
Oude Prinsenweg 1-107 is gelegen in de plaats Putten, de gemeente Putten en de provincie Gelderland. Het object heeft een oppervlakte van 387 m², wat relatief groot is. Het perceel waarop het adres ligt is 6,0 ha groot. Vergeleken met de andere verblijfsobjecten in de straat is dit object groot. De oppervlakte van het grootste object in de straat is 591 m², die van het kleinste bedraagt 27 m². Het adres Oude Prinsenweg 1-107 ligt in een relatief oud pand uit het jaar null. Panden van vóór het jaar 1965 hebben we hier geclassificeerd als oud. Het gemiddelde bouwjaar in de straat is 2000 en dat van het nieuwste object 2025. In de straat is dit het oudste pand. De volgende gebruiksdoelen zijn geregistreerd voor dit adres: 'standplaats'.
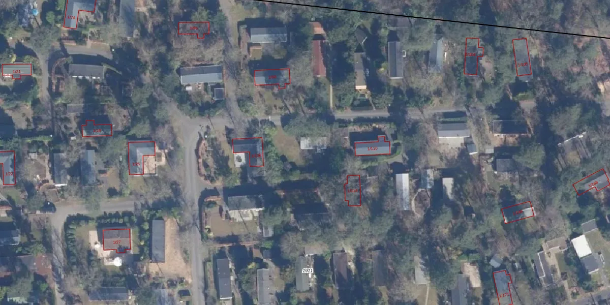
Het adres is gelegen op perceel 1911 in de sectie D en de kadastrale gemeente Putten. De kadastrale aanduiding is aldus PTN01-D-1911. De oppervlakte van het perceel is 6,0 ha. Dat is groter dan gemiddeld in Putten, waar de gemiddelde perceeloppervlakte op 5114,72 m² ligt. De grootste perceeloppervlakte in de kadastrale gemeente is 64,6 ha. De kleinste oppervlakte bedraagt 0 m². Er zijn 132 adressen aanwezig op het perceel. De laatste wijziging in het de Basisregistratie Kadaster (BRK) was op 09-10-2012.
Er is geen energielabel geregistreerd voor het adres. Het hoogste energielabel in de straat is A+++; het laagste is G. Het gemiddelde energielabel is er B. Het adres Oude Prinsenweg 1-107 heeft als status: 'plaats aangewezen'. Het pand waarin dit adres ligt heeft als status: 'undefined'.
Oude Prinsenweg 1-107 is een adres gelegen in de gemeente Putten, provincie Gelderland. Dit adres is geregistreerd in de Basisregistratie Adressen en Gebouwen (BAG) met als unieke identificatie 0273030000024100.
De woning op Oude Prinsenweg 1-107 heeft een gebruiksoppervlakte van 387 m². Dit is ruim vergeleken met de gemiddelde Nederlandse woning, die een oppervlakte heeft van ongeveer 119 m². De gebruiksoppervlakte is de maat die wordt gebruikt in de BAG-registratie, de landelijke registratie van de Nederlandse overheid.
Oude Prinsenweg 1-107 heeft als functie: standplaats. Deze gebruiksfunctie(s) zijn vastgelegd in de BAG-registratie en geven aan waarvoor het adres officieel mag worden gebruikt.
Oude Prinsenweg 1-107 is gelegen op kadastraal perceel PTN01D1911. Deze kadastrale aanduiding is uniek en wordt gebruikt door het Kadaster om eigendomsrechten en andere zakelijke rechten vast te leggen. Het perceel maakt onderdeel uit van de kadastrale gemeente Putten.
Het perceel waarop Oude Prinsenweg 1-107 staat heeft een oppervlakte van 6,0 ha. Dit is een zeer groot perceel. De perceeloppervlakte wordt geregistreerd door het Kadaster. Gedetailleerde informatie over de maten van dit perceel kunt u vinden in het rapport Kadastrale kaart met maatvoering van Oude Prinsenweg 1-107.
De eigenaar van Oude Prinsenweg 1-107 is op te vragen op deze pagina.
De informatie over dit adres is afkomstig uit officiële overheidsregistraties, voornamelijk de Basisregistratie Adressen en Gebouwen (BAG) en de Basisregistratie Kadaster (BRK). Deze gegevens worden beheerd door respectievelijk gemeenten en het Kadaster, en worden regelmatig bijgewerkt. Energielabelgegevens komen uit de database van de Rijksdienst voor Ondernemend Nederland (RVO).
