
Dwarsweg 3-r-602 is gelegen in de plaats Overberg, de gemeente Utrechtse Heuvelrug en de provincie Utrecht. Het verblijfsobject is vergeleken met het Nederlandse gemiddelde aan de kleine kant: de oppervlakte is 61 m². Het perceel waarop het adres zich bevindt heeft een oppervlakte van 10,4 ha. Het object is klein ten opzichte van de andere adressen in de straat. Het grootste verblijfsobject is 4992 m² groot en het kleinste is 2 m². In Nederland komt het grootste deel van de gebouwen uit de periode 1965-1984. Ook het bouwjaar van Dwarsweg 3-r-602 is afkomstig uit die periode: het betreft namelijk een pand uit 1967. Het nieuwste gebouw in de straat komt uit 2024 en het oudste uit 1882. Dit object is relatief oud. De volgende gebruiksdoelen zijn geregistreerd voor dit adres: 'logiesfunctie'.
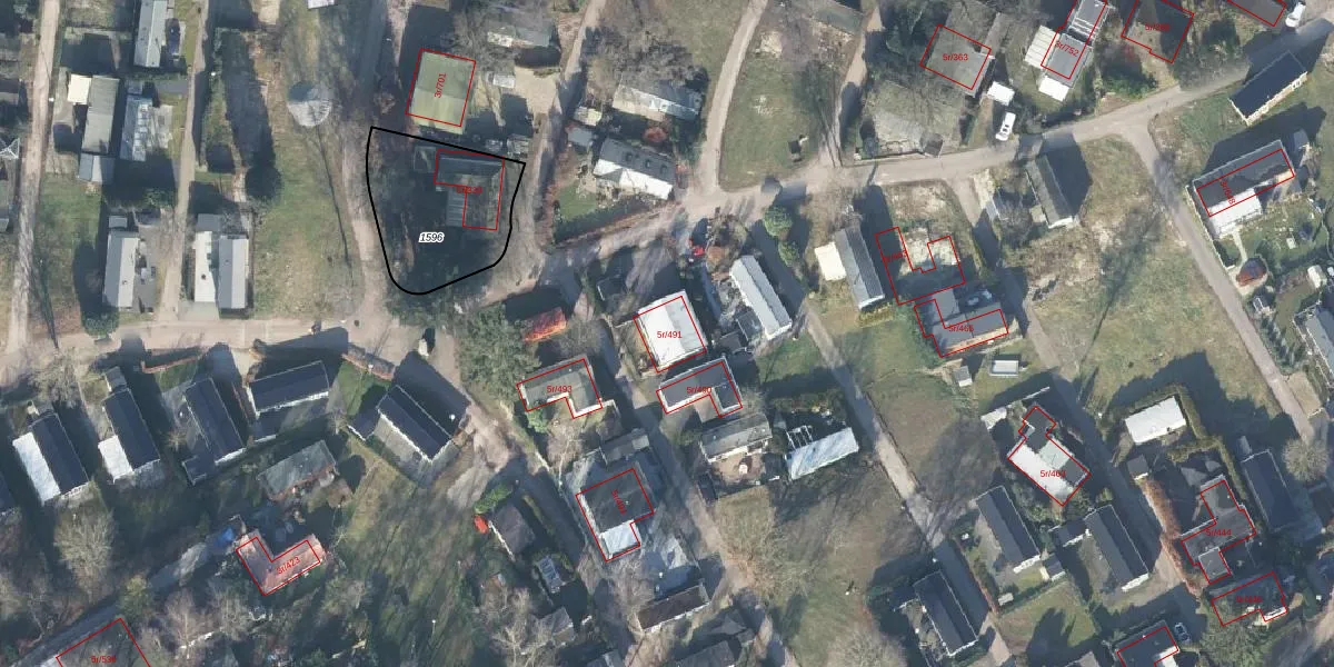
Het perceel waarop het adres ligt is AMR02-A-1595. De afkorting 'AMR02' staat voor kadastrale gemeente Amerongen. De oppervlakte van het perceel is 10,4 ha. Dat is groter dan gemiddeld in Amerongen, waar de gemiddelde perceeloppervlakte op 6866,23 m² ligt. Het grootste perceel in de kadastrale gemeente is 1,21 km². Het kleinste perceel heeft een oppervlakte van 1 m². Op het perceel liggen in totaal 259 adressen. De laatste wijziging in het de Basisregistratie Kadaster (BRK) was op 01-03-2021.
Er is geen energielabel geregistreerd voor het adres. Het hoogste energielabel in de straat is A++; het laagste is G. Het gemiddelde energielabel is er C. Het adres Dwarsweg 3-r-602 heeft als status: 'verblijfsobject in gebruik'. Het pand waarin dit adres ligt heeft als status: 'pand in gebruik'.
Dwarsweg 3-r-602 is een adres gelegen in de gemeente Utrechtse Heuvelrug, provincie Utrecht. Dit adres is geregistreerd in de Basisregistratie Adressen en Gebouwen (BAG) met als unieke identificatie 1581010000046017.
Het pand op Dwarsweg 3-r-602 is gebouwd in 1967, wat betekent dat het 59 jaar oud is. Dit is een ouder pand. Het pand heeft mogelijk aanzienlijke renovaties nodig om aan de huidige standaarden te voldoen.
De woning op Dwarsweg 3-r-602 heeft een gebruiksoppervlakte van 61 m². Dit is relatief klein vergeleken met de gemiddelde Nederlandse woning, die een oppervlakte heeft van ongeveer 119 m². De gebruiksoppervlakte is de maat die wordt gebruikt in de BAG-registratie, de landelijke registratie van de Nederlandse overheid.
Dwarsweg 3-r-602 heeft als functie: logies/verblijf. Deze gebruiksfunctie(s) zijn vastgelegd in de BAG-registratie en geven aan waarvoor het adres officieel mag worden gebruikt.
Dwarsweg 3-r-602 is gelegen op kadastraal perceel AMR02A1595. Deze kadastrale aanduiding is uniek en wordt gebruikt door het Kadaster om eigendomsrechten en andere zakelijke rechten vast te leggen. Het perceel maakt onderdeel uit van de kadastrale gemeente Amerongen.
Het perceel waarop Dwarsweg 3-r-602 staat heeft een oppervlakte van 10,4 ha. Dit is een zeer groot perceel. De perceeloppervlakte wordt geregistreerd door het Kadaster. Gedetailleerde informatie over de maten van dit perceel kunt u vinden in het rapport Kadastrale kaart met maatvoering van Dwarsweg 3-r-602.
De eigenaar van Dwarsweg 3-r-602 is op te vragen op deze pagina.
De informatie over dit adres is afkomstig uit officiële overheidsregistraties, voornamelijk de Basisregistratie Adressen en Gebouwen (BAG) en de Basisregistratie Kadaster (BRK). Deze gegevens worden beheerd door respectievelijk gemeenten en het Kadaster, en worden regelmatig bijgewerkt. Energielabelgegevens komen uit de database van de Rijksdienst voor Ondernemend Nederland (RVO).
