
Het adres Driek van Erpstraat 97 bevindt zich in de plaats Oss, in de gemeente Oss en de provincie Noord-Brabant. Het verblijfsobject is vergeleken met het Nederlandse gemiddelde aan de kleine kant: de oppervlakte is 58 m². Het perceel waarop het adres zich bevindt heeft een oppervlakte van 3833 m². Het object is klein ten opzichte van de andere adressen in de straat. Het grootste verblijfsobject is 638 m² groot en het kleinste is 22 m². In het jaar 1989 is het pand waarin Driek van Erpstraat 97 ligt gebouwd. Dat is relatief recent: de meeste gebouwen in Nederland zijn gebouwd in de periode 1965-1984. Dit object is relatief nieuw in de straat. Het nieuwste gebouw komt er uit het jaar 2025 en het oudste uit het jaar 1880. Voor het verblijfsobject gelden deze gebruiksdoelen: 'woonfunctie'.
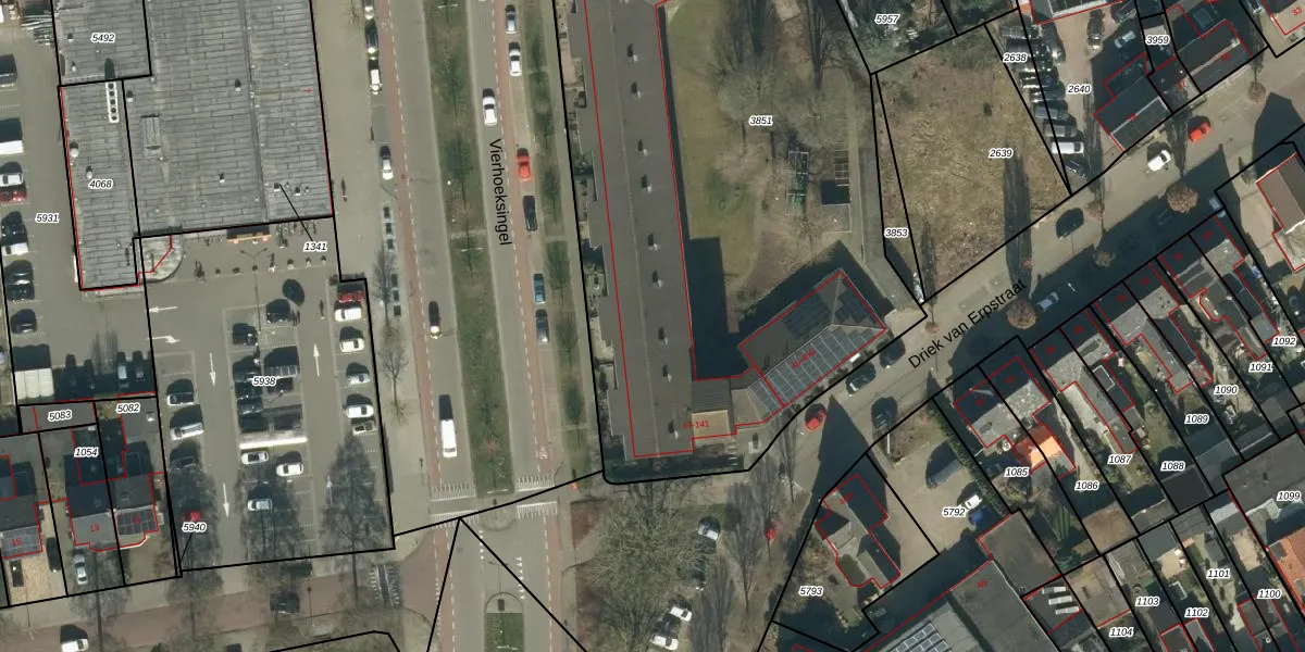
Het perceel waarop het adres ligt is OSS00-K-3851. De afkorting 'OSS00' staat voor kadastrale gemeente Oss. Het perceel is met 3833 m² relatief groot. Het gemiddelde ligt in de kadastrale gemeente Oss op 2393,92 m². De grootste perceeloppervlakte in de kadastrale gemeente is 36,1 ha. De kleinste oppervlakte bedraagt 0 m². Op het perceel liggen in totaal 52 adressen. In de Basisregistratie Kadaster (BRK) werden de grenzen van het perceel geregistreerd op 28-05-2009.
Het adres ligt in een gebouw van het type 'appartement met het subtype tussenmidden'. Bij de laatste meting is voor het adres het energielabel A geregistreerd. Het hoogste energielabel in de straat is A+; het laagste is G. Het gemiddelde energielabel is er B. Het adres Driek van Erpstraat 97 heeft als status: 'verblijfsobject in gebruik'. Het pand waarin dit adres ligt heeft als status: 'pand in gebruik'.
Driek van Erpstraat 97 is een adres gelegen in de gemeente Oss, provincie Noord-Brabant. Dit adres is geregistreerd in de Basisregistratie Adressen en Gebouwen (BAG) met als unieke identificatie 0828010001529544.
Het pand op Driek van Erpstraat 97 is gebouwd in 1989, wat betekent dat het 37 jaar oud is. Dit is een pand van middelbare leeftijd. Het pand is van gemiddelde leeftijd en zal waarschijnlijk verouderde elementen bevatten.
De woning op Driek van Erpstraat 97 heeft een gebruiksoppervlakte van 58 m². Dit is relatief klein vergeleken met de gemiddelde Nederlandse woning, die een oppervlakte heeft van ongeveer 119 m². De gebruiksoppervlakte is de maat die wordt gebruikt in de BAG-registratie, de landelijke registratie van de Nederlandse overheid.
Driek van Erpstraat 97 heeft als functie: wonen. Deze gebruiksfunctie(s) zijn vastgelegd in de BAG-registratie en geven aan waarvoor het adres officieel mag worden gebruikt.
Driek van Erpstraat 97 is gelegen op kadastraal perceel OSS00K3851. Deze kadastrale aanduiding is uniek en wordt gebruikt door het Kadaster om eigendomsrechten en andere zakelijke rechten vast te leggen. Het perceel maakt onderdeel uit van de kadastrale gemeente Oss.
Het perceel waarop Driek van Erpstraat 97 staat heeft een oppervlakte van 3833 m². Dit is een zeer groot perceel. De perceeloppervlakte wordt geregistreerd door het Kadaster. Gedetailleerde informatie over de maten van dit perceel kunt u vinden in het rapport Kadastrale kaart met maatvoering van Driek van Erpstraat 97.
De eigenaar van Driek van Erpstraat 97 is op te vragen op deze pagina.
De informatie over dit adres is afkomstig uit officiële overheidsregistraties, voornamelijk de Basisregistratie Adressen en Gebouwen (BAG) en de Basisregistratie Kadaster (BRK). Deze gegevens worden beheerd door respectievelijk gemeenten en het Kadaster, en worden regelmatig bijgewerkt. Energielabelgegevens komen uit de database van de Rijksdienst voor Ondernemend Nederland (RVO).
