
Het adres Gooimeer 19 bevindt zich in de plaats Purmerend, in de gemeente Purmerend en de provincie Noord-Holland. De oppervlakte van het object bedraagt 59 m². Dat is klein vergeleken met het Nederlandse gemiddelde. Het perceel waarop het adres ligt is 3694 m² groot. Het adres is klein vergeleken met andere objecten in de straat. Het grootste object in de straat heeft een oppervlakte van 630 m², het kleinste is 6 m² groot. Gooimeer 19 ligt in een gebouw uit het jaar 1989. Daarmee behoort het tot de groep panden van na 1984, die we als relatief nieuw bestempelen. Dit is het oudste object in de straat. Het nieuwste pand komt uit 1998 en het gemiddelde bouwjaar in de straat is 1992. Voor het verblijfsobject gelden deze gebruiksdoelen: 'woonfunctie'.
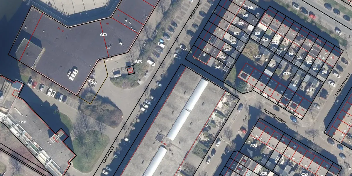
Het adres ligt op het perceel PMR00-H-2037, dat zich in de kadastrale gemeente Purmerend bevindt. Het perceel is met 3694 m² relatief groot. Het gemiddelde ligt in de kadastrale gemeente Purmerend op 876,42 m². Het grootste perceel in de kadastrale gemeente is 64,8 ha. Het kleinste perceel heeft een oppervlakte van 0 m². Op het perceel zijn 70 adressen aanwezig. In de Basisregistratie Kadaster (BRK) werden de grenzen van het perceel geregistreerd op 23-10-1997.
Het adres ligt in een gebouw van het type 'galerijwoning met het subtype tussenvloer'. Bij de laatste meting is voor het adres het energielabel A geregistreerd. Het hoogste energielabel in de straat is A+; het laagste is G. Het gemiddelde energielabel is er A. Het adres Gooimeer 19 heeft als status: 'verblijfsobject in gebruik'. Het pand waarin dit adres ligt heeft als status: 'pand in gebruik'.
Gooimeer 19 is een adres gelegen in de gemeente Purmerend, provincie Noord-Holland. Dit adres is geregistreerd in de Basisregistratie Adressen en Gebouwen (BAG) met als unieke identificatie 0439010000005079.
Het pand op Gooimeer 19 is gebouwd in 1989, wat betekent dat het 37 jaar oud is. Dit is een pand van middelbare leeftijd. Het pand is van gemiddelde leeftijd en zal waarschijnlijk verouderde elementen bevatten.
De woning op Gooimeer 19 heeft een gebruiksoppervlakte van 59 m². Dit is relatief klein vergeleken met de gemiddelde Nederlandse woning, die een oppervlakte heeft van ongeveer 119 m². De gebruiksoppervlakte is de maat die wordt gebruikt in de BAG-registratie, de landelijke registratie van de Nederlandse overheid.
Gooimeer 19 heeft als functie: wonen. Deze gebruiksfunctie(s) zijn vastgelegd in de BAG-registratie en geven aan waarvoor het adres officieel mag worden gebruikt.
Gooimeer 19 is gelegen op kadastraal perceel PMR00H2037. Deze kadastrale aanduiding is uniek en wordt gebruikt door het Kadaster om eigendomsrechten en andere zakelijke rechten vast te leggen. Het perceel maakt onderdeel uit van de kadastrale gemeente Purmerend.
Het perceel waarop Gooimeer 19 staat heeft een oppervlakte van 3694 m². Dit is een zeer groot perceel. De perceeloppervlakte wordt geregistreerd door het Kadaster. Gedetailleerde informatie over de maten van dit perceel kunt u vinden in het rapport Kadastrale kaart met maatvoering van Gooimeer 19.
De eigenaar van Gooimeer 19 is op te vragen op deze pagina.
De informatie over dit adres is afkomstig uit officiële overheidsregistraties, voornamelijk de Basisregistratie Adressen en Gebouwen (BAG) en de Basisregistratie Kadaster (BRK). Deze gegevens worden beheerd door respectievelijk gemeenten en het Kadaster, en worden regelmatig bijgewerkt. Energielabelgegevens komen uit de database van de Rijksdienst voor Ondernemend Nederland (RVO).
