
Het adres Jan Schotanuswei 46 bevindt zich in de plaats Oudemirdum, in de gemeente Oudemirdum en de provincie Friesland. De oppervlakte bedraagt 725 m², waarmee het adres groter dan gemiddeld is. De grootte van het perceel waarop het adres ligt is 3504 m². In vergelijking met de andere adressen in de straat is de oppervlakte van dit object relatief groot. Het grootste verblijfsobject heeft een oppervlakte van 1937 m², de oppervlakte van het kleinste object bedraagt 3 m². In Nederland komt het grootste deel van de gebouwen uit de periode 1965-1984. Ook het bouwjaar van Jan Schotanuswei 46 is afkomstig uit die periode: het betreft namelijk een pand uit 1969. Veel andere gebouwen in de straat zijn ouder dan dit pand. Het oudste pand komt uit het jaar 1880 en het nieuwste uit 2022. De volgende gebruiksdoelen zijn geregistreerd voor dit adres: 'onderwijsfunctie'.
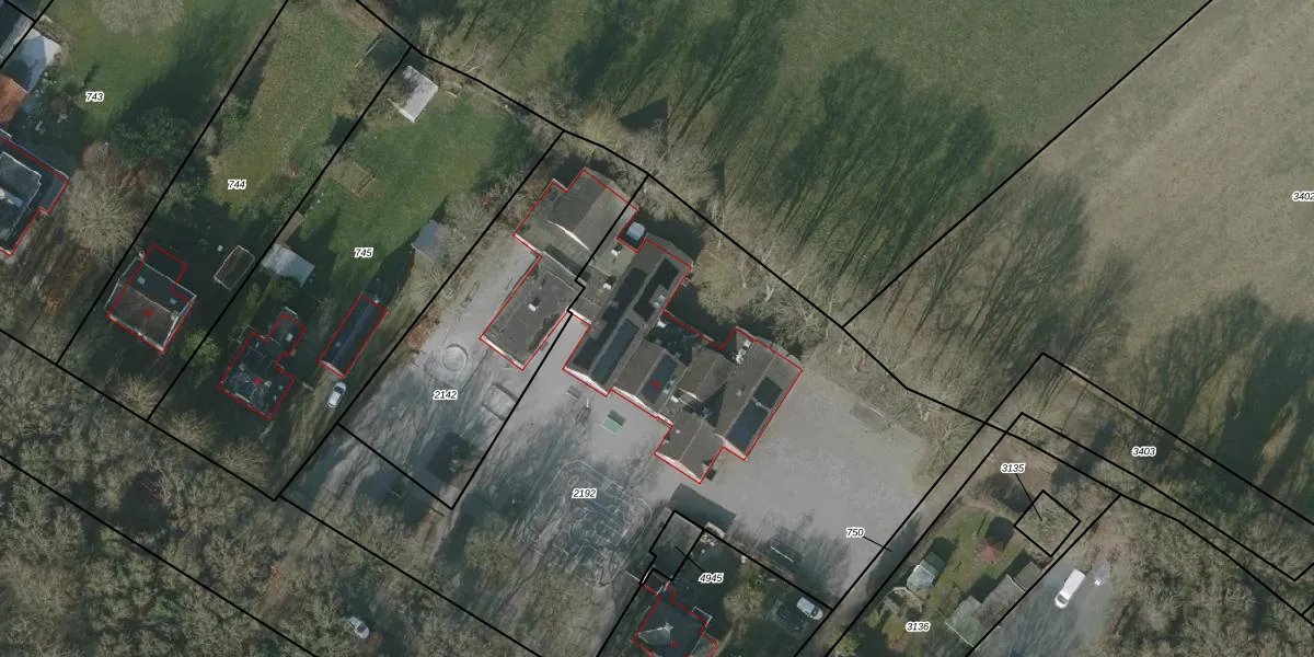
Het perceel waarop het adres ligt is BAL00-M-2192. De afkorting 'BAL00' staat voor kadastrale gemeente Balk. Het perceel is 3504 m² groot. Dat is kleiner dan de gemiddelde perceeloppervlakte in Balk, dat op 2,0 ha ligt. Het grootste perceel in de kadastrale gemeente is 62,29 km². Het kleinste perceel heeft een oppervlakte van 0 m². Er zijn geen andere adressen aanwezig op het perceel. In de Basisregistratie Kadaster (BRK) werden de grenzen van het perceel geregistreerd op 01-03-2024.
Bij de laatste meting is voor het adres het energielabel D geregistreerd. Het hoogste energielabel in de straat is A+; het laagste is G. Het gemiddelde energielabel is er D. Het adres Jan Schotanuswei 46 heeft als status: 'verblijfsobject in gebruik'. Het pand waarin dit adres ligt heeft als status: 'pand in gebruik'.
Jan Schotanuswei 46 is een adres gelegen in de gemeente De Fryske Marren, provincie Friesland. Dit adres is geregistreerd in de Basisregistratie Adressen en Gebouwen (BAG) met als unieke identificatie 0653010000163386.
Het pand op Jan Schotanuswei 46 is gebouwd in 1969, wat betekent dat het 57 jaar oud is. Dit is een ouder pand. Het pand heeft mogelijk aanzienlijke renovaties nodig om aan de huidige standaarden te voldoen.
De woning op Jan Schotanuswei 46 heeft een gebruiksoppervlakte van 725 m². Dit is ruim vergeleken met de gemiddelde Nederlandse woning, die een oppervlakte heeft van ongeveer 119 m². De gebruiksoppervlakte is de maat die wordt gebruikt in de BAG-registratie, de landelijke registratie van de Nederlandse overheid.
Jan Schotanuswei 46 heeft als functie: onderwijs. Deze gebruiksfunctie(s) zijn vastgelegd in de BAG-registratie en geven aan waarvoor het adres officieel mag worden gebruikt.
Jan Schotanuswei 46 is gelegen op kadastraal perceel BAL00M2192. Deze kadastrale aanduiding is uniek en wordt gebruikt door het Kadaster om eigendomsrechten en andere zakelijke rechten vast te leggen. Het perceel maakt onderdeel uit van de kadastrale gemeente Balk.
Het perceel waarop Jan Schotanuswei 46 staat heeft een oppervlakte van 3504 m². Dit is een zeer groot perceel. De perceeloppervlakte wordt geregistreerd door het Kadaster. Gedetailleerde informatie over de maten van dit perceel kunt u vinden in het rapport Kadastrale kaart met maatvoering van Jan Schotanuswei 46.
De eigenaar van Jan Schotanuswei 46 is op te vragen op deze pagina.
De informatie over dit adres is afkomstig uit officiële overheidsregistraties, voornamelijk de Basisregistratie Adressen en Gebouwen (BAG) en de Basisregistratie Kadaster (BRK). Deze gegevens worden beheerd door respectievelijk gemeenten en het Kadaster, en worden regelmatig bijgewerkt. Energielabelgegevens komen uit de database van de Rijksdienst voor Ondernemend Nederland (RVO).
