
Tempelierstraat 60 is een adres in Oosterhout, dat zich bevindt binnen de gemeentegrenzen van Oosterhout en de grenzen van de provincie Noord-Brabant. Het verblijfsobject is vergeleken met het Nederlandse gemiddelde aan de kleine kant: de oppervlakte is 72 m². Het perceel waarop het adres zich bevindt heeft een oppervlakte van 1686 m². De oppervlakte van het adres is klein vergeleken met de andere objecten in de straat. De oppervlakte van het kleinste object in de straat bedraagt 62 m², terwijl het grootste object 198 m² groot is. Tempelierstraat 60 bevindt zich in een pand uit het jaar 1961. Daarmee behoort het tot de groep relatief oude panden in Nederland die gebouwd zijn vóór 1965. Het nieuwste gebouw in de straat komt uit 2024 en het oudste uit 1955. Dit object is relatief oud. De volgende gebruiksdoelen zijn geregistreerd voor dit adres: 'woonfunctie'.
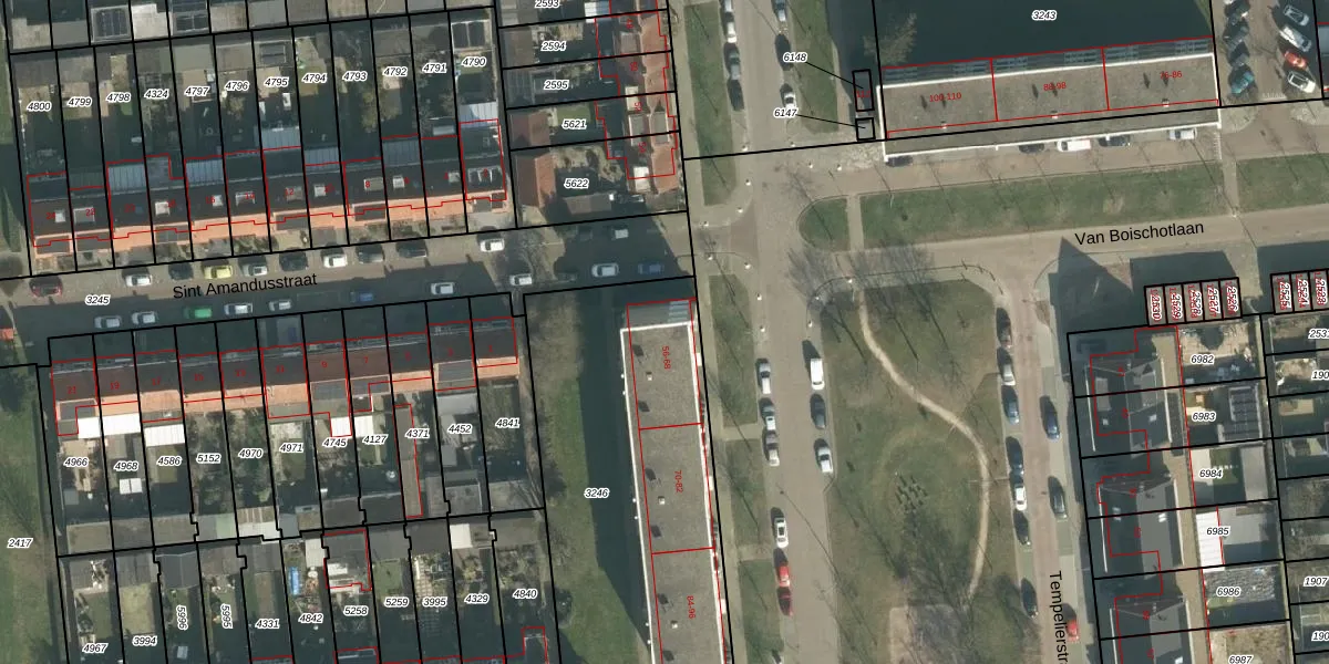
Het adres is gelegen op perceel 3246 in de sectie M en de kadastrale gemeente Oosterhout. De kadastrale aanduiding is aldus OTH01-M-3246. Het perceel is 1686 m² groot. Dat is kleiner dan de gemiddelde perceeloppervlakte in Oosterhout, dat op 2772,43 m² ligt. Het grootste perceel in de kadastrale gemeente is 75,9 ha. Het kleinste perceel heeft een oppervlakte van 0 m². Op het perceel liggen in totaal 21 adressen. De huidige grenzen van het perceel zijn digitaal in de Basisregistratie Kadaster (BRK) geregistreerd op 10-10-2012.
Het adres ligt in een gebouw van het type 'flatwoning (overig) met het subtype hoekmidden'. Bij de laatste meting is voor het adres het energielabel A geregistreerd. Het hoogste energielabel in de straat is A++++; het laagste is G. Het gemiddelde energielabel is er A. Het adres Tempelierstraat 60 heeft als status: 'verblijfsobject in gebruik'. Het pand waarin dit adres ligt heeft als status: 'pand in gebruik'.
Tempelierstraat 60 is een adres gelegen in de gemeente Oosterhout, provincie Noord-Brabant. Dit adres is geregistreerd in de Basisregistratie Adressen en Gebouwen (BAG) met als unieke identificatie 0826010000021604.
Het pand op Tempelierstraat 60 is gebouwd in 1961, wat betekent dat het 65 jaar oud is. Dit is een ouder pand. Het pand heeft mogelijk aanzienlijke renovaties nodig om aan de huidige standaarden te voldoen.
De woning op Tempelierstraat 60 heeft een gebruiksoppervlakte van 72 m². Dit is relatief klein vergeleken met de gemiddelde Nederlandse woning, die een oppervlakte heeft van ongeveer 119 m². De gebruiksoppervlakte is de maat die wordt gebruikt in de BAG-registratie, de landelijke registratie van de Nederlandse overheid.
Tempelierstraat 60 heeft als functie: wonen. Deze gebruiksfunctie(s) zijn vastgelegd in de BAG-registratie en geven aan waarvoor het adres officieel mag worden gebruikt.
Tempelierstraat 60 is gelegen op kadastraal perceel OTH01M3246. Deze kadastrale aanduiding is uniek en wordt gebruikt door het Kadaster om eigendomsrechten en andere zakelijke rechten vast te leggen. Het perceel maakt onderdeel uit van de kadastrale gemeente Oosterhout.
Het perceel waarop Tempelierstraat 60 staat heeft een oppervlakte van 1686 m². Dit is een zeer groot perceel. De perceeloppervlakte wordt geregistreerd door het Kadaster. Gedetailleerde informatie over de maten van dit perceel kunt u vinden in het rapport Kadastrale kaart met maatvoering van Tempelierstraat 60.
De eigenaar van Tempelierstraat 60 is op te vragen op deze pagina.
De informatie over dit adres is afkomstig uit officiële overheidsregistraties, voornamelijk de Basisregistratie Adressen en Gebouwen (BAG) en de Basisregistratie Kadaster (BRK). Deze gegevens worden beheerd door respectievelijk gemeenten en het Kadaster, en worden regelmatig bijgewerkt. Energielabelgegevens komen uit de database van de Rijksdienst voor Ondernemend Nederland (RVO).
