
Dwarsweg 3-r-552 is gelegen in de plaats Overberg, de gemeente Utrechtse Heuvelrug en de provincie Utrecht. Het perceel waarop het adres gelegen is heeft een oppervlakte van 10,4 ha. Het verblijfsobject is met 33 m² relatief klein. Het object is klein ten opzichte van de andere adressen in de straat. Het grootste verblijfsobject is 4992 m² groot en het kleinste is 2 m². Dwarsweg 3-r-552 bevindt zich in een pand uit het jaar null. Daarmee behoort het tot de groep relatief oude panden in Nederland die gebouwd zijn vóór 1965. Het gemiddelde bouwjaar in de straat is 1986 en dat van het nieuwste object 2024. In de straat is dit het oudste pand. Voor het verblijfsobject gelden deze gebruiksdoelen: 'standplaats'.
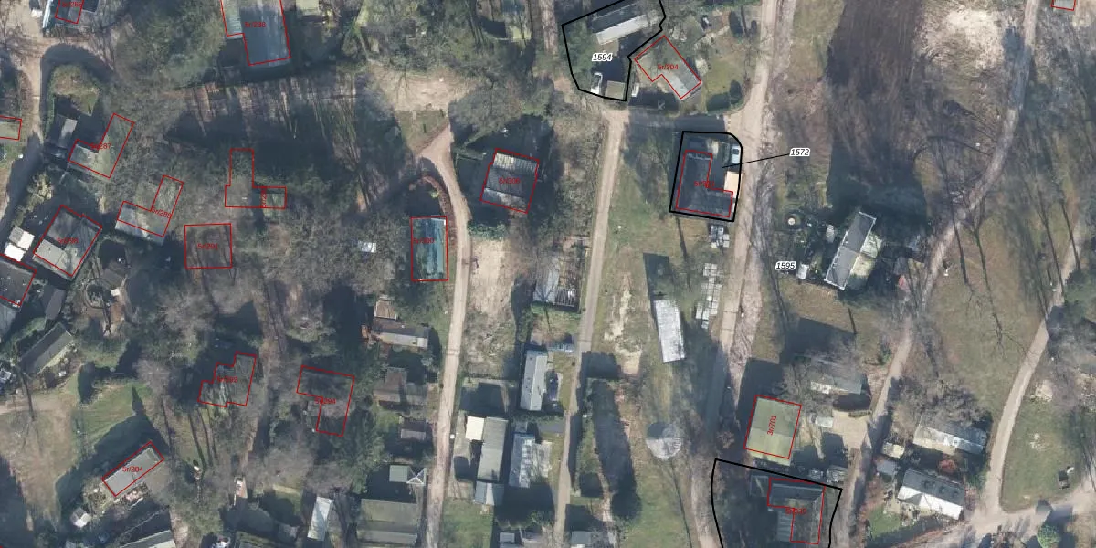
Het perceel waarop het adres ligt is AMR02-A-1595. De afkorting 'AMR02' staat voor kadastrale gemeente Amerongen. Het perceel is met 10,4 ha relatief groot. Het gemiddelde ligt in de kadastrale gemeente Amerongen op 6866,23 m². Het grootste perceel in de kadastrale gemeente is 1,21 km². Het kleinste perceel heeft een oppervlakte van 1 m². Er zijn 259 adressen aanwezig op het perceel. De laatste wijziging in het de Basisregistratie Kadaster (BRK) was op 01-03-2021.
Er is geen energielabel geregistreerd voor het adres. Het hoogste energielabel in de straat is A++; het laagste is G. Het gemiddelde energielabel is er C. Het adres Dwarsweg 3-r-552 heeft als status: 'plaats aangewezen'. Het pand waarin dit adres ligt heeft als status: 'undefined'.
Dwarsweg 3-r-552 is een adres gelegen in de gemeente Utrechtse Heuvelrug, provincie Utrecht. Dit adres is geregistreerd in de Basisregistratie Adressen en Gebouwen (BAG) met als unieke identificatie 1581030000026527.
De woning op Dwarsweg 3-r-552 heeft een gebruiksoppervlakte van 33 m². Dit is relatief klein vergeleken met de gemiddelde Nederlandse woning, die een oppervlakte heeft van ongeveer 119 m². De gebruiksoppervlakte is de maat die wordt gebruikt in de BAG-registratie, de landelijke registratie van de Nederlandse overheid.
Dwarsweg 3-r-552 heeft als functie: standplaats. Deze gebruiksfunctie(s) zijn vastgelegd in de BAG-registratie en geven aan waarvoor het adres officieel mag worden gebruikt.
Dwarsweg 3-r-552 is gelegen op kadastraal perceel AMR02A1595. Deze kadastrale aanduiding is uniek en wordt gebruikt door het Kadaster om eigendomsrechten en andere zakelijke rechten vast te leggen. Het perceel maakt onderdeel uit van de kadastrale gemeente Amerongen.
Het perceel waarop Dwarsweg 3-r-552 staat heeft een oppervlakte van 10,4 ha. Dit is een zeer groot perceel. De perceeloppervlakte wordt geregistreerd door het Kadaster. Gedetailleerde informatie over de maten van dit perceel kunt u vinden in het rapport Kadastrale kaart met maatvoering van Dwarsweg 3-r-552.
De eigenaar van Dwarsweg 3-r-552 is op te vragen op deze pagina.
De informatie over dit adres is afkomstig uit officiële overheidsregistraties, voornamelijk de Basisregistratie Adressen en Gebouwen (BAG) en de Basisregistratie Kadaster (BRK). Deze gegevens worden beheerd door respectievelijk gemeenten en het Kadaster, en worden regelmatig bijgewerkt. Energielabelgegevens komen uit de database van de Rijksdienst voor Ondernemend Nederland (RVO).
