
Het adres Westduin 50 bevindt zich in de plaats Ouddorp, in de gemeente Ouddorp en de provincie Zuid-Holland. Het verblijfsobject is vergeleken met het Nederlandse gemiddelde aan de kleine kant: de oppervlakte is 34 m². Het perceel waarop het adres zich bevindt heeft een oppervlakte van 1,6 ha. De oppervlakte van dit adres is groot vergeleken met de oppervlaktes van andere adressen in de straat. De kleinste oppervlakte bedraagt er 21 m², de grootste 63 m². Het pand waarin Westduin 50 ligt is gebouwd in het jaar 1993. Panden die gebouwd zijn na het jaar 1984 noemen we hier relatief nieuw. Dit pand is het meest recent exemplaar in de straat. Het oudste object komt er uit 1900 en het gemiddelde bouwjaar is 1974. Het verblijfsobject heeft de volgende gebruiksdoelen: 'logiesfunctie'.
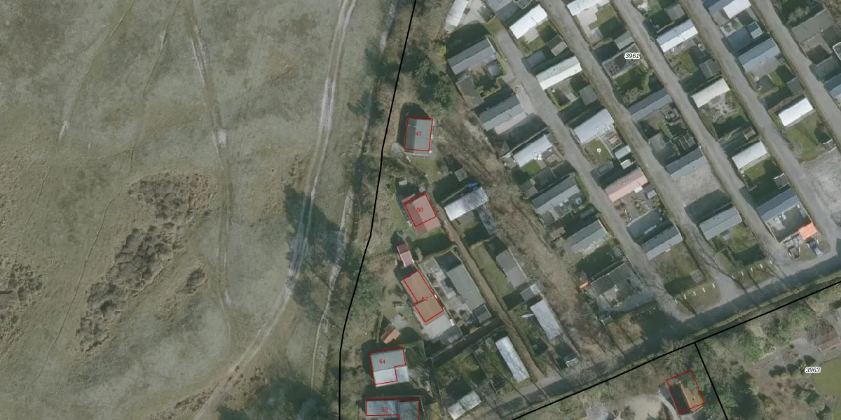
Het adres ligt op het perceel ODP01-E-3961, dat zich in de kadastrale gemeente Ouddorp bevindt. De gemiddelde perceeloppervlakte in de kadastrale gemeente Ouddorp is 3123,68 m². Dit perceel is met zijn 1,6 ha dus groter dan gemiddeld. Het kleinste perceel in de kadastrale gemeente is 0 m² groot. De grootste perceeloppervlakte is 1,10 km². Op het perceel liggen in totaal 54 adressen. In de Basisregistratie Kadaster (BRK) werden de grenzen van het perceel geregistreerd op 27-01-2003.
Er is geen energielabel geregistreerd voor het adres. Het hoogste energielabel in de straat is G; het laagste is G. Het gemiddelde energielabel is er G. Het adres Westduin 50 heeft als status: 'verblijfsobject in gebruik'. Het pand waarin dit adres ligt heeft als status: 'pand in gebruik'.
Westduin 50 is een adres gelegen in de gemeente Goeree-Overflakkee, provincie Zuid-Holland. Dit adres is geregistreerd in de Basisregistratie Adressen en Gebouwen (BAG) met als unieke identificatie 1924010000031188.
Het pand op Westduin 50 is gebouwd in 1993, wat betekent dat het 33 jaar oud is. Dit is een pand van middelbare leeftijd. Het pand is van gemiddelde leeftijd en zal waarschijnlijk verouderde elementen bevatten.
De woning op Westduin 50 heeft een gebruiksoppervlakte van 34 m². Dit is relatief klein vergeleken met de gemiddelde Nederlandse woning, die een oppervlakte heeft van ongeveer 119 m². De gebruiksoppervlakte is de maat die wordt gebruikt in de BAG-registratie, de landelijke registratie van de Nederlandse overheid.
Westduin 50 heeft als functie: logies/verblijf. Deze gebruiksfunctie(s) zijn vastgelegd in de BAG-registratie en geven aan waarvoor het adres officieel mag worden gebruikt.
Westduin 50 is gelegen op kadastraal perceel ODP01E3961. Deze kadastrale aanduiding is uniek en wordt gebruikt door het Kadaster om eigendomsrechten en andere zakelijke rechten vast te leggen. Het perceel maakt onderdeel uit van de kadastrale gemeente Ouddorp.
Het perceel waarop Westduin 50 staat heeft een oppervlakte van 1,6 ha. Dit is een zeer groot perceel. De perceeloppervlakte wordt geregistreerd door het Kadaster. Gedetailleerde informatie over de maten van dit perceel kunt u vinden in het rapport Kadastrale kaart met maatvoering van Westduin 50.
De eigenaar van Westduin 50 is op te vragen op deze pagina.
De informatie over dit adres is afkomstig uit officiële overheidsregistraties, voornamelijk de Basisregistratie Adressen en Gebouwen (BAG) en de Basisregistratie Kadaster (BRK). Deze gegevens worden beheerd door respectievelijk gemeenten en het Kadaster, en worden regelmatig bijgewerkt. Energielabelgegevens komen uit de database van de Rijksdienst voor Ondernemend Nederland (RVO).
