
2e Verdelingsweg 10 is een adres in Putte, dat zich bevindt binnen de gemeentegrenzen van Putte en de grenzen van de provincie Noord-Brabant. De oppervlakte van het adres is 102 m². Dat is vergelijkbaar met het gemiddelde Nederlandse oppervlakte van 119 m². De oppervlakte van het perceel waarin het adres ligt is 61 m². Dit is het kleinste object van de straat. De gemiddelde oppervlakte van verblijfsobjecten is er 206 m². De grootste oppervlakte in de straat is 390 m². Het adres 2e Verdelingsweg 10 ligt in een relatief oud pand uit het jaar 1930. Panden van vóór het jaar 1965 hebben we hier geclassificeerd als oud. Gemiddeld zijn de gebouwen in de straat gebouwd in 1948. Dit is het oudste pand in de straat. Het meest recente komt uit het jaar 1990. Het verblijfsobject heeft de volgende gebruiksdoelen: 'woonfunctie'.
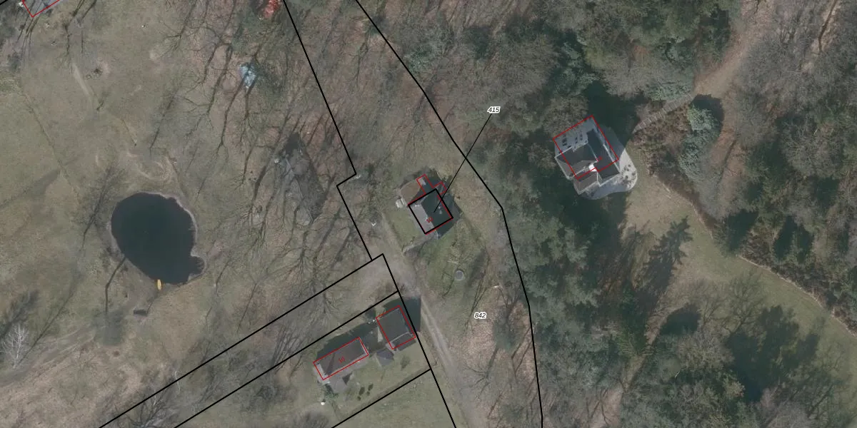
Het adres is gelegen op perceel 415 in de sectie A en de kadastrale gemeente Putte. De kadastrale aanduiding is aldus PTE00-A-415. Het perceel is kleiner dan gemiddeld in Putte. Het perceel is 61 m² groot, terwijl het gemiddelde ligt op 5707,44 m². De grootste perceeloppervlakte in de kadastrale gemeente is 1,33 km². De kleinste oppervlakte bedraagt 0 m². Op het perceel bevinden zich geen andere adressen. De huidige grenzen van het perceel zijn digitaal in de Basisregistratie Kadaster (BRK) geregistreerd op 20-05-2005.
Er is geen energielabel geregistreerd voor het adres. Het hoogste energielabel in de straat is G; het laagste is G. Het gemiddelde energielabel is er G. Het adres 2e Verdelingsweg 10 heeft als status: 'verblijfsobject in gebruik'. Het pand waarin dit adres ligt heeft als status: 'pand in gebruik'.
2e Verdelingsweg 10 is een adres gelegen in de gemeente Woensdrecht, provincie Noord-Brabant. Dit adres is geregistreerd in de Basisregistratie Adressen en Gebouwen (BAG) met als unieke identificatie 0873010000440548.
Het pand op 2e Verdelingsweg 10 is gebouwd in 1930, wat betekent dat het 96 jaar oud is. Dit is een ouder pand. Het pand heeft mogelijk aanzienlijke renovaties nodig om aan de huidige standaarden te voldoen.
De woning op 2e Verdelingsweg 10 heeft een gebruiksoppervlakte van 102 m². Dit is onder het gemiddelde vergeleken met de gemiddelde Nederlandse woning, die een oppervlakte heeft van ongeveer 119 m². De gebruiksoppervlakte is de maat die wordt gebruikt in de BAG-registratie, de landelijke registratie van de Nederlandse overheid.
2e Verdelingsweg 10 heeft als functie: wonen. Deze gebruiksfunctie(s) zijn vastgelegd in de BAG-registratie en geven aan waarvoor het adres officieel mag worden gebruikt.
2e Verdelingsweg 10 is gelegen op kadastraal perceel PTE00A415. Deze kadastrale aanduiding is uniek en wordt gebruikt door het Kadaster om eigendomsrechten en andere zakelijke rechten vast te leggen. Het perceel maakt onderdeel uit van de kadastrale gemeente Putte.
Het perceel waarop 2e Verdelingsweg 10 staat heeft een oppervlakte van 61 m². Dit is een klein perceel. De perceeloppervlakte wordt geregistreerd door het Kadaster. Gedetailleerde informatie over de maten van dit perceel kunt u vinden in het rapport Kadastrale kaart met maatvoering van 2e Verdelingsweg 10.
De eigenaar van 2e Verdelingsweg 10 is op te vragen op deze pagina.
De informatie over dit adres is afkomstig uit officiële overheidsregistraties, voornamelijk de Basisregistratie Adressen en Gebouwen (BAG) en de Basisregistratie Kadaster (BRK). Deze gegevens worden beheerd door respectievelijk gemeenten en het Kadaster, en worden regelmatig bijgewerkt. Energielabelgegevens komen uit de database van de Rijksdienst voor Ondernemend Nederland (RVO).
