
Benedendorpsweg 188-C is gelegen in de plaats Oosterbeek, de gemeente Renkum en de provincie Gelderland. De oppervlakte van het object bedraagt 95 m². Dat is klein vergeleken met het Nederlandse gemiddelde. Het perceel waarop het adres ligt is 910 m² groot. Het object is klein ten opzichte van de andere adressen in de straat. Het grootste verblijfsobject is 625 m² groot en het kleinste is 5 m². Het gebouw waarin Benedendorpsweg 188-C ligt komt uit het jaar 1955. Objecten die gebouwd zijn vóór 1965 classificeren we hier als oud. Veel andere gebouwen in de straat zijn ouder dan dit pand. Het oudste pand komt uit het jaar 1100 en het nieuwste uit 2024. De volgende gebruiksdoelen zijn geregistreerd voor dit adres: 'overige gebruiksfunctie'.
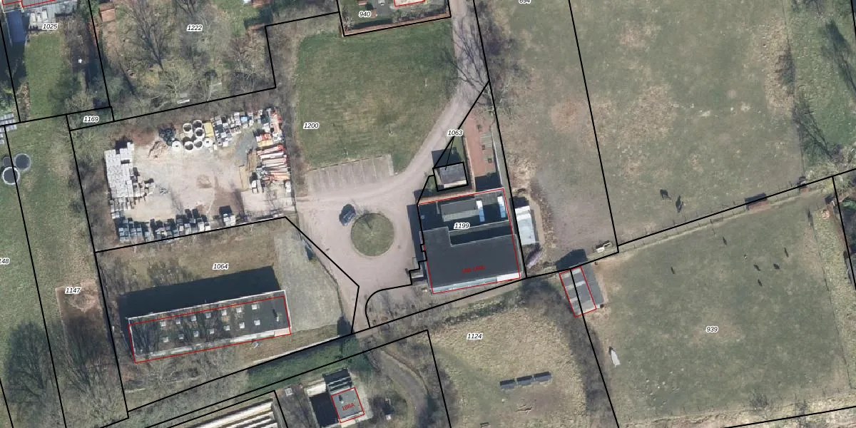
Het perceel waarop het adres ligt is OTB00-E-1199. De afkorting 'OTB00' staat voor kadastrale gemeente Oosterbeek. Het perceel is 910 m² groot. Dat is kleiner dan de gemiddelde perceeloppervlakte in Oosterbeek, dat op 2478,07 m² ligt. Het kleinste perceel in de kadastrale gemeente is 0 m² groot. De grootste perceeloppervlakte is 32,7 ha. Op het perceel zijn 3 adressen aanwezig. De laatste wijziging in het de Basisregistratie Kadaster (BRK) was op 16-10-2015.
Er is geen energielabel geregistreerd voor het adres. Het hoogste energielabel in de straat is A+++; het laagste is G. Het gemiddelde energielabel is er D. Het adres Benedendorpsweg 188-C heeft als status: 'verblijfsobject in gebruik'. Het pand waarin dit adres ligt heeft als status: 'pand in gebruik'.
Benedendorpsweg 188-C is een adres gelegen in de gemeente Renkum, provincie Gelderland. Dit adres is geregistreerd in de Basisregistratie Adressen en Gebouwen (BAG) met als unieke identificatie 0274010000265535.
Het pand op Benedendorpsweg 188-C is gebouwd in 1955, wat betekent dat het 71 jaar oud is. Dit is een ouder pand. Het pand heeft mogelijk aanzienlijke renovaties nodig om aan de huidige standaarden te voldoen.
De woning op Benedendorpsweg 188-C heeft een gebruiksoppervlakte van 95 m². Dit is onder het gemiddelde vergeleken met de gemiddelde Nederlandse woning, die een oppervlakte heeft van ongeveer 119 m². De gebruiksoppervlakte is de maat die wordt gebruikt in de BAG-registratie, de landelijke registratie van de Nederlandse overheid.
Benedendorpsweg 188-C heeft als functie: overige doeleinden. Deze gebruiksfunctie(s) zijn vastgelegd in de BAG-registratie en geven aan waarvoor het adres officieel mag worden gebruikt.
Benedendorpsweg 188-C is gelegen op kadastraal perceel OTB00E1199. Deze kadastrale aanduiding is uniek en wordt gebruikt door het Kadaster om eigendomsrechten en andere zakelijke rechten vast te leggen. Het perceel maakt onderdeel uit van de kadastrale gemeente Oosterbeek.
Het perceel waarop Benedendorpsweg 188-C staat heeft een oppervlakte van 910 m². Dit is een groot perceel. De perceeloppervlakte wordt geregistreerd door het Kadaster. Gedetailleerde informatie over de maten van dit perceel kunt u vinden in het rapport Kadastrale kaart met maatvoering van Benedendorpsweg 188-C.
De eigenaar van Benedendorpsweg 188-C is op te vragen op deze pagina.
De informatie over dit adres is afkomstig uit officiële overheidsregistraties, voornamelijk de Basisregistratie Adressen en Gebouwen (BAG) en de Basisregistratie Kadaster (BRK). Deze gegevens worden beheerd door respectievelijk gemeenten en het Kadaster, en worden regelmatig bijgewerkt. Energielabelgegevens komen uit de database van de Rijksdienst voor Ondernemend Nederland (RVO).
