
Het adres Albrandswaardsedijk 194 bevindt zich in de plaats Poortugaal, in de gemeente Poortugaal en de provincie Zuid-Holland. De oppervlakte van het verblijfsobject is met 1420 m² aan de grote kant. Het perceel heeft een oppervlakte van 1747 m². Vergeleken met de andere verblijfsobjecten in de straat is dit object groot. De oppervlakte van het grootste object in de straat is 1,2 ha, die van het kleinste bedraagt 5 m². In het jaar 2020 is het pand waarin Albrandswaardsedijk 194 ligt gebouwd. Dat is relatief recent: de meeste gebouwen in Nederland zijn gebouwd in de periode 1965-1984. Dit object is relatief nieuw in de straat. Het nieuwste gebouw komt er uit het jaar 2025 en het oudste uit het jaar 1600. Voor het verblijfsobject gelden deze gebruiksdoelen: 'bijeenkomstfunctie'.
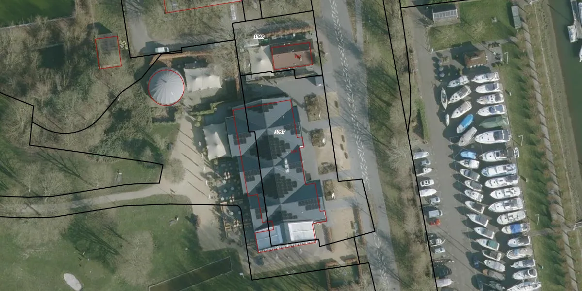
Het adres is gelegen op perceel 1367 in de sectie C en de kadastrale gemeente Poortugaal. De kadastrale aanduiding is aldus PTG00-C-1367. Het perceel is met 1747 m² relatief groot. Het gemiddelde ligt in de kadastrale gemeente Poortugaal op 1693,52 m². De grootste perceeloppervlakte in de kadastrale gemeente is 19,9 ha. De kleinste oppervlakte bedraagt 0 m². Op het perceel bevinden zich geen andere adressen. In de Basisregistratie Kadaster (BRK) werden de grenzen van het perceel geregistreerd op 08-01-2019.
Er is geen energielabel geregistreerd voor het adres. Het hoogste energielabel in de straat is A++++; het laagste is G. Het gemiddelde energielabel is er D. Het adres Albrandswaardsedijk 194 heeft als status: 'verblijfsobject in gebruik'. Het pand waarin dit adres ligt heeft als status: 'pand in gebruik'.
Albrandswaardsedijk 194 is een adres gelegen in de gemeente Albrandswaard, provincie Zuid-Holland. Dit adres is geregistreerd in de Basisregistratie Adressen en Gebouwen (BAG) met als unieke identificatie 0613010000208332.
Het pand op Albrandswaardsedijk 194 is gebouwd in 2020, wat betekent dat het 6 jaar oud is. Dit is een vrij nieuw pand. Het pand is dus waarschijnlijk goed geïsoleerd, geluidsdicht en voldoet aan de huidige bouwstandaarden. Op korte termijn zijn er waarschijnlijk weinig onderhoudskosten.
De woning op Albrandswaardsedijk 194 heeft een gebruiksoppervlakte van 1420 m². Dit is ruim vergeleken met de gemiddelde Nederlandse woning, die een oppervlakte heeft van ongeveer 119 m². De gebruiksoppervlakte is de maat die wordt gebruikt in de BAG-registratie, de landelijke registratie van de Nederlandse overheid.
Albrandswaardsedijk 194 heeft als functie: bijeenkomsten. Deze gebruiksfunctie(s) zijn vastgelegd in de BAG-registratie en geven aan waarvoor het adres officieel mag worden gebruikt.
Albrandswaardsedijk 194 is gelegen op kadastraal perceel PTG00C1367. Deze kadastrale aanduiding is uniek en wordt gebruikt door het Kadaster om eigendomsrechten en andere zakelijke rechten vast te leggen. Het perceel maakt onderdeel uit van de kadastrale gemeente Poortugaal.
Het perceel waarop Albrandswaardsedijk 194 staat heeft een oppervlakte van 1747 m². Dit is een zeer groot perceel. De perceeloppervlakte wordt geregistreerd door het Kadaster. Gedetailleerde informatie over de maten van dit perceel kunt u vinden in het rapport Kadastrale kaart met maatvoering van Albrandswaardsedijk 194.
De eigenaar van Albrandswaardsedijk 194 is op te vragen op deze pagina.
De informatie over dit adres is afkomstig uit officiële overheidsregistraties, voornamelijk de Basisregistratie Adressen en Gebouwen (BAG) en de Basisregistratie Kadaster (BRK). Deze gegevens worden beheerd door respectievelijk gemeenten en het Kadaster, en worden regelmatig bijgewerkt. Energielabelgegevens komen uit de database van de Rijksdienst voor Ondernemend Nederland (RVO).
