
Strausshof 73-G02 is een adres in Oosterhout, dat zich bevindt binnen de gemeentegrenzen van Oosterhout en de grenzen van de provincie Noord-Brabant. Het verblijfsobject is vergeleken met het Nederlandse gemiddelde aan de kleine kant: de oppervlakte is 15 m². Het perceel waarop het adres zich bevindt heeft een oppervlakte van 891 m². Dit is het kleinste object van de straat. De gemiddelde oppervlakte van verblijfsobjecten is er 72 m². De grootste oppervlakte in de straat is 302 m². De meeste Nederlandse gebouwen zijn gebouwd in de periode 1965-1984. Zo ook het pand waarin Strausshof 73-G02 ligt, dat gebouwd is in 1974. Gemiddeld zijn de gebouwen in de straat gebouwd in 1974. Dit is het oudste pand in de straat. Het meest recente komt uit het jaar 1978. De volgende gebruiksdoelen zijn geregistreerd voor dit adres: 'overige gebruiksfunctie'.
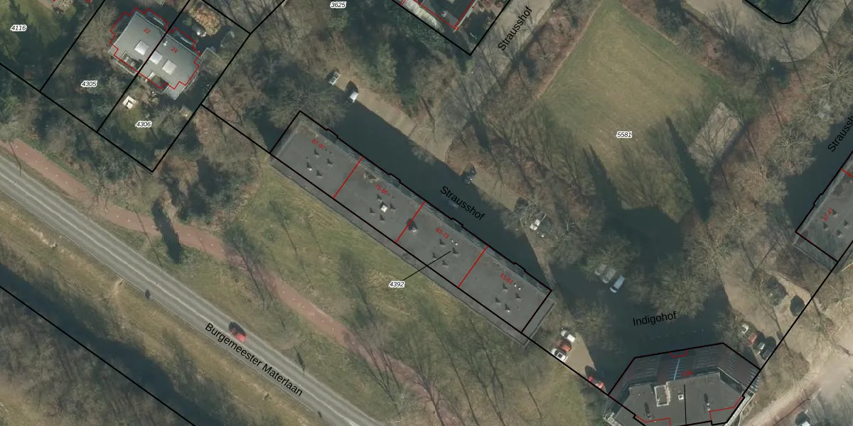
Het adres is gelegen op perceel 4392 in de sectie M en de kadastrale gemeente Oosterhout. De kadastrale aanduiding is aldus OTH01-M-4392. Het perceel is 891 m² groot. Dat is kleiner dan de gemiddelde perceeloppervlakte in Oosterhout, dat op 2772,32 m² ligt. De grootste perceeloppervlakte in de kadastrale gemeente is 75,9 ha. De kleinste oppervlakte bedraagt 0 m². Op het perceel liggen in totaal 40 adressen. De huidige grenzen van het perceel zijn digitaal in de Basisregistratie Kadaster (BRK) geregistreerd op 25-07-2006.
Er is geen energielabel geregistreerd voor het adres. Het hoogste energielabel in de straat is C; het laagste is G. Het gemiddelde energielabel is er D. Het adres Strausshof 73-G02 heeft als status: 'verblijfsobject in gebruik'. Het pand waarin dit adres ligt heeft als status: 'pand in gebruik'.
Strausshof 73-G02 is een adres gelegen in de gemeente Oosterhout, provincie Noord-Brabant. Dit adres is geregistreerd in de Basisregistratie Adressen en Gebouwen (BAG) met als unieke identificatie 0826010000027401.
Het pand op Strausshof 73-G02 is gebouwd in 1974, wat betekent dat het 52 jaar oud is. Dit is een ouder pand. Het pand heeft mogelijk aanzienlijke renovaties nodig om aan de huidige standaarden te voldoen.
De woning op Strausshof 73-G02 heeft een gebruiksoppervlakte van 15 m². Dit is relatief klein vergeleken met de gemiddelde Nederlandse woning, die een oppervlakte heeft van ongeveer 119 m². De gebruiksoppervlakte is de maat die wordt gebruikt in de BAG-registratie, de landelijke registratie van de Nederlandse overheid.
Strausshof 73-G02 heeft als functie: overige doeleinden. Deze gebruiksfunctie(s) zijn vastgelegd in de BAG-registratie en geven aan waarvoor het adres officieel mag worden gebruikt.
Strausshof 73-G02 is gelegen op kadastraal perceel OTH01M4392. Deze kadastrale aanduiding is uniek en wordt gebruikt door het Kadaster om eigendomsrechten en andere zakelijke rechten vast te leggen. Het perceel maakt onderdeel uit van de kadastrale gemeente Oosterhout.
Het perceel waarop Strausshof 73-G02 staat heeft een oppervlakte van 891 m². Dit is een groot perceel. De perceeloppervlakte wordt geregistreerd door het Kadaster. Gedetailleerde informatie over de maten van dit perceel kunt u vinden in het rapport Kadastrale kaart met maatvoering van Strausshof 73-G02.
De eigenaar van Strausshof 73-G02 is op te vragen op deze pagina.
De informatie over dit adres is afkomstig uit officiële overheidsregistraties, voornamelijk de Basisregistratie Adressen en Gebouwen (BAG) en de Basisregistratie Kadaster (BRK). Deze gegevens worden beheerd door respectievelijk gemeenten en het Kadaster, en worden regelmatig bijgewerkt. Energielabelgegevens komen uit de database van de Rijksdienst voor Ondernemend Nederland (RVO).
