
Laurierlaan 7 is gelegen in de plaats Oss, de gemeente Oss en de provincie Noord-Brabant. De oppervlakte van het verblijfsobject is met 278 m² aan de grote kant. Het perceel heeft een oppervlakte van 1400 m². Dit is het kleinste object van de straat. De gemiddelde oppervlakte van verblijfsobjecten is er 319 m². De grootste oppervlakte in de straat is 348 m². In Nederland komt het grootste deel van de gebouwen uit de periode 1965-1984. Ook het bouwjaar van Laurierlaan 7 is afkomstig uit die periode: het betreft namelijk een pand uit 1978. Gemiddeld zijn de gebouwen in de straat gebouwd in 1978. Dit is het oudste pand in de straat. Het meest recente komt uit het jaar 1979. Voor het verblijfsobject gelden deze gebruiksdoelen: 'woonfunctie'.
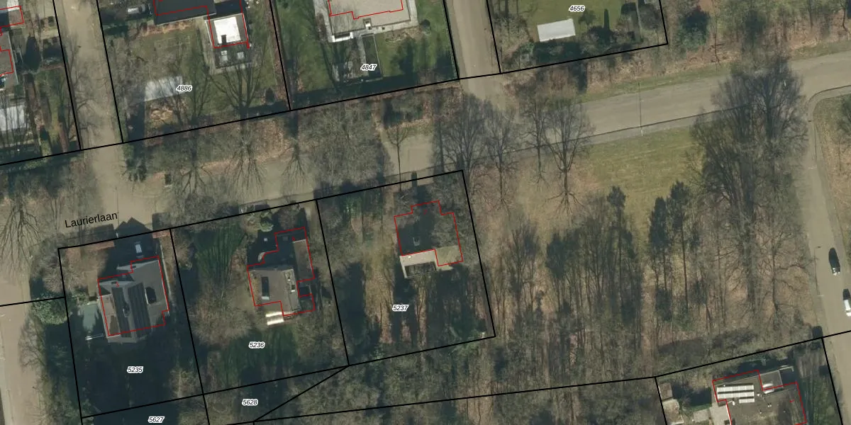
Het adres is gelegen op perceel 5237 in de sectie B en de kadastrale gemeente Oss. De kadastrale aanduiding is aldus OSS00-B-5237. De gemiddelde perceelgrootte in Oss is 2394,22 m². Dit perceel is kleiner: de perceeloppervlakte bedraagt 1400 m². Het grootste perceel in de kadastrale gemeente is 36,1 ha. Het kleinste perceel heeft een oppervlakte van 0 m². Op het perceel bevinden zich geen andere adressen. De laatste wijziging in het de Basisregistratie Kadaster (BRK) was op 23-06-2009.
Er is geen energielabel geregistreerd voor het adres. Het hoogste energielabel in de straat is G; het laagste is G. Het gemiddelde energielabel is er G. Het adres Laurierlaan 7 heeft als status: 'verblijfsobject in gebruik'. Het pand waarin dit adres ligt heeft als status: 'pand in gebruik'.
Laurierlaan 7 is een adres gelegen in de gemeente Oss, provincie Noord-Brabant. Dit adres is geregistreerd in de Basisregistratie Adressen en Gebouwen (BAG) met als unieke identificatie 0828010001568722.
Het pand op Laurierlaan 7 is gebouwd in 1978, wat betekent dat het 48 jaar oud is. Dit is een pand van middelbare leeftijd. Het pand is van gemiddelde leeftijd en zal waarschijnlijk verouderde elementen bevatten.
De woning op Laurierlaan 7 heeft een gebruiksoppervlakte van 278 m². Dit is ruim vergeleken met de gemiddelde Nederlandse woning, die een oppervlakte heeft van ongeveer 119 m². De gebruiksoppervlakte is de maat die wordt gebruikt in de BAG-registratie, de landelijke registratie van de Nederlandse overheid.
Laurierlaan 7 heeft als functie: wonen. Deze gebruiksfunctie(s) zijn vastgelegd in de BAG-registratie en geven aan waarvoor het adres officieel mag worden gebruikt.
Laurierlaan 7 is gelegen op kadastraal perceel OSS00B5237. Deze kadastrale aanduiding is uniek en wordt gebruikt door het Kadaster om eigendomsrechten en andere zakelijke rechten vast te leggen. Het perceel maakt onderdeel uit van de kadastrale gemeente Oss.
Het perceel waarop Laurierlaan 7 staat heeft een oppervlakte van 1400 m². Dit is een zeer groot perceel. De perceeloppervlakte wordt geregistreerd door het Kadaster. Gedetailleerde informatie over de maten van dit perceel kunt u vinden in het rapport Kadastrale kaart met maatvoering van Laurierlaan 7.
De eigenaar van Laurierlaan 7 is op te vragen op deze pagina.
De informatie over dit adres is afkomstig uit officiële overheidsregistraties, voornamelijk de Basisregistratie Adressen en Gebouwen (BAG) en de Basisregistratie Kadaster (BRK). Deze gegevens worden beheerd door respectievelijk gemeenten en het Kadaster, en worden regelmatig bijgewerkt. Energielabelgegevens komen uit de database van de Rijksdienst voor Ondernemend Nederland (RVO).
