
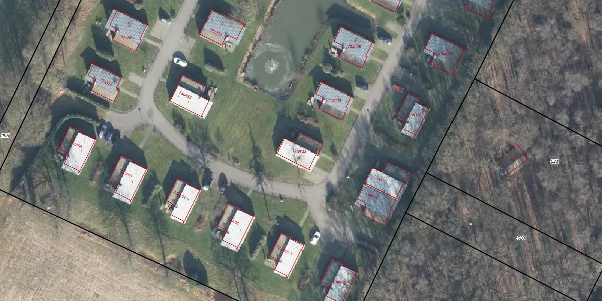
Dwarsweg 73-a-r33 is een adres in Overberg, dat zich bevindt binnen de gemeentegrenzen van Overberg en de grenzen van de provincie Utrecht. De oppervlakte van het object bedraagt 88 m². Dat is klein vergeleken met het Nederlandse gemiddelde. Het perceel waarop het adres ligt is 5,4 ha groot. In vergelijking met de andere adressen in de straat is de oppervlakte van dit object relatief groot. Het grootste verblijfsobject heeft een oppervlakte van 4992 m², de oppervlakte van het kleinste object bedraagt 2 m². Dwarsweg 73-a-r33 ligt in een gebouw uit het jaar 2015. Daarmee behoort het tot de groep panden van na 1984, die we als relatief nieuw bestempelen. Veel andere gebouwen in de straat zijn ouder dan dit pand. Het oudste pand komt uit het jaar 1882 en het nieuwste uit 2024. Het verblijfsobject heeft de volgende gebruiksdoelen: 'logiesfunctie'.
Het perceel waarop het adres ligt is AMR02-B-565. De afkorting 'AMR02' staat voor kadastrale gemeente Amerongen. De gemiddelde perceeloppervlakte in de kadastrale gemeente Amerongen is 6866,23 m². Dit perceel is met zijn 5,4 ha dus groter dan gemiddeld. Het grootste perceel in de kadastrale gemeente is 1,21 km². Het kleinste perceel heeft een oppervlakte van 1 m². Op het perceel zijn 81 adressen aanwezig. De huidige grenzen van het perceel zijn digitaal in de Basisregistratie Kadaster (BRK) geregistreerd op 24-08-2012.
Het adres ligt in een gebouw van het type 'logieswoning'. Bij de laatste meting is voor het adres het energielabel B geregistreerd. Het hoogste energielabel in de straat is A++; het laagste is G. Het gemiddelde energielabel is er C. Het adres Dwarsweg 73-a-r33 heeft als status: 'verblijfsobject in gebruik'. Het pand waarin dit adres ligt heeft als status: 'pand in gebruik'.
Dwarsweg 73-a-r33 is een adres gelegen in de gemeente Utrechtse Heuvelrug, provincie Utrecht. Dit adres is geregistreerd in de Basisregistratie Adressen en Gebouwen (BAG) met als unieke identificatie 1581010000047315.
Het pand op Dwarsweg 73-a-r33 is gebouwd in 2015, wat betekent dat het 11 jaar oud is. Dit is een relatief modern pand. Ten opzichte van de nationale woningvoorraad is het pand relatief modern, maar er kunnen enkele verouderde elementen zijn die aandacht nodig hebben.
De woning op Dwarsweg 73-a-r33 heeft een gebruiksoppervlakte van 88 m². Dit is onder het gemiddelde vergeleken met de gemiddelde Nederlandse woning, die een oppervlakte heeft van ongeveer 119 m². De gebruiksoppervlakte is de maat die wordt gebruikt in de BAG-registratie, de landelijke registratie van de Nederlandse overheid.
Dwarsweg 73-a-r33 heeft als functie: logies/verblijf. Deze gebruiksfunctie(s) zijn vastgelegd in de BAG-registratie en geven aan waarvoor het adres officieel mag worden gebruikt.
Dwarsweg 73-a-r33 is gelegen op kadastraal perceel AMR02B565. Deze kadastrale aanduiding is uniek en wordt gebruikt door het Kadaster om eigendomsrechten en andere zakelijke rechten vast te leggen. Het perceel maakt onderdeel uit van de kadastrale gemeente Amerongen.
Het perceel waarop Dwarsweg 73-a-r33 staat heeft een oppervlakte van 5,4 ha. Dit is een zeer groot perceel. De perceeloppervlakte wordt geregistreerd door het Kadaster. Gedetailleerde informatie over de maten van dit perceel kunt u vinden in het rapport Kadastrale kaart met maatvoering van Dwarsweg 73-a-r33.
De eigenaar van Dwarsweg 73-a-r33 is op te vragen op deze pagina.
De informatie over dit adres is afkomstig uit officiële overheidsregistraties, voornamelijk de Basisregistratie Adressen en Gebouwen (BAG) en de Basisregistratie Kadaster (BRK). Deze gegevens worden beheerd door respectievelijk gemeenten en het Kadaster, en worden regelmatig bijgewerkt. Energielabelgegevens komen uit de database van de Rijksdienst voor Ondernemend Nederland (RVO).
