
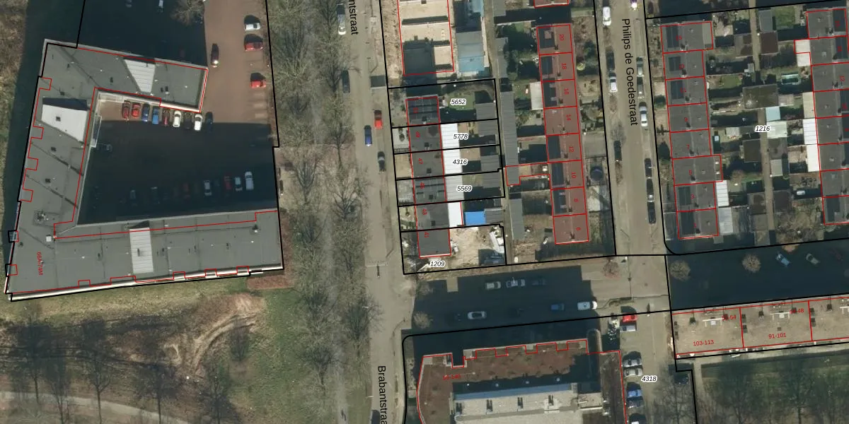
Brabantstraat 43 is gelegen in de plaats Oss, de gemeente Oss en de provincie Noord-Brabant. Het perceel waarop het verblijfsobject staat is 5659 m² groot. De oppervlakte van het adres is 139 m², wat zich rond het Nederlandse gemiddelde van 119 m² bevindt. Vergeleken met de andere verblijfsobjecten in de straat is dit object groot. De oppervlakte van het grootste object in de straat is 208 m², die van het kleinste bedraagt 8 m². Het gebouw waarin Brabantstraat 43 ligt komt uit het jaar 1961. Objecten die gebouwd zijn vóór 1965 classificeren we hier als oud. Dit is het oudste object in de straat. Het nieuwste pand komt uit 2024 en het gemiddelde bouwjaar in de straat is 1988. Het verblijfsobject heeft de volgende gebruiksdoelen: 'woonfunctie'.
Het adres is gelegen op perceel 5779 in de sectie K en de kadastrale gemeente Oss. De kadastrale aanduiding is aldus OSS00-K-5779. De gemiddelde perceeloppervlakte in de kadastrale gemeente Oss is 2393,72 m². Dit perceel is met zijn 5659 m² dus groter dan gemiddeld. Het kleinste perceel in de kadastrale gemeente is 0 m² groot. De grootste perceeloppervlakte is 36,1 ha. Op het perceel zijn 50 adressen aanwezig. De laatste wijziging in het de Basisregistratie Kadaster (BRK) was op 06-09-2018.
Het adres ligt in een gebouw van het type 'rijwoning tussen'. Bij de laatste meting is voor het adres het energielabel B geregistreerd. Het hoogste energielabel in de straat is A+++; het laagste is G. Het gemiddelde energielabel is er A. Het adres Brabantstraat 43 heeft als status: 'verblijfsobject in gebruik'. Het pand waarin dit adres ligt heeft als status: 'pand in gebruik'.
Brabantstraat 43 is een adres gelegen in de gemeente Oss, provincie Noord-Brabant. Dit adres is geregistreerd in de Basisregistratie Adressen en Gebouwen (BAG) met als unieke identificatie 0828010001534082.
Het pand op Brabantstraat 43 is gebouwd in 1961, wat betekent dat het 65 jaar oud is. Dit is een ouder pand. Het pand heeft mogelijk aanzienlijke renovaties nodig om aan de huidige standaarden te voldoen.
De woning op Brabantstraat 43 heeft een gebruiksoppervlakte van 139 m². Dit is gemiddeld vergeleken met de gemiddelde Nederlandse woning, die een oppervlakte heeft van ongeveer 119 m². De gebruiksoppervlakte is de maat die wordt gebruikt in de BAG-registratie, de landelijke registratie van de Nederlandse overheid.
Brabantstraat 43 heeft als functie: wonen. Deze gebruiksfunctie(s) zijn vastgelegd in de BAG-registratie en geven aan waarvoor het adres officieel mag worden gebruikt.
Brabantstraat 43 is gelegen op kadastraal perceel OSS00K5779. Deze kadastrale aanduiding is uniek en wordt gebruikt door het Kadaster om eigendomsrechten en andere zakelijke rechten vast te leggen. Het perceel maakt onderdeel uit van de kadastrale gemeente Oss.
Het perceel waarop Brabantstraat 43 staat heeft een oppervlakte van 5659 m². Dit is een zeer groot perceel. De perceeloppervlakte wordt geregistreerd door het Kadaster. Gedetailleerde informatie over de maten van dit perceel kunt u vinden in het rapport Kadastrale kaart met maatvoering van Brabantstraat 43.
De eigenaar van Brabantstraat 43 is op te vragen op deze pagina.
De informatie over dit adres is afkomstig uit officiële overheidsregistraties, voornamelijk de Basisregistratie Adressen en Gebouwen (BAG) en de Basisregistratie Kadaster (BRK). Deze gegevens worden beheerd door respectievelijk gemeenten en het Kadaster, en worden regelmatig bijgewerkt. Energielabelgegevens komen uit de database van de Rijksdienst voor Ondernemend Nederland (RVO).
