
Stationsweg 31 is een adres in Purmerend, dat zich bevindt binnen de gemeentegrenzen van Purmerend en de grenzen van de provincie Noord-Holland. Het perceel waarop het verblijfsobject staat is 1200 m² groot. De oppervlakte van het adres is 116 m², wat zich rond het Nederlandse gemiddelde van 119 m² bevindt. De oppervlakte van het adres is klein vergeleken met de andere objecten in de straat. De oppervlakte van het kleinste object in de straat bedraagt 9 m², terwijl het grootste object 310 m² groot is. In het jaar 2002 is het pand waarin Stationsweg 31 ligt gebouwd. Dat is relatief recent: de meeste gebouwen in Nederland zijn gebouwd in de periode 1965-1984. In de straat is dit het nieuwste pand en stamt het oudste object uit het jaar 1958. Het gemiddelde bouwjaar in de straat is 1998. Voor het verblijfsobject gelden deze gebruiksdoelen: 'kantoorfunctie'.
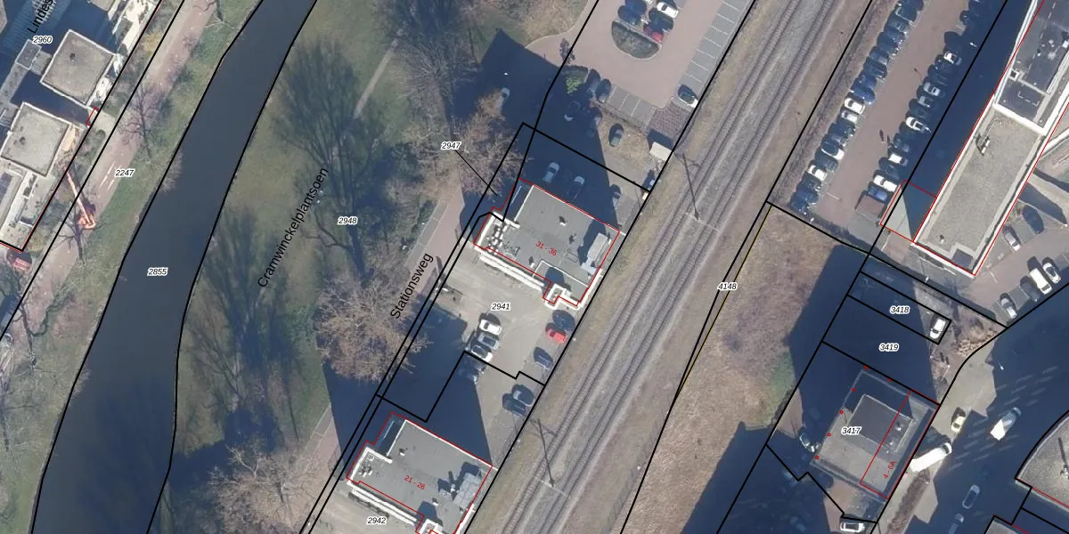
Het adres is gelegen op perceel 2941 in de sectie E en de kadastrale gemeente Purmerend. De kadastrale aanduiding is aldus PMR00-E-2941. Het perceel is met 1200 m² relatief groot. Het gemiddelde ligt in de kadastrale gemeente Purmerend op 876,67 m². De grootste perceeloppervlakte in de kadastrale gemeente is 64,8 ha. De kleinste oppervlakte bedraagt 0 m². Op het perceel zijn 6 adressen aanwezig. De huidige grenzen van het perceel zijn digitaal in de Basisregistratie Kadaster (BRK) geregistreerd op 28-08-2007.
Bij de laatste meting is voor het adres het energielabel A++ geregistreerd. Het hoogste energielabel in de straat is A++; het laagste is G. Het gemiddelde energielabel is er A. Het adres Stationsweg 31 heeft als status: 'verblijfsobject in gebruik'. Het pand waarin dit adres ligt heeft als status: 'pand in gebruik'.
Stationsweg 31 is een adres gelegen in de gemeente Purmerend, provincie Noord-Holland. Dit adres is geregistreerd in de Basisregistratie Adressen en Gebouwen (BAG) met als unieke identificatie 0439010000017622.
Het pand op Stationsweg 31 is gebouwd in 2002, wat betekent dat het 24 jaar oud is. Dit is een relatief modern pand. Ten opzichte van de nationale woningvoorraad is het pand relatief modern, maar er kunnen enkele verouderde elementen zijn die aandacht nodig hebben.
De woning op Stationsweg 31 heeft een gebruiksoppervlakte van 116 m². Dit is onder het gemiddelde vergeleken met de gemiddelde Nederlandse woning, die een oppervlakte heeft van ongeveer 119 m². De gebruiksoppervlakte is de maat die wordt gebruikt in de BAG-registratie, de landelijke registratie van de Nederlandse overheid.
Stationsweg 31 heeft als functie: kantoor. Deze gebruiksfunctie(s) zijn vastgelegd in de BAG-registratie en geven aan waarvoor het adres officieel mag worden gebruikt.
Stationsweg 31 is gelegen op kadastraal perceel PMR00E2941. Deze kadastrale aanduiding is uniek en wordt gebruikt door het Kadaster om eigendomsrechten en andere zakelijke rechten vast te leggen. Het perceel maakt onderdeel uit van de kadastrale gemeente Purmerend.
Het perceel waarop Stationsweg 31 staat heeft een oppervlakte van 1200 m². Dit is een zeer groot perceel. De perceeloppervlakte wordt geregistreerd door het Kadaster. Gedetailleerde informatie over de maten van dit perceel kunt u vinden in het rapport Kadastrale kaart met maatvoering van Stationsweg 31.
De eigenaar van Stationsweg 31 is op te vragen op deze pagina.
De informatie over dit adres is afkomstig uit officiële overheidsregistraties, voornamelijk de Basisregistratie Adressen en Gebouwen (BAG) en de Basisregistratie Kadaster (BRK). Deze gegevens worden beheerd door respectievelijk gemeenten en het Kadaster, en worden regelmatig bijgewerkt. Energielabelgegevens komen uit de database van de Rijksdienst voor Ondernemend Nederland (RVO).
