
Velsgoed 46 is een adres in Prinsenbeek, dat zich bevindt binnen de gemeentegrenzen van Prinsenbeek en de grenzen van de provincie Noord-Brabant. De oppervlakte van het verblijfsobject is met 294 m² aan de grote kant. Het perceel heeft een oppervlakte van 1095 m². Vergeleken met de andere verblijfsobjecten in de straat is dit object groot. De oppervlakte van het grootste object in de straat is 386 m², die van het kleinste bedraagt 101 m². Het pand waarin Velsgoed 46 ligt is gebouwd in het jaar 1998. Panden die gebouwd zijn na het jaar 1984 noemen we hier relatief nieuw. Dit object is relatief nieuw in de straat. Het nieuwste gebouw komt er uit het jaar 2007 en het oudste uit het jaar 1973. De volgende gebruiksdoelen zijn geregistreerd voor dit adres: 'woonfunctie' en 'gezondheidszorgfunctie'.
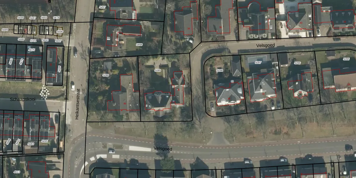
Het adres is gelegen op perceel 5089 in de sectie E en de kadastrale gemeente Prinsenbeek. De kadastrale aanduiding is aldus PSB00-E-5089. Het perceel is 1095 m² groot. Dat is kleiner dan de gemiddelde perceeloppervlakte in Prinsenbeek, dat op 2595,74 m² ligt. Het kleinste perceel in de kadastrale gemeente is 0 m² groot. De grootste perceeloppervlakte is 18,1 ha. Op het perceel bevinden zich geen andere adressen. De huidige grenzen van het perceel zijn digitaal in de Basisregistratie Kadaster (BRK) geregistreerd op 16-04-2007.
Er is geen energielabel geregistreerd voor het adres. Het hoogste energielabel in de straat is A+; het laagste is G. Het gemiddelde energielabel is er C. Het adres Velsgoed 46 heeft als status: 'verblijfsobject in gebruik'. Het pand waarin dit adres ligt heeft als status: 'pand in gebruik'.
Velsgoed 46 is een adres gelegen in de gemeente Breda, provincie Noord-Brabant. Dit adres is geregistreerd in de Basisregistratie Adressen en Gebouwen (BAG) met als unieke identificatie 0758010000082592.
Het pand op Velsgoed 46 is gebouwd in 1998, wat betekent dat het 28 jaar oud is. Dit is een pand van middelbare leeftijd. Het pand is van gemiddelde leeftijd en zal waarschijnlijk verouderde elementen bevatten.
De woning op Velsgoed 46 heeft een gebruiksoppervlakte van 294 m². Dit is ruim vergeleken met de gemiddelde Nederlandse woning, die een oppervlakte heeft van ongeveer 119 m². De gebruiksoppervlakte is de maat die wordt gebruikt in de BAG-registratie, de landelijke registratie van de Nederlandse overheid.
Velsgoed 46 heeft als functie: wonen en gezondheidszorg. Deze gebruiksfunctie(s) zijn vastgelegd in de BAG-registratie en geven aan waarvoor het adres officieel mag worden gebruikt.
Velsgoed 46 is gelegen op kadastraal perceel PSB00E5089. Deze kadastrale aanduiding is uniek en wordt gebruikt door het Kadaster om eigendomsrechten en andere zakelijke rechten vast te leggen. Het perceel maakt onderdeel uit van de kadastrale gemeente Prinsenbeek.
Het perceel waarop Velsgoed 46 staat heeft een oppervlakte van 1095 m². Dit is een zeer groot perceel. De perceeloppervlakte wordt geregistreerd door het Kadaster. Gedetailleerde informatie over de maten van dit perceel kunt u vinden in het rapport Kadastrale kaart met maatvoering van Velsgoed 46.
De eigenaar van Velsgoed 46 is op te vragen op deze pagina.
De informatie over dit adres is afkomstig uit officiële overheidsregistraties, voornamelijk de Basisregistratie Adressen en Gebouwen (BAG) en de Basisregistratie Kadaster (BRK). Deze gegevens worden beheerd door respectievelijk gemeenten en het Kadaster, en worden regelmatig bijgewerkt. Energielabelgegevens komen uit de database van de Rijksdienst voor Ondernemend Nederland (RVO).
