
Mercurius 45 is gelegen in de plaats Oosterhout, de gemeente Oosterhout en de provincie Noord-Brabant. De oppervlakte van het object bedraagt 96 m². Dat is klein vergeleken met het Nederlandse gemiddelde. Het perceel waarop het adres ligt is 3568 m² groot. Het object is klein ten opzichte van de andere adressen in de straat. Het grootste verblijfsobject is 184 m² groot en het kleinste is 8 m². De meeste Nederlandse gebouwen zijn gebouwd in de periode 1965-1984. Zo ook het pand waarin Mercurius 45 ligt, dat gebouwd is in 1975. In de straat komt het nieuwste gebouw uit het jaar 1976 en het oudste uit 1974. Het bouwjaar van dit object is relatief oud. Voor het verblijfsobject gelden deze gebruiksdoelen: 'woonfunctie'.
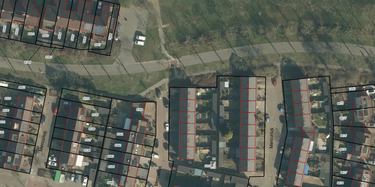
Het perceel waarop het adres ligt is OTH01-R-6201. De afkorting 'OTH01' staat voor kadastrale gemeente Oosterhout. Het perceel is met 3568 m² relatief groot. Het gemiddelde ligt in de kadastrale gemeente Oosterhout op 2773,27 m². De grootste perceeloppervlakte in de kadastrale gemeente is 75,9 ha. De kleinste oppervlakte bedraagt 0 m². Op het perceel zijn 20 adressen aanwezig. De laatste wijziging in het de Basisregistratie Kadaster (BRK) was op 16-10-2006.
Het adres ligt in een gebouw van het type 'rijwoning hoek'. Bij de laatste meting is voor het adres het energielabel A geregistreerd. Het hoogste energielabel in de straat is A+; het laagste is G. Het gemiddelde energielabel is er A. Het adres Mercurius 45 heeft als status: 'verblijfsobject in gebruik'. Het pand waarin dit adres ligt heeft als status: 'pand in gebruik'.
Mercurius 45 is een adres gelegen in de gemeente Oosterhout, provincie Noord-Brabant. Dit adres is geregistreerd in de Basisregistratie Adressen en Gebouwen (BAG) met als unieke identificatie 0826010000014297.
Het pand op Mercurius 45 is gebouwd in 1975, wat betekent dat het 51 jaar oud is. Dit is een ouder pand. Het pand heeft mogelijk aanzienlijke renovaties nodig om aan de huidige standaarden te voldoen.
De woning op Mercurius 45 heeft een gebruiksoppervlakte van 96 m². Dit is onder het gemiddelde vergeleken met de gemiddelde Nederlandse woning, die een oppervlakte heeft van ongeveer 119 m². De gebruiksoppervlakte is de maat die wordt gebruikt in de BAG-registratie, de landelijke registratie van de Nederlandse overheid.
Mercurius 45 heeft als functie: wonen. Deze gebruiksfunctie(s) zijn vastgelegd in de BAG-registratie en geven aan waarvoor het adres officieel mag worden gebruikt.
Mercurius 45 is gelegen op kadastraal perceel OTH01R6201. Deze kadastrale aanduiding is uniek en wordt gebruikt door het Kadaster om eigendomsrechten en andere zakelijke rechten vast te leggen. Het perceel maakt onderdeel uit van de kadastrale gemeente Oosterhout.
Het perceel waarop Mercurius 45 staat heeft een oppervlakte van 3568 m². Dit is een zeer groot perceel. De perceeloppervlakte wordt geregistreerd door het Kadaster. Gedetailleerde informatie over de maten van dit perceel kunt u vinden in het rapport Kadastrale kaart met maatvoering van Mercurius 45.
De eigenaar van Mercurius 45 is op te vragen op deze pagina.
De informatie over dit adres is afkomstig uit officiële overheidsregistraties, voornamelijk de Basisregistratie Adressen en Gebouwen (BAG) en de Basisregistratie Kadaster (BRK). Deze gegevens worden beheerd door respectievelijk gemeenten en het Kadaster, en worden regelmatig bijgewerkt. Energielabelgegevens komen uit de database van de Rijksdienst voor Ondernemend Nederland (RVO).
