
Het adres Mosselsepad 38-A bevindt zich in de plaats Otterlo, in de gemeente Otterlo en de provincie Gelderland. Het verblijfsobject is 120 m² groot en bevindt zich op een perceel met een oppervlakte van 308 m². Gemiddeld hebben adressen in Nederland een oppervlakte van 119 m². Vergeleken met de andere verblijfsobjecten in de straat is dit object groot. De oppervlakte van het grootste object in de straat is 647 m², die van het kleinste bedraagt 32 m². In het jaar 2015 is het pand waarin Mosselsepad 38-A ligt gebouwd. Dat is relatief recent: de meeste gebouwen in Nederland zijn gebouwd in de periode 1965-1984. Vergeleken met de andere panden in de straat is dit gebouw nieuw. Het vroegste bouwjaar is er 1935 en het laatste is 2025. Voor het verblijfsobject gelden deze gebruiksdoelen: 'logiesfunctie'.
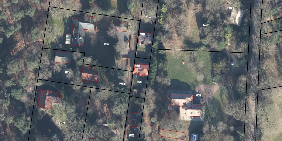
Het adres is gelegen op perceel 3357 in de sectie B en de kadastrale gemeente Otterlo. De kadastrale aanduiding is aldus OTL02-B-3357. De gemiddelde perceelgrootte in Otterlo is 2,7 ha. Dit perceel is kleiner: de perceeloppervlakte bedraagt 308 m². De grootste perceeloppervlakte in de kadastrale gemeente is 11,55 km². De kleinste oppervlakte bedraagt 0 m². Dit is het enige adres dat aanwezig is op het perceel. In de Basisregistratie Kadaster (BRK) werden de grenzen van het perceel geregistreerd op 25-10-2019.
Het adres ligt in een gebouw van het type 'vrijstaande woning'. Bij de laatste meting is voor het adres het energielabel A geregistreerd. Het hoogste energielabel in de straat is A; het laagste is G. Het gemiddelde energielabel is er C. Het adres Mosselsepad 38-A heeft als status: 'verblijfsobject in gebruik'. Het pand waarin dit adres ligt heeft als status: 'pand in gebruik'.
Mosselsepad 38-A is een adres gelegen in de gemeente Ede, provincie Gelderland. Dit adres is geregistreerd in de Basisregistratie Adressen en Gebouwen (BAG) met als unieke identificatie 0228010000056868.
Het pand op Mosselsepad 38-A is gebouwd in 2015, wat betekent dat het 11 jaar oud is. Dit is een relatief modern pand. Ten opzichte van de nationale woningvoorraad is het pand relatief modern, maar er kunnen enkele verouderde elementen zijn die aandacht nodig hebben.
De woning op Mosselsepad 38-A heeft een gebruiksoppervlakte van 120 m². Dit is gemiddeld vergeleken met de gemiddelde Nederlandse woning, die een oppervlakte heeft van ongeveer 119 m². De gebruiksoppervlakte is de maat die wordt gebruikt in de BAG-registratie, de landelijke registratie van de Nederlandse overheid.
Mosselsepad 38-A heeft als functie: logies/verblijf. Deze gebruiksfunctie(s) zijn vastgelegd in de BAG-registratie en geven aan waarvoor het adres officieel mag worden gebruikt.
Mosselsepad 38-A is gelegen op kadastraal perceel OTL02B3357. Deze kadastrale aanduiding is uniek en wordt gebruikt door het Kadaster om eigendomsrechten en andere zakelijke rechten vast te leggen. Het perceel maakt onderdeel uit van de kadastrale gemeente Otterlo.
Het perceel waarop Mosselsepad 38-A staat heeft een oppervlakte van 308 m². Dit is een groot perceel. De perceeloppervlakte wordt geregistreerd door het Kadaster. Gedetailleerde informatie over de maten van dit perceel kunt u vinden in het rapport Kadastrale kaart met maatvoering van Mosselsepad 38-A.
De eigenaar van Mosselsepad 38-A is op te vragen op deze pagina.
De informatie over dit adres is afkomstig uit officiële overheidsregistraties, voornamelijk de Basisregistratie Adressen en Gebouwen (BAG) en de Basisregistratie Kadaster (BRK). Deze gegevens worden beheerd door respectievelijk gemeenten en het Kadaster, en worden regelmatig bijgewerkt. Energielabelgegevens komen uit de database van de Rijksdienst voor Ondernemend Nederland (RVO).
