
Het adres Leembruggerweg 14 bevindt zich in de plaats Putten, in de gemeente Putten en de provincie Gelderland. De oppervlakte van het verblijfsobject is met 170 m² aan de grote kant. Het perceel heeft een oppervlakte van 84 m². Het adres is klein vergeleken met andere objecten in de straat. Het grootste object in de straat heeft een oppervlakte van 720 m², het kleinste is 62 m² groot. In het jaar 2003 is het pand waarin Leembruggerweg 14 ligt gebouwd. Dat is relatief recent: de meeste gebouwen in Nederland zijn gebouwd in de periode 1965-1984. Dit object is relatief nieuw in de straat. Het nieuwste gebouw komt er uit het jaar 2016 en het oudste uit het jaar 1899. Het verblijfsobject heeft de volgende gebruiksdoelen: 'woonfunctie'.
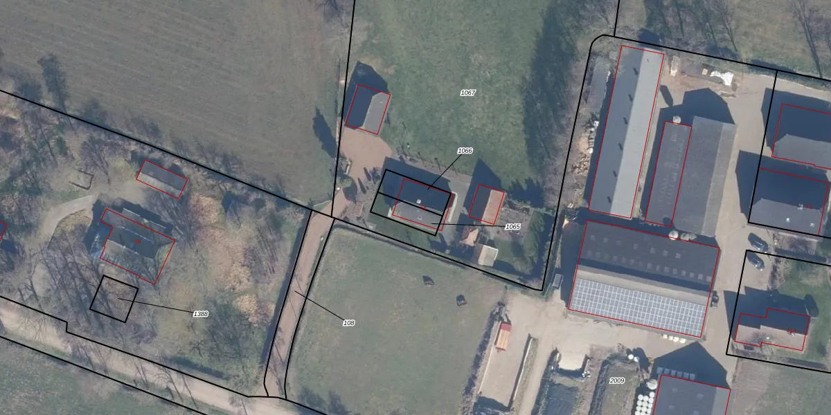
Het adres ligt op het perceel PTN01-I-1065, dat zich in de kadastrale gemeente Putten bevindt. Het perceel is kleiner dan gemiddeld in Putten. Het perceel is 84 m² groot, terwijl het gemiddelde ligt op 5115,02 m². De grootste perceeloppervlakte in de kadastrale gemeente is 64,6 ha. De kleinste oppervlakte bedraagt 0 m². Op het perceel bevinden zich geen andere adressen. In de Basisregistratie Kadaster (BRK) werden de grenzen van het perceel geregistreerd op 17-11-1998.
Er is geen energielabel geregistreerd voor het adres. Het hoogste energielabel in de straat is A; het laagste is G. Het gemiddelde energielabel is er B. Het adres Leembruggerweg 14 heeft als status: 'verblijfsobject in gebruik'. Het pand waarin dit adres ligt heeft als status: 'pand in gebruik'.
Leembruggerweg 14 is een adres gelegen in de gemeente Putten, provincie Gelderland. Dit adres is geregistreerd in de Basisregistratie Adressen en Gebouwen (BAG) met als unieke identificatie 0273010000004182.
Het pand op Leembruggerweg 14 is gebouwd in 2003, wat betekent dat het 23 jaar oud is. Dit is een relatief modern pand. Ten opzichte van de nationale woningvoorraad is het pand relatief modern, maar er kunnen enkele verouderde elementen zijn die aandacht nodig hebben.
De woning op Leembruggerweg 14 heeft een gebruiksoppervlakte van 170 m². Dit is ruim vergeleken met de gemiddelde Nederlandse woning, die een oppervlakte heeft van ongeveer 119 m². De gebruiksoppervlakte is de maat die wordt gebruikt in de BAG-registratie, de landelijke registratie van de Nederlandse overheid.
Leembruggerweg 14 heeft als functie: wonen. Deze gebruiksfunctie(s) zijn vastgelegd in de BAG-registratie en geven aan waarvoor het adres officieel mag worden gebruikt.
Leembruggerweg 14 is gelegen op kadastraal perceel PTN01I1065. Deze kadastrale aanduiding is uniek en wordt gebruikt door het Kadaster om eigendomsrechten en andere zakelijke rechten vast te leggen. Het perceel maakt onderdeel uit van de kadastrale gemeente Putten.
Het perceel waarop Leembruggerweg 14 staat heeft een oppervlakte van 84 m². Dit is een klein perceel. De perceeloppervlakte wordt geregistreerd door het Kadaster. Gedetailleerde informatie over de maten van dit perceel kunt u vinden in het rapport Kadastrale kaart met maatvoering van Leembruggerweg 14.
De eigenaar van Leembruggerweg 14 is op te vragen op deze pagina.
De informatie over dit adres is afkomstig uit officiële overheidsregistraties, voornamelijk de Basisregistratie Adressen en Gebouwen (BAG) en de Basisregistratie Kadaster (BRK). Deze gegevens worden beheerd door respectievelijk gemeenten en het Kadaster, en worden regelmatig bijgewerkt. Energielabelgegevens komen uit de database van de Rijksdienst voor Ondernemend Nederland (RVO).
