
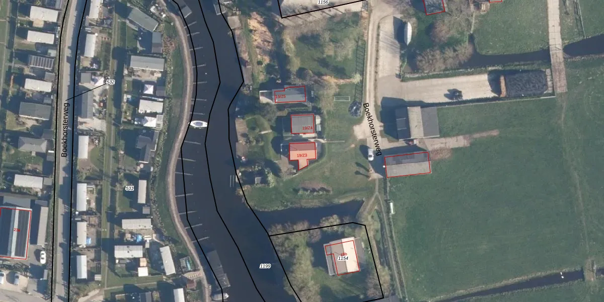
Boekhorsterweg 19-Z3 is gelegen in de plaats Oud Ade, de gemeente Kaag en Braassem en de provincie Zuid-Holland. De oppervlakte van het object bedraagt 44 m². Dat is klein vergeleken met het Nederlandse gemiddelde. Het perceel waarop het adres ligt is 29,5 ha groot. Het adres is klein vergeleken met andere objecten in de straat. Het grootste object in de straat heeft een oppervlakte van 1084 m², het kleinste is 18 m² groot. De meeste Nederlandse gebouwen zijn gebouwd in de periode 1965-1984. Zo ook het pand waarin Boekhorsterweg 19-Z3 ligt, dat gebouwd is in 1978. Veel andere gebouwen in de straat zijn ouder dan dit pand. Het oudste pand komt uit het jaar 1700 en het nieuwste uit 2026. De volgende gebruiksdoelen zijn geregistreerd voor dit adres: 'logiesfunctie'.
Het adres ligt op het perceel AKM01-E-1155, dat zich in de kadastrale gemeente Alkemade bevindt. De oppervlakte van het perceel is 29,5 ha. Dat is groter dan gemiddeld in Alkemade, waar de gemiddelde perceeloppervlakte op 2901,35 m² ligt. De grootste perceeloppervlakte in de kadastrale gemeente is 46,1 ha. De kleinste oppervlakte bedraagt 0 m². Op het perceel zijn 9 adressen aanwezig. De laatste wijziging in het de Basisregistratie Kadaster (BRK) was op 23-08-2023.
Er is geen energielabel geregistreerd voor het adres. Het hoogste energielabel in de straat is C; het laagste is G. Het gemiddelde energielabel is er D. Het adres Boekhorsterweg 19-Z3 heeft als status: 'verblijfsobject in gebruik'. Het pand waarin dit adres ligt heeft als status: 'pand in gebruik'.
Boekhorsterweg 19-Z3 is een adres gelegen in de gemeente Kaag en Braassem, provincie Zuid-Holland. Dit adres is geregistreerd in de Basisregistratie Adressen en Gebouwen (BAG) met als unieke identificatie 1884010000023372.
Het pand op Boekhorsterweg 19-Z3 is gebouwd in 1978, wat betekent dat het 48 jaar oud is. Dit is een pand van middelbare leeftijd. Het pand is van gemiddelde leeftijd en zal waarschijnlijk verouderde elementen bevatten.
De woning op Boekhorsterweg 19-Z3 heeft een gebruiksoppervlakte van 44 m². Dit is relatief klein vergeleken met de gemiddelde Nederlandse woning, die een oppervlakte heeft van ongeveer 119 m². De gebruiksoppervlakte is de maat die wordt gebruikt in de BAG-registratie, de landelijke registratie van de Nederlandse overheid.
Boekhorsterweg 19-Z3 heeft als functie: logies/verblijf. Deze gebruiksfunctie(s) zijn vastgelegd in de BAG-registratie en geven aan waarvoor het adres officieel mag worden gebruikt.
Boekhorsterweg 19-Z3 is gelegen op kadastraal perceel AKM01E1155. Deze kadastrale aanduiding is uniek en wordt gebruikt door het Kadaster om eigendomsrechten en andere zakelijke rechten vast te leggen. Het perceel maakt onderdeel uit van de kadastrale gemeente Alkemade.
Het perceel waarop Boekhorsterweg 19-Z3 staat heeft een oppervlakte van 29,5 ha. Dit is een zeer groot perceel. De perceeloppervlakte wordt geregistreerd door het Kadaster. Gedetailleerde informatie over de maten van dit perceel kunt u vinden in het rapport Kadastrale kaart met maatvoering van Boekhorsterweg 19-Z3.
De eigenaar van Boekhorsterweg 19-Z3 is op te vragen op deze pagina.
De informatie over dit adres is afkomstig uit officiële overheidsregistraties, voornamelijk de Basisregistratie Adressen en Gebouwen (BAG) en de Basisregistratie Kadaster (BRK). Deze gegevens worden beheerd door respectievelijk gemeenten en het Kadaster, en worden regelmatig bijgewerkt. Energielabelgegevens komen uit de database van de Rijksdienst voor Ondernemend Nederland (RVO).
