
Heinsbergerweg 61-a is gelegen in de plaats Posterholt, de gemeente Roerdalen en de provincie Limburg. De oppervlakte van het verblijfsobject is met 180 m² aan de grote kant. Het perceel heeft een oppervlakte van 1425 m². Het object is klein ten opzichte van de andere adressen in de straat. Het grootste verblijfsobject is 2065 m² groot en het kleinste is 54 m². In het jaar 1989 is het pand waarin Heinsbergerweg 61-a ligt gebouwd. Dat is relatief recent: de meeste gebouwen in Nederland zijn gebouwd in de periode 1965-1984. Dit object is relatief nieuw in de straat. Het nieuwste gebouw komt er uit het jaar 2025 en het oudste uit het jaar 1683. Het verblijfsobject heeft de volgende gebruiksdoelen: 'woonfunctie'.
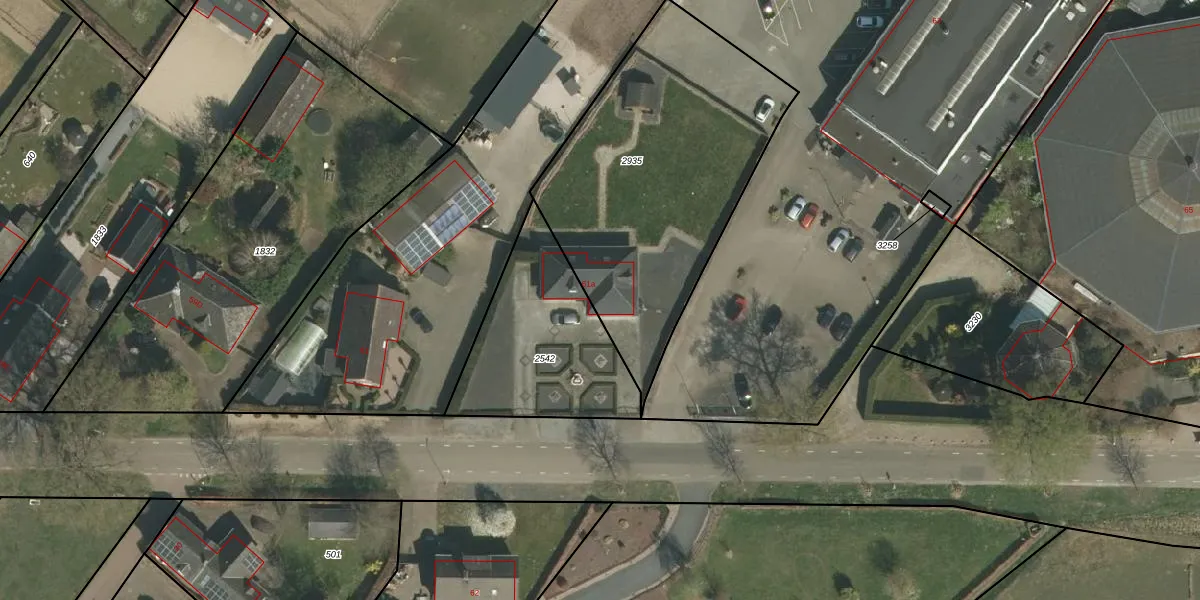
Het perceel waarop het adres ligt is PTH02-D-2935. De afkorting 'PTH02' staat voor kadastrale gemeente Posterholt. Het perceel is kleiner dan gemiddeld in Posterholt. Het perceel is 1425 m² groot, terwijl het gemiddelde ligt op 3873,31 m². De grootste perceeloppervlakte in de kadastrale gemeente is 35,3 ha. De kleinste oppervlakte bedraagt 0 m². Op het perceel bevinden zich geen andere adressen. De laatste wijziging in het de Basisregistratie Kadaster (BRK) was op 13-05-2009.
Het adres ligt in een gebouw van het type 'vrijstaande woning'. Bij de laatste meting is voor het adres het energielabel C geregistreerd. Het hoogste energielabel in de straat is A+; het laagste is G. Het gemiddelde energielabel is er D. Het adres Heinsbergerweg 61-a heeft als status: 'verblijfsobject in gebruik'. Het pand waarin dit adres ligt heeft als status: 'pand in gebruik'.
Heinsbergerweg 61-a is een adres gelegen in de gemeente Roerdalen, provincie Limburg. Dit adres is geregistreerd in de Basisregistratie Adressen en Gebouwen (BAG) met als unieke identificatie 1669010000228607.
Het pand op Heinsbergerweg 61-a is gebouwd in 1989, wat betekent dat het 37 jaar oud is. Dit is een pand van middelbare leeftijd. Het pand is van gemiddelde leeftijd en zal waarschijnlijk verouderde elementen bevatten.
De woning op Heinsbergerweg 61-a heeft een gebruiksoppervlakte van 180 m². Dit is ruim vergeleken met de gemiddelde Nederlandse woning, die een oppervlakte heeft van ongeveer 119 m². De gebruiksoppervlakte is de maat die wordt gebruikt in de BAG-registratie, de landelijke registratie van de Nederlandse overheid.
Heinsbergerweg 61-a heeft als functie: wonen. Deze gebruiksfunctie(s) zijn vastgelegd in de BAG-registratie en geven aan waarvoor het adres officieel mag worden gebruikt.
Heinsbergerweg 61-a is gelegen op kadastraal perceel PTH02D2935. Deze kadastrale aanduiding is uniek en wordt gebruikt door het Kadaster om eigendomsrechten en andere zakelijke rechten vast te leggen. Het perceel maakt onderdeel uit van de kadastrale gemeente Posterholt.
Het perceel waarop Heinsbergerweg 61-a staat heeft een oppervlakte van 1425 m². Dit is een zeer groot perceel. De perceeloppervlakte wordt geregistreerd door het Kadaster. Gedetailleerde informatie over de maten van dit perceel kunt u vinden in het rapport Kadastrale kaart met maatvoering van Heinsbergerweg 61-a.
De eigenaar van Heinsbergerweg 61-a is op te vragen op deze pagina.
De informatie over dit adres is afkomstig uit officiële overheidsregistraties, voornamelijk de Basisregistratie Adressen en Gebouwen (BAG) en de Basisregistratie Kadaster (BRK). Deze gegevens worden beheerd door respectievelijk gemeenten en het Kadaster, en worden regelmatig bijgewerkt. Energielabelgegevens komen uit de database van de Rijksdienst voor Ondernemend Nederland (RVO).
