
Goormatenweg 21 is gelegen in de plaats Overdinkel, de gemeente Losser en de provincie Overijssel. Het verblijfsobject is 128 m² groot en bevindt zich op een perceel met een oppervlakte van 3715 m². Gemiddeld hebben adressen in Nederland een oppervlakte van 119 m². Het adres is klein vergeleken met andere objecten in de straat. Het grootste object in de straat heeft een oppervlakte van 400 m², het kleinste is 56 m² groot. Het adres Goormatenweg 21 ligt in een relatief oud pand uit het jaar 1905. Panden van vóór het jaar 1965 hebben we hier geclassificeerd als oud. Het gemiddelde bouwjaar in de straat is 1966 en dat van het nieuwste object 2021. In de straat is dit het oudste pand. Het verblijfsobject heeft de volgende gebruiksdoelen: 'woonfunctie'.
Deze woning is voor het laatst verkocht op 1 juli 2016. Meer informatie over deze transactie? Bestel het Woningtransactierapport om de verkoopprijs en andere informatie te zien.
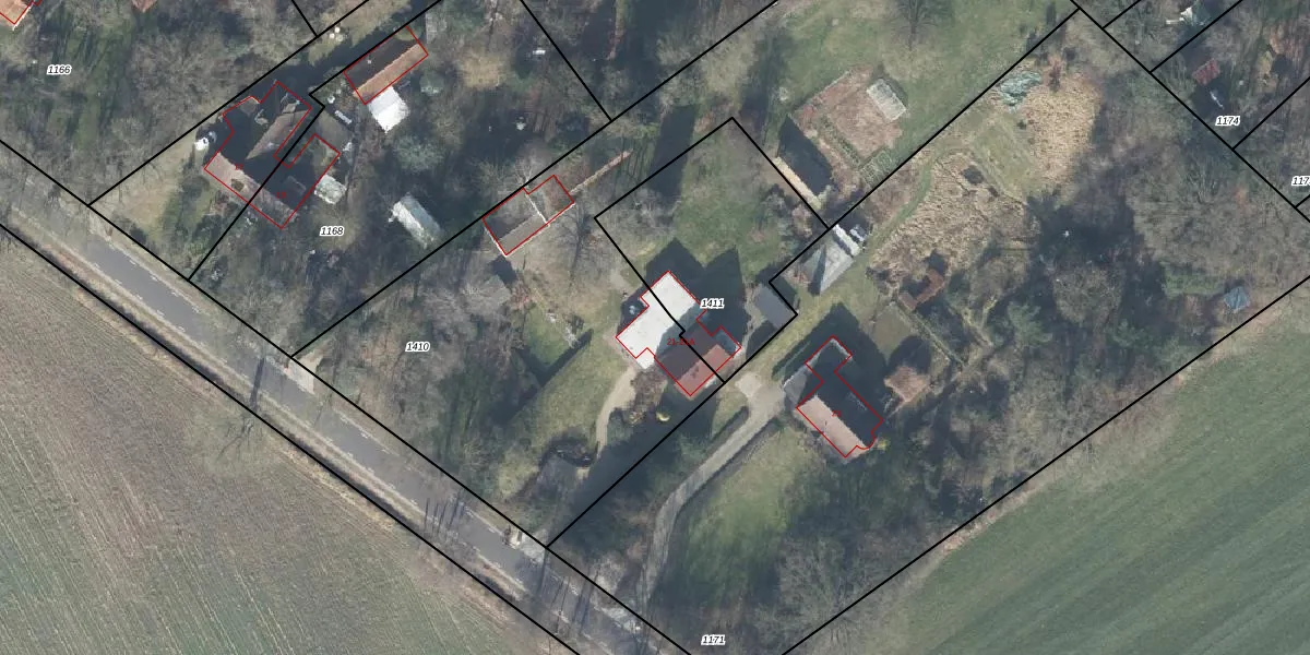
Het adres ligt op het perceel LSR00-Q-1410, dat zich in de kadastrale gemeente Losser bevindt. Het perceel is kleiner dan gemiddeld in Losser. Het perceel is 3715 m² groot, terwijl het gemiddelde ligt op 5711,26 m². De grootste perceeloppervlakte in de kadastrale gemeente is 97,2 ha. De kleinste oppervlakte bedraagt 0 m². Er zijn 2 adressen aanwezig op het perceel. De laatste wijziging in het de Basisregistratie Kadaster (BRK) was op 27-11-2014.
Er is geen energielabel geregistreerd voor het adres. Het hoogste energielabel in de straat is A+++; het laagste is G. Het gemiddelde energielabel is er C. Het adres Goormatenweg 21 heeft als status: 'verblijfsobject in gebruik'. Het pand waarin dit adres ligt heeft als status: 'pand in gebruik'.
Goormatenweg 21 is een adres gelegen in de gemeente Losser, provincie Overijssel. Dit adres is geregistreerd in de Basisregistratie Adressen en Gebouwen (BAG) met als unieke identificatie 0168010000240556.
Het pand op Goormatenweg 21 is gebouwd in 1905, wat betekent dat het 121 jaar oud is. Dit is een ouder pand. Het pand heeft mogelijk aanzienlijke renovaties nodig om aan de huidige standaarden te voldoen.
De woning op Goormatenweg 21 heeft een gebruiksoppervlakte van 128 m². Dit is gemiddeld vergeleken met de gemiddelde Nederlandse woning, die een oppervlakte heeft van ongeveer 119 m². De gebruiksoppervlakte is de maat die wordt gebruikt in de BAG-registratie, de landelijke registratie van de Nederlandse overheid.
Goormatenweg 21 heeft als functie: wonen. Deze gebruiksfunctie(s) zijn vastgelegd in de BAG-registratie en geven aan waarvoor het adres officieel mag worden gebruikt.
Goormatenweg 21 is gelegen op kadastraal perceel LSR00Q1410. Deze kadastrale aanduiding is uniek en wordt gebruikt door het Kadaster om eigendomsrechten en andere zakelijke rechten vast te leggen. Het perceel maakt onderdeel uit van de kadastrale gemeente Losser.
Het perceel waarop Goormatenweg 21 staat heeft een oppervlakte van 3715 m². Dit is een zeer groot perceel. De perceeloppervlakte wordt geregistreerd door het Kadaster. Gedetailleerde informatie over de maten van dit perceel kunt u vinden in het rapport Kadastrale kaart met maatvoering van Goormatenweg 21.
De eigenaar van Goormatenweg 21 is op te vragen op deze pagina.
De informatie over dit adres is afkomstig uit officiële overheidsregistraties, voornamelijk de Basisregistratie Adressen en Gebouwen (BAG) en de Basisregistratie Kadaster (BRK). Deze gegevens worden beheerd door respectievelijk gemeenten en het Kadaster, en worden regelmatig bijgewerkt. Energielabelgegevens komen uit de database van de Rijksdienst voor Ondernemend Nederland (RVO).
