te vragen op deze pagina.

De informatie over dit adres is afkomstig uit officiële overheidsregistraties, voornamelijk de Basisregistratie Adressen en Gebouwen (BAG) en de Basisregistratie Kadaster (BRK). Deze gegevens worden beheerd door respectievelijk gemeenten en het Kadaster, en worden regelmatig bijgewerkt. Energielabelgegevens komen uit de database van de Rijksdienst voor Ondernemend Nederland (RVO).

Maatvoeringsrapport

Wie is de eigenaar?

Bekijk de eigenaar van Oosterholtsweg 2 met de eigendomsinformatie.
Bekijk de eigenaar van dit adres.
Maatvoeringsrapport

Maatvoering van het perceel

Bestel de maatvoering voor Oosterholtsweg 2 met het maatvoeringsrapport.
Bestel de maatvoering voor dit adres.

360°-foto's van de omgeving

Google Street View
Upgrade nu voor 360° Street View foto's

Zon en schaduw rondom adres

Buurt
Onstwedde Buitengebied Zuid
Inwoners: 615
Woningen: 222
Wijk
Onstwedde
Inwoners: 2.960
Woningen: 1.283
Gemeente
Stadskanaal
Inwoners: 32.013
Woningen: 15.170