
Polderweg 10 is gelegen in de plaats Oostwold, de gemeente Oldambt en de provincie Groningen. De oppervlakte van het verblijfsobject is met 300 m² aan de grote kant. Het perceel heeft een oppervlakte van 693 m². Het object is klein ten opzichte van de andere adressen in de straat. Het grootste verblijfsobject is 1600 m² groot en het kleinste is 6 m². Het adres Polderweg 10 ligt in een relatief oud pand uit het jaar 1850. Panden van vóór het jaar 1965 hebben we hier geclassificeerd als oud. Gemiddeld zijn de gebouwen in de straat gebouwd in 1940. Dit is het oudste pand in de straat. Het meest recente komt uit het jaar 2022. Voor het verblijfsobject gelden deze gebruiksdoelen: 'woonfunctie'.
Deze woning is voor het laatst verkocht op 1 januari 1999. Meer informatie over deze transactie? Bestel het Woningtransactierapport om de verkoopprijs en andere informatie te zien.
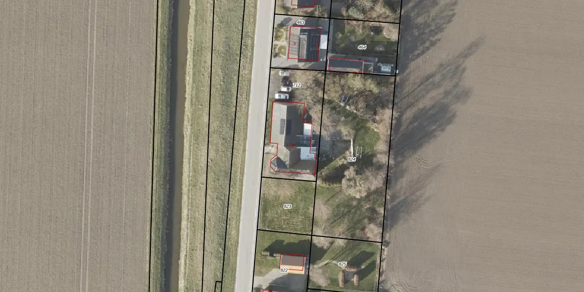
Het perceel waarop het adres ligt is MWD01-L-712. De afkorting 'MWD01' staat voor kadastrale gemeente Midwolda. De gemiddelde perceelgrootte in Midwolda is 1,2 ha. Dit perceel is kleiner: de perceeloppervlakte bedraagt 693 m². De grootste perceeloppervlakte in de kadastrale gemeente is 76,6 ha. De kleinste oppervlakte bedraagt 0 m². Op het perceel bevinden zich geen andere adressen. De laatste wijziging in het de Basisregistratie Kadaster (BRK) was op 29-04-2002.
Er is geen energielabel geregistreerd voor het adres. Het hoogste energielabel in de straat is A; het laagste is G. Het gemiddelde energielabel is er D. Het adres Polderweg 10 heeft als status: 'verblijfsobject in gebruik'. Het pand waarin dit adres ligt heeft als status: 'pand in gebruik'.
Polderweg 10 is een adres gelegen in de gemeente Oldambt, provincie Groningen. Dit adres is geregistreerd in de Basisregistratie Adressen en Gebouwen (BAG) met als unieke identificatie 1895010000003191.
Het pand op Polderweg 10 is gebouwd in 1850, wat betekent dat het 176 jaar oud is. Dit is een ouder pand. Het pand heeft mogelijk aanzienlijke renovaties nodig om aan de huidige standaarden te voldoen.
De woning op Polderweg 10 heeft een gebruiksoppervlakte van 300 m². Dit is ruim vergeleken met de gemiddelde Nederlandse woning, die een oppervlakte heeft van ongeveer 119 m². De gebruiksoppervlakte is de maat die wordt gebruikt in de BAG-registratie, de landelijke registratie van de Nederlandse overheid.
Polderweg 10 heeft als functie: wonen. Deze gebruiksfunctie(s) zijn vastgelegd in de BAG-registratie en geven aan waarvoor het adres officieel mag worden gebruikt.
Polderweg 10 is gelegen op kadastraal perceel MWD01L712. Deze kadastrale aanduiding is uniek en wordt gebruikt door het Kadaster om eigendomsrechten en andere zakelijke rechten vast te leggen. Het perceel maakt onderdeel uit van de kadastrale gemeente Midwolda.
Het perceel waarop Polderweg 10 staat heeft een oppervlakte van 693 m². Dit is een groot perceel. De perceeloppervlakte wordt geregistreerd door het Kadaster. Gedetailleerde informatie over de maten van dit perceel kunt u vinden in het rapport Kadastrale kaart met maatvoering van Polderweg 10.
De eigenaar van Polderweg 10 is op te vragen op deze pagina.
De informatie over dit adres is afkomstig uit officiële overheidsregistraties, voornamelijk de Basisregistratie Adressen en Gebouwen (BAG) en de Basisregistratie Kadaster (BRK). Deze gegevens worden beheerd door respectievelijk gemeenten en het Kadaster, en worden regelmatig bijgewerkt. Energielabelgegevens komen uit de database van de Rijksdienst voor Ondernemend Nederland (RVO).
