
Brielsedreef 26516-TRAF is gelegen in de plaats Prinsenbeek, de gemeente Breda en de provincie Noord-Brabant. Het verblijfsobject is vergeleken met het Nederlandse gemiddelde aan de kleine kant: de oppervlakte is 7 m². Het perceel waarop het adres zich bevindt heeft een oppervlakte van 52 m². Er zijn geen kleinere objecten in deze straat. De gemiddelde oppervlakte is er 954 m². Het grootste verblijfsobject is 3,5 ha. In Nederland komt het grootste deel van de gebouwen uit de periode 1965-1984. Ook het bouwjaar van Brielsedreef 26516-TRAF is afkomstig uit die periode: het betreft namelijk een pand uit 1966. Het nieuwste gebouw in de straat komt uit 2025 en het oudste uit 1790. Dit object is relatief oud. De volgende gebruiksdoelen zijn geregistreerd voor dit adres: 'overige gebruiksfunctie'.
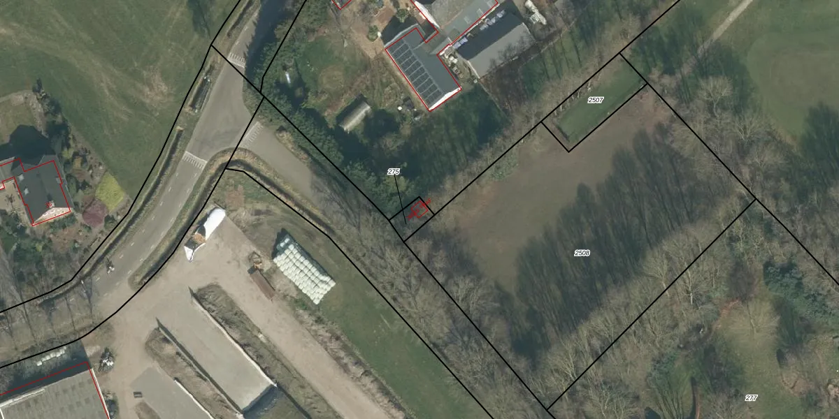
Het adres ligt op het perceel PSB00-H-275, dat zich in de kadastrale gemeente Prinsenbeek bevindt. Het perceel is 52 m² groot. Dat is kleiner dan de gemiddelde perceeloppervlakte in Prinsenbeek, dat op 2595,74 m² ligt. Het grootste perceel in de kadastrale gemeente is 18,1 ha. Het kleinste perceel heeft een oppervlakte van 0 m². Op het perceel bevinden zich geen andere adressen. De laatste wijziging in het de Basisregistratie Kadaster (BRK) was op 21-08-2006.
Er is geen energielabel geregistreerd voor het adres. Het hoogste energielabel in de straat is A+++; het laagste is G. Het gemiddelde energielabel is er C. Het adres Brielsedreef 26516-TRAF heeft als status: 'verblijfsobject in gebruik'. Het pand waarin dit adres ligt heeft als status: 'pand in gebruik'.
Brielsedreef 26516-TRAF is een adres gelegen in de gemeente Breda, provincie Noord-Brabant. Dit adres is geregistreerd in de Basisregistratie Adressen en Gebouwen (BAG) met als unieke identificatie 0758010000004343.
Het pand op Brielsedreef 26516-TRAF is gebouwd in 1966, wat betekent dat het 60 jaar oud is. Dit is een ouder pand. Het pand heeft mogelijk aanzienlijke renovaties nodig om aan de huidige standaarden te voldoen.
De woning op Brielsedreef 26516-TRAF heeft een gebruiksoppervlakte van 7 m². Dit is relatief klein vergeleken met de gemiddelde Nederlandse woning, die een oppervlakte heeft van ongeveer 119 m². De gebruiksoppervlakte is de maat die wordt gebruikt in de BAG-registratie, de landelijke registratie van de Nederlandse overheid.
Brielsedreef 26516-TRAF heeft als functie: overige doeleinden. Deze gebruiksfunctie(s) zijn vastgelegd in de BAG-registratie en geven aan waarvoor het adres officieel mag worden gebruikt.
Brielsedreef 26516-TRAF is gelegen op kadastraal perceel PSB00H275. Deze kadastrale aanduiding is uniek en wordt gebruikt door het Kadaster om eigendomsrechten en andere zakelijke rechten vast te leggen. Het perceel maakt onderdeel uit van de kadastrale gemeente Prinsenbeek.
Het perceel waarop Brielsedreef 26516-TRAF staat heeft een oppervlakte van 52 m². Dit is een klein perceel. De perceeloppervlakte wordt geregistreerd door het Kadaster. Gedetailleerde informatie over de maten van dit perceel kunt u vinden in het rapport Kadastrale kaart met maatvoering van Brielsedreef 26516-TRAF.
De eigenaar van Brielsedreef 26516-TRAF is op te vragen op deze pagina.
De informatie over dit adres is afkomstig uit officiële overheidsregistraties, voornamelijk de Basisregistratie Adressen en Gebouwen (BAG) en de Basisregistratie Kadaster (BRK). Deze gegevens worden beheerd door respectievelijk gemeenten en het Kadaster, en worden regelmatig bijgewerkt. Energielabelgegevens komen uit de database van de Rijksdienst voor Ondernemend Nederland (RVO).
