
Het adres Venrayseweg 17-a bevindt zich in de plaats Overloon, in de gemeente Overloon en de provincie Noord-Brabant. De oppervlakte van het verblijfsobject is met 160 m² aan de grote kant. Het perceel heeft een oppervlakte van 2312 m². Het object is klein ten opzichte van de andere adressen in de straat. Het grootste verblijfsobject is 615 m² groot en het kleinste is 45 m². Venrayseweg 17-a ligt in een gebouw uit het jaar 2021. Daarmee behoort het tot de groep panden van na 1984, die we als relatief nieuw bestempelen. Dit object is relatief nieuw in de straat. Het nieuwste gebouw komt er uit het jaar 2025 en het oudste uit het jaar 1900. De volgende gebruiksdoelen zijn geregistreerd voor dit adres: 'woonfunctie'.
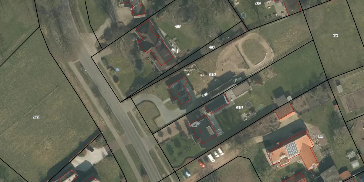
Het perceel waarop het adres ligt is VLB00-I-1576. De afkorting 'VLB00' staat voor kadastrale gemeente Vierlingsbeek. Het perceel is 2312 m² groot. Dat is kleiner dan de gemiddelde perceeloppervlakte in Vierlingsbeek, dat op 7833,61 m² ligt. Het grootste perceel in de kadastrale gemeente is 1,01 km². Het kleinste perceel heeft een oppervlakte van 0 m². Op het perceel bevinden zich geen andere adressen. In de Basisregistratie Kadaster (BRK) werden de grenzen van het perceel geregistreerd op 24-11-2016.
Het adres ligt in een gebouw van het type 'vrijstaande woning'. Bij de laatste meting is voor het adres het energielabel A+++ geregistreerd. Het hoogste energielabel in de straat is A+++; het laagste is G. Het gemiddelde energielabel is er B. Het adres Venrayseweg 17-a heeft als status: 'verblijfsobject in gebruik'. Het pand waarin dit adres ligt heeft als status: 'pand in gebruik'.
Venrayseweg 17-a is een adres gelegen in de gemeente Land van Cuijk, provincie Noord-Brabant. Dit adres is geregistreerd in de Basisregistratie Adressen en Gebouwen (BAG) met als unieke identificatie 0756010000015147.
Het pand op Venrayseweg 17-a is gebouwd in 2021, wat betekent dat het 5 jaar oud is. Dit is een vrij nieuw pand. Het pand is dus waarschijnlijk goed geïsoleerd, geluidsdicht en voldoet aan de huidige bouwstandaarden. Op korte termijn zijn er waarschijnlijk weinig onderhoudskosten.
De woning op Venrayseweg 17-a heeft een gebruiksoppervlakte van 160 m². Dit is ruim vergeleken met de gemiddelde Nederlandse woning, die een oppervlakte heeft van ongeveer 119 m². De gebruiksoppervlakte is de maat die wordt gebruikt in de BAG-registratie, de landelijke registratie van de Nederlandse overheid.
Venrayseweg 17-a heeft als functie: wonen. Deze gebruiksfunctie(s) zijn vastgelegd in de BAG-registratie en geven aan waarvoor het adres officieel mag worden gebruikt.
Venrayseweg 17-a is gelegen op kadastraal perceel VLB00I1576. Deze kadastrale aanduiding is uniek en wordt gebruikt door het Kadaster om eigendomsrechten en andere zakelijke rechten vast te leggen. Het perceel maakt onderdeel uit van de kadastrale gemeente Vierlingsbeek.
Het perceel waarop Venrayseweg 17-a staat heeft een oppervlakte van 2312 m². Dit is een zeer groot perceel. De perceeloppervlakte wordt geregistreerd door het Kadaster. Gedetailleerde informatie over de maten van dit perceel kunt u vinden in het rapport Kadastrale kaart met maatvoering van Venrayseweg 17-a.
De eigenaar van Venrayseweg 17-a is op te vragen op deze pagina.
De informatie over dit adres is afkomstig uit officiële overheidsregistraties, voornamelijk de Basisregistratie Adressen en Gebouwen (BAG) en de Basisregistratie Kadaster (BRK). Deze gegevens worden beheerd door respectievelijk gemeenten en het Kadaster, en worden regelmatig bijgewerkt. Energielabelgegevens komen uit de database van de Rijksdienst voor Ondernemend Nederland (RVO).
