
Het adres Purmerenderweg 1-A bevindt zich in de plaats Purmerend, in de gemeente Purmerend en de provincie Noord-Holland. De oppervlakte bedraagt 318 m², waarmee het adres groter dan gemiddeld is. De grootte van het perceel waarop het adres ligt is 785 m². Vergeleken met de andere verblijfsobjecten in de straat is dit object groot. De oppervlakte van het grootste object in de straat is 1238 m², die van het kleinste bedraagt 85 m². Purmerenderweg 1-A bevindt zich in een pand uit het jaar 1914. Daarmee behoort het tot de groep relatief oude panden in Nederland die gebouwd zijn vóór 1965. In de straat komt het nieuwste gebouw uit het jaar 2025 en het oudste uit 1873. Het bouwjaar van dit object is relatief oud. De volgende gebruiksdoelen zijn geregistreerd voor dit adres: 'woonfunctie'.
Deze woning is voor het laatst verkocht op 1 november 2001. Meer informatie over deze transactie? Bestel het Woningtransactierapport om de verkoopprijs en andere informatie te zien.
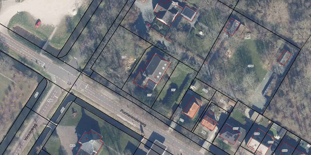
Het adres is gelegen op perceel 777 in de sectie A en de kadastrale gemeente Purmerend. De kadastrale aanduiding is aldus PMR00-A-777. Het perceel is 785 m² groot. Dat is kleiner dan de gemiddelde perceeloppervlakte in Purmerend, dat op 876,42 m² ligt. Het grootste perceel in de kadastrale gemeente is 64,8 ha. Het kleinste perceel heeft een oppervlakte van 0 m². Er zijn geen andere adressen aanwezig op het perceel. In de Basisregistratie Kadaster (BRK) werden de grenzen van het perceel geregistreerd op 10-02-2003.
Er is geen energielabel geregistreerd voor het adres. Het hoogste energielabel in de straat is A; het laagste is G. Het gemiddelde energielabel is er B. Het adres Purmerenderweg 1-A heeft als status: 'verblijfsobject in gebruik'. Het pand waarin dit adres ligt heeft als status: 'pand in gebruik'.
Purmerenderweg 1-A is een adres gelegen in de gemeente Purmerend, provincie Noord-Holland. Dit adres is geregistreerd in de Basisregistratie Adressen en Gebouwen (BAG) met als unieke identificatie 0439010000018891.
Het pand op Purmerenderweg 1-A is gebouwd in 1914, wat betekent dat het 112 jaar oud is. Dit is een ouder pand. Het pand heeft mogelijk aanzienlijke renovaties nodig om aan de huidige standaarden te voldoen.
De woning op Purmerenderweg 1-A heeft een gebruiksoppervlakte van 318 m². Dit is ruim vergeleken met de gemiddelde Nederlandse woning, die een oppervlakte heeft van ongeveer 119 m². De gebruiksoppervlakte is de maat die wordt gebruikt in de BAG-registratie, de landelijke registratie van de Nederlandse overheid.
Purmerenderweg 1-A heeft als functie: wonen. Deze gebruiksfunctie(s) zijn vastgelegd in de BAG-registratie en geven aan waarvoor het adres officieel mag worden gebruikt.
Purmerenderweg 1-A is gelegen op kadastraal perceel PMR00A777. Deze kadastrale aanduiding is uniek en wordt gebruikt door het Kadaster om eigendomsrechten en andere zakelijke rechten vast te leggen. Het perceel maakt onderdeel uit van de kadastrale gemeente Purmerend.
Het perceel waarop Purmerenderweg 1-A staat heeft een oppervlakte van 785 m². Dit is een groot perceel. De perceeloppervlakte wordt geregistreerd door het Kadaster. Gedetailleerde informatie over de maten van dit perceel kunt u vinden in het rapport Kadastrale kaart met maatvoering van Purmerenderweg 1-A.
De eigenaar van Purmerenderweg 1-A is op te vragen op deze pagina.
De informatie over dit adres is afkomstig uit officiële overheidsregistraties, voornamelijk de Basisregistratie Adressen en Gebouwen (BAG) en de Basisregistratie Kadaster (BRK). Deze gegevens worden beheerd door respectievelijk gemeenten en het Kadaster, en worden regelmatig bijgewerkt. Energielabelgegevens komen uit de database van de Rijksdienst voor Ondernemend Nederland (RVO).
