
Hoorneweg 17-14 is gelegen in de plaats Putten, de gemeente Putten en de provincie Gelderland. Het perceel waarop het adres gelegen is heeft een oppervlakte van 7200 m². Het verblijfsobject is met 37 m² relatief klein. Het adres is klein vergeleken met andere objecten in de straat. Het grootste object in de straat heeft een oppervlakte van 460 m², het kleinste is 7 m² groot. De meeste Nederlandse gebouwen zijn gebouwd in de periode 1965-1984. Zo ook het pand waarin Hoorneweg 17-14 ligt, dat gebouwd is in 1967. Het bouwjaar is oud vergeleken met dat van de andere panden in de straat. Het oudste bouwjaar is er 1890 en de nieuwste is 2022. Voor het verblijfsobject gelden deze gebruiksdoelen: 'logiesfunctie'.
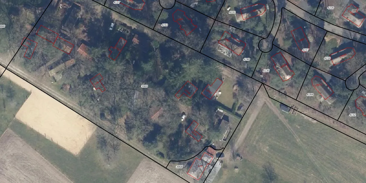
Het adres ligt op het perceel PTN01-D-3969, dat zich in de kadastrale gemeente Putten bevindt. Het perceel is met 7200 m² relatief groot. Het gemiddelde ligt in de kadastrale gemeente Putten op 5114,72 m². De grootste perceeloppervlakte in de kadastrale gemeente is 64,6 ha. De kleinste oppervlakte bedraagt 0 m². Er zijn 15 adressen aanwezig op het perceel. De laatste wijziging in het de Basisregistratie Kadaster (BRK) was op 19-11-2020.
Er is geen energielabel geregistreerd voor het adres. Het hoogste energielabel in de straat is A+++; het laagste is G. Het gemiddelde energielabel is er A. Het adres Hoorneweg 17-14 heeft als status: 'verblijfsobject in gebruik'. Het pand waarin dit adres ligt heeft als status: 'pand in gebruik'.
Hoorneweg 17-14 is een adres gelegen in de gemeente Putten, provincie Gelderland. Dit adres is geregistreerd in de Basisregistratie Adressen en Gebouwen (BAG) met als unieke identificatie 0273010000005948.
Het pand op Hoorneweg 17-14 is gebouwd in 1967, wat betekent dat het 59 jaar oud is. Dit is een ouder pand. Het pand heeft mogelijk aanzienlijke renovaties nodig om aan de huidige standaarden te voldoen.
De woning op Hoorneweg 17-14 heeft een gebruiksoppervlakte van 37 m². Dit is relatief klein vergeleken met de gemiddelde Nederlandse woning, die een oppervlakte heeft van ongeveer 119 m². De gebruiksoppervlakte is de maat die wordt gebruikt in de BAG-registratie, de landelijke registratie van de Nederlandse overheid.
Hoorneweg 17-14 heeft als functie: logies/verblijf. Deze gebruiksfunctie(s) zijn vastgelegd in de BAG-registratie en geven aan waarvoor het adres officieel mag worden gebruikt.
Hoorneweg 17-14 is gelegen op kadastraal perceel PTN01D3969. Deze kadastrale aanduiding is uniek en wordt gebruikt door het Kadaster om eigendomsrechten en andere zakelijke rechten vast te leggen. Het perceel maakt onderdeel uit van de kadastrale gemeente Putten.
Het perceel waarop Hoorneweg 17-14 staat heeft een oppervlakte van 7200 m². Dit is een zeer groot perceel. De perceeloppervlakte wordt geregistreerd door het Kadaster. Gedetailleerde informatie over de maten van dit perceel kunt u vinden in het rapport Kadastrale kaart met maatvoering van Hoorneweg 17-14.
De eigenaar van Hoorneweg 17-14 is op te vragen op deze pagina.
De informatie over dit adres is afkomstig uit officiële overheidsregistraties, voornamelijk de Basisregistratie Adressen en Gebouwen (BAG) en de Basisregistratie Kadaster (BRK). Deze gegevens worden beheerd door respectievelijk gemeenten en het Kadaster, en worden regelmatig bijgewerkt. Energielabelgegevens komen uit de database van de Rijksdienst voor Ondernemend Nederland (RVO).
