
Alsemhof 20 is een adres in Oosterhout, dat zich bevindt binnen de gemeentegrenzen van Oosterhout en de grenzen van de provincie Noord-Brabant. Het perceel waarop het verblijfsobject staat is 184 m² groot. De oppervlakte van het adres is 137 m², wat zich rond het Nederlandse gemiddelde van 119 m² bevindt. De oppervlakte van dit adres is groot vergeleken met de oppervlaktes van andere adressen in de straat. De kleinste oppervlakte bedraagt er 11 m², de grootste 185 m². De meeste Nederlandse gebouwen zijn gebouwd in de periode 1965-1984. Zo ook het pand waarin Alsemhof 20 ligt, dat gebouwd is in 1975. Dit is het oudste object in de straat. Het nieuwste pand komt uit 1976 en het gemiddelde bouwjaar in de straat is 1975. De volgende gebruiksdoelen zijn geregistreerd voor dit adres: 'woonfunctie'.
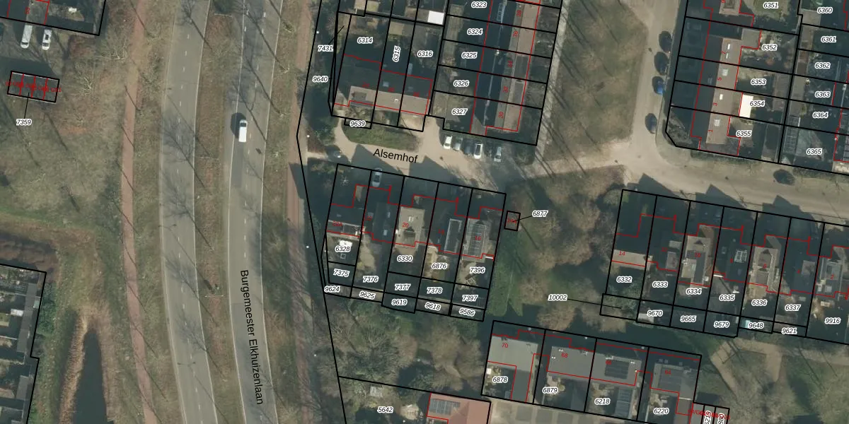
Het adres ligt op het perceel OTH01-R-6330, dat zich in de kadastrale gemeente Oosterhout bevindt. Het perceel is 184 m² groot. Dat is kleiner dan de gemiddelde perceeloppervlakte in Oosterhout, dat op 2785,21 m² ligt. De grootste perceeloppervlakte in de kadastrale gemeente is 75,9 ha. De kleinste oppervlakte bedraagt 0 m². Er zijn geen andere adressen aanwezig op het perceel. De huidige grenzen van het perceel zijn digitaal in de Basisregistratie Kadaster (BRK) geregistreerd op 25-10-2006.
Er is geen energielabel geregistreerd voor het adres. Het hoogste energielabel in de straat is A+; het laagste is G. Het gemiddelde energielabel is er C. Het adres Alsemhof 20 heeft als status: 'verblijfsobject in gebruik'. Het pand waarin dit adres ligt heeft als status: 'pand in gebruik'.
Alsemhof 20 is een adres gelegen in de gemeente Oosterhout, provincie Noord-Brabant. Dit adres is geregistreerd in de Basisregistratie Adressen en Gebouwen (BAG) met als unieke identificatie 0826010000000533.
Het pand op Alsemhof 20 is gebouwd in 1975, wat betekent dat het 51 jaar oud is. Dit is een ouder pand. Het pand heeft mogelijk aanzienlijke renovaties nodig om aan de huidige standaarden te voldoen.
De woning op Alsemhof 20 heeft een gebruiksoppervlakte van 137 m². Dit is gemiddeld vergeleken met de gemiddelde Nederlandse woning, die een oppervlakte heeft van ongeveer 119 m². De gebruiksoppervlakte is de maat die wordt gebruikt in de BAG-registratie, de landelijke registratie van de Nederlandse overheid.
Alsemhof 20 heeft als functie: wonen. Deze gebruiksfunctie(s) zijn vastgelegd in de BAG-registratie en geven aan waarvoor het adres officieel mag worden gebruikt.
Alsemhof 20 is gelegen op kadastraal perceel OTH01R6330. Deze kadastrale aanduiding is uniek en wordt gebruikt door het Kadaster om eigendomsrechten en andere zakelijke rechten vast te leggen. Het perceel maakt onderdeel uit van de kadastrale gemeente Oosterhout.
Het perceel waarop Alsemhof 20 staat heeft een oppervlakte van 184 m². Dit is een middelgroot perceel. De perceeloppervlakte wordt geregistreerd door het Kadaster. Gedetailleerde informatie over de maten van dit perceel kunt u vinden in het rapport Kadastrale kaart met maatvoering van Alsemhof 20.
De eigenaar van Alsemhof 20 is op te vragen op deze pagina.
De informatie over dit adres is afkomstig uit officiële overheidsregistraties, voornamelijk de Basisregistratie Adressen en Gebouwen (BAG) en de Basisregistratie Kadaster (BRK). Deze gegevens worden beheerd door respectievelijk gemeenten en het Kadaster, en worden regelmatig bijgewerkt. Energielabelgegevens komen uit de database van de Rijksdienst voor Ondernemend Nederland (RVO).
