
Het adres Br Christofoorlaan 21 bevindt zich in de plaats Oudenbosch, in de gemeente Oudenbosch en de provincie Noord-Brabant. De oppervlakte bedraagt 154 m², waarmee het adres groter dan gemiddeld is. De grootte van het perceel waarop het adres ligt is 336 m². Vergeleken met de andere verblijfsobjecten in de straat is dit object groot. De oppervlakte van het grootste object in de straat is 369 m², die van het kleinste bedraagt 6 m². In Nederland komt het grootste deel van de gebouwen uit de periode 1965-1984. Ook het bouwjaar van Br Christofoorlaan 21 is afkomstig uit die periode: het betreft namelijk een pand uit 1973. In de straat komt het nieuwste gebouw uit het jaar 2005 en het oudste uit 1972. Het bouwjaar van dit object is relatief oud. De volgende gebruiksdoelen zijn geregistreerd voor dit adres: 'woonfunctie'.
Deze woning is voor het laatst verkocht op 1 februari 2014. Meer informatie over deze transactie? Bestel het Woningtransactierapport om de verkoopprijs en andere informatie te zien.
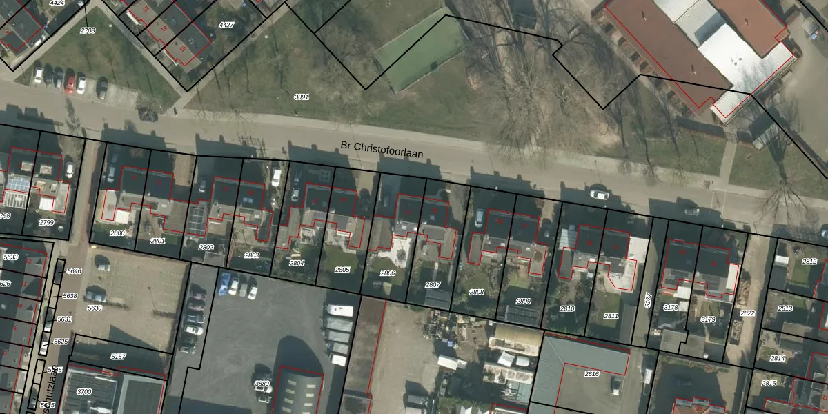
Het adres is gelegen op perceel 2806 in de sectie B en de kadastrale gemeente Oudenbosch. De kadastrale aanduiding is aldus ODB02-B-2806. Het perceel is 336 m² groot. Dat is kleiner dan de gemiddelde perceeloppervlakte in Oudenbosch, dat op 1822,66 m² ligt. Het grootste perceel in de kadastrale gemeente is 17,9 ha. Het kleinste perceel heeft een oppervlakte van 0 m². Er zijn geen andere adressen aanwezig op het perceel. In de Basisregistratie Kadaster (BRK) werden de grenzen van het perceel geregistreerd op 24-09-2009.
Er is geen energielabel geregistreerd voor het adres. Het hoogste energielabel in de straat is A++; het laagste is G. Het gemiddelde energielabel is er B. Het adres Br Christofoorlaan 21 heeft als status: 'verblijfsobject in gebruik'. Het pand waarin dit adres ligt heeft als status: 'pand in gebruik'.
Br Christofoorlaan 21 is een adres gelegen in de gemeente Halderberge, provincie Noord-Brabant. Dit adres is geregistreerd in de Basisregistratie Adressen en Gebouwen (BAG) met als unieke identificatie 1655010000530959.
Het pand op Br Christofoorlaan 21 is gebouwd in 1973, wat betekent dat het 53 jaar oud is. Dit is een ouder pand. Het pand heeft mogelijk aanzienlijke renovaties nodig om aan de huidige standaarden te voldoen.
De woning op Br Christofoorlaan 21 heeft een gebruiksoppervlakte van 154 m². Dit is ruim vergeleken met de gemiddelde Nederlandse woning, die een oppervlakte heeft van ongeveer 119 m². De gebruiksoppervlakte is de maat die wordt gebruikt in de BAG-registratie, de landelijke registratie van de Nederlandse overheid.
Br Christofoorlaan 21 heeft als functie: wonen. Deze gebruiksfunctie(s) zijn vastgelegd in de BAG-registratie en geven aan waarvoor het adres officieel mag worden gebruikt.
Br Christofoorlaan 21 is gelegen op kadastraal perceel ODB02B2806. Deze kadastrale aanduiding is uniek en wordt gebruikt door het Kadaster om eigendomsrechten en andere zakelijke rechten vast te leggen. Het perceel maakt onderdeel uit van de kadastrale gemeente Oudenbosch.
Het perceel waarop Br Christofoorlaan 21 staat heeft een oppervlakte van 336 m². Dit is een groot perceel. De perceeloppervlakte wordt geregistreerd door het Kadaster. Gedetailleerde informatie over de maten van dit perceel kunt u vinden in het rapport Kadastrale kaart met maatvoering van Br Christofoorlaan 21.
De eigenaar van Br Christofoorlaan 21 is op te vragen op deze pagina.
De informatie over dit adres is afkomstig uit officiële overheidsregistraties, voornamelijk de Basisregistratie Adressen en Gebouwen (BAG) en de Basisregistratie Kadaster (BRK). Deze gegevens worden beheerd door respectievelijk gemeenten en het Kadaster, en worden regelmatig bijgewerkt. Energielabelgegevens komen uit de database van de Rijksdienst voor Ondernemend Nederland (RVO).
