Product Functies Prijzen Meer

Adressen

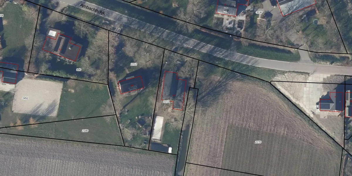
Gebruik de zoekbalk of klik op een perceel voor informatie over de adressen binnen dit perceel.
Locatie
Meten
Lagen
Download

Ambachtsdijk 53

1724RR, Oudkarspel

1519312 Wat moet ik bieden voor deze woning?
214 m²
woonfunctie
1.015 m² perceeloppervlakte
?

Het adres Ambachtsdijk 53 bevindt zich in de plaats Oudkarspel, in de gemeente Oudkarspel en de provincie Noord-Holland. Het object heeft een oppervlakte van 214 m², wat relatief groot is. Het perceel waarop het adres ligt is 1015 m² groot. Het object is klein ten opzichte van de andere adressen in de straat. Het grootste verblijfsobject is 1702 m² groot en het kleinste is 85 m². Het pand waarin Ambachtsdijk 53 ligt is gebouwd in het jaar 2023. Panden die gebouwd zijn na het jaar 1984 noemen we hier relatief nieuw. Vergeleken met de andere panden in de straat is dit gebouw nieuw. Het vroegste bouwjaar is er 1850 en het laatste is 2024. De volgende gebruiksdoelen zijn geregistreerd voor dit adres: 'woonfunctie'.

Perceel

Het perceel waarop het adres ligt is LGD00-A-2211. De afkorting 'LGD00' staat voor kadastrale gemeente Langedijk. Het perceel is 1015 m² groot. Dat is kleiner dan de gemiddelde perceeloppervlakte in Langedijk, dat op 2066,79 m² ligt. Het kleinste perceel in de kadastrale gemeente is 0 m² groot. De grootste perceeloppervlakte is 64,5 ha. Dit is het enige adres dat aanwezig is op het perceel. In de Basisregistratie Kadaster (BRK) werden de grenzen van het perceel geregistreerd op 04-02-2019.

Energielabel en status

Er is geen energielabel geregistreerd voor het adres. Het hoogste energielabel in de straat is A++++; het laagste is G. Het gemiddelde energielabel is er B. Het adres Ambachtsdijk 53 heeft als status: 'verblijfsobject in gebruik'. Het pand waarin dit adres ligt heeft als status: 'pand in gebruik'.

Meer lezen

Adres

Gebruiksoppervlakte
214 m²
Bruto vloeroppervlakte
aVXrUFB8MqzQz7 5 BYUpgrade naar KadastraleKaart Pro
Gebruiksdoel(en)
Woonfunctie
Status
Verblijfsobject in gebruik
Type
Onbekend
Gasloos
uRKz9z5Upgrade naar KadastraleKaart Pro
Gebeurtenissen
Appartementsrechten
Uc9smle 4 AaQ7t tA3289Upgrade naar KadastraleKaart Pro
Eigenaar
Eigendomsinformatie 12,95
Adresinformatie bestellen
Adrespakket 34,95
VBO ID
0416010000251971

Pand

Bouwjaar pand
2023
Aantal adressen in dit gebouw
1 adres
Hoogte pand
j VF Mh3dDUpgrade naar KadastraleKaart Pro
Aantal bouwlagen (schatting)
KcBefsd2h0hxi4EUnOUpgrade naar KadastraleKaart Pro
Volume
dxOrR0bf9n8Upgrade naar KadastraleKaart Pro
Oppervlakte dak
s SG KL6Upgrade naar KadastraleKaart Pro
Oppervlakte buitenmuur
9nxo0TXcemliu 5Upgrade naar KadastraleKaart Pro
Status pand
Pand in gebruik
Pand ID
0416100000251969

Perceel

Kadastrale aanduiding
Langedijk A 2211 (LGD00 A 2211)
Oppervlakte
1.015 m²
Maatvoering
Kadastrale kaart met maatvoering 59,95
Omtrek
154 meter
Datum laatst gewijzigd
04/02/2019
Aantal adressen op perceel
1
Hoogte boven N.A.P.
v ivnBlYQhhvFVai3Upgrade naar KadastraleKaart Pro

Veelgestelde vragen

Ambachtsdijk 53 is een adres gelegen in de gemeente Dijk en Waard, provincie Noord-Holland. Dit adres is geregistreerd in de Basisregistratie Adressen en Gebouwen (BAG) met als unieke identificatie 0416010000251971.

Het pand op Ambachtsdijk 53 is gebouwd in 2023, wat betekent dat het 3 jaar oud is. Dit is een vrij nieuw pand. Het pand is dus waarschijnlijk goed geïsoleerd, geluidsdicht en voldoet aan de huidige bouwstandaarden. Op korte termijn zijn er waarschijnlijk weinig onderhoudskosten.

De woning op Ambachtsdijk 53 heeft een gebruiksoppervlakte van 214 m². Dit is ruim vergeleken met de gemiddelde Nederlandse woning, die een oppervlakte heeft van ongeveer 119 m². De gebruiksoppervlakte is de maat die wordt gebruikt in de BAG-registratie, de landelijke registratie van de Nederlandse overheid.

Ambachtsdijk 53 heeft als functie: wonen. Deze gebruiksfunctie(s) zijn vastgelegd in de BAG-registratie en geven aan waarvoor het adres officieel mag worden gebruikt.

Ambachtsdijk 53 is gelegen op kadastraal perceel LGD00A2211. Deze kadastrale aanduiding is uniek en wordt gebruikt door het Kadaster om eigendomsrechten en andere zakelijke rechten vast te leggen. Het perceel maakt onderdeel uit van de kadastrale gemeente Langedijk.

Het perceel waarop Ambachtsdijk 53 staat heeft een oppervlakte van 1015 m². Dit is een zeer groot perceel. De perceeloppervlakte wordt geregistreerd door het Kadaster. Gedetailleerde informatie over de maten van dit perceel kunt u vinden in het rapport Kadastrale kaart met maatvoering van Ambachtsdijk 53.

De eigenaar van Ambachtsdijk 53 is op te vragen op deze pagina.

De informatie over dit adres is afkomstig uit officiële overheidsregistraties, voornamelijk de Basisregistratie Adressen en Gebouwen (BAG) en de Basisregistratie Kadaster (BRK). Deze gegevens worden beheerd door respectievelijk gemeenten en het Kadaster, en worden regelmatig bijgewerkt. Energielabelgegevens komen uit de database van de Rijksdienst voor Ondernemend Nederland (RVO).

Maatvoeringsrapport

Wie is de eigenaar?

Bekijk de eigenaar van Ambachtsdijk 53 met de eigendomsinformatie.
Bekijk de eigenaar van dit adres.
Maatvoeringsrapport

Maatvoering van het perceel

Bestel de maatvoering voor Ambachtsdijk 53 met het maatvoeringsrapport.
Bestel de maatvoering voor dit adres.

360°-foto's van de omgeving

Google Street View
Upgrade nu voor 360° Street View foto's

Zon en schaduw rondom adres

Buurt
Buitengebied Oudkarspel
Inwoners: 165
Woningen: 64
Wijk
Oudkarspel
Inwoners: 3.835
Woningen: 1.486
Gemeente
Dijk en Waard
Inwoners: 90.076
Woningen: 36.664