
Voorthuizerstraat 103-1 is gelegen in de plaats Putten, de gemeente Putten en de provincie Gelderland. De oppervlakte bedraagt 239 m², waarmee het adres groter dan gemiddeld is. De grootte van het perceel waarop het adres ligt is 7360 m². De oppervlakte van dit adres is groot vergeleken met de oppervlaktes van andere adressen in de straat. De kleinste oppervlakte bedraagt er 19 m², de grootste 2,3 ha. Het adres Voorthuizerstraat 103-1 ligt in een relatief oud pand uit het jaar null. Panden van vóór het jaar 1965 hebben we hier geclassificeerd als oud. Dit is het oudste object in de straat. Het nieuwste pand komt uit 2026 en het gemiddelde bouwjaar in de straat is 1965. Voor het verblijfsobject gelden deze gebruiksdoelen: 'standplaats'.
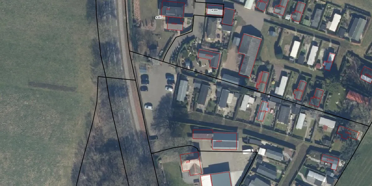
Het adres ligt op het perceel PTN01-D-3813, dat zich in de kadastrale gemeente Putten bevindt. Het perceel is met 7360 m² relatief groot. Het gemiddelde ligt in de kadastrale gemeente Putten op 5114,72 m². De grootste perceeloppervlakte in de kadastrale gemeente is 64,6 ha. De kleinste oppervlakte bedraagt 0 m². Op het perceel zijn 27 adressen aanwezig. De laatste wijziging in het de Basisregistratie Kadaster (BRK) was op 13-12-2006.
Er is geen energielabel geregistreerd voor het adres. Het hoogste energielabel in de straat is A++++; het laagste is G. Het gemiddelde energielabel is er D. Het adres Voorthuizerstraat 103-1 heeft als status: 'plaats aangewezen'. Het pand waarin dit adres ligt heeft als status: 'undefined'.
Voorthuizerstraat 103-1 is een adres gelegen in de gemeente Putten, provincie Gelderland. Dit adres is geregistreerd in de Basisregistratie Adressen en Gebouwen (BAG) met als unieke identificatie 0273030000002027.
De woning op Voorthuizerstraat 103-1 heeft een gebruiksoppervlakte van 239 m². Dit is ruim vergeleken met de gemiddelde Nederlandse woning, die een oppervlakte heeft van ongeveer 119 m². De gebruiksoppervlakte is de maat die wordt gebruikt in de BAG-registratie, de landelijke registratie van de Nederlandse overheid.
Voorthuizerstraat 103-1 heeft als functie: standplaats. Deze gebruiksfunctie(s) zijn vastgelegd in de BAG-registratie en geven aan waarvoor het adres officieel mag worden gebruikt.
Voorthuizerstraat 103-1 is gelegen op kadastraal perceel PTN01D3813. Deze kadastrale aanduiding is uniek en wordt gebruikt door het Kadaster om eigendomsrechten en andere zakelijke rechten vast te leggen. Het perceel maakt onderdeel uit van de kadastrale gemeente Putten.
Het perceel waarop Voorthuizerstraat 103-1 staat heeft een oppervlakte van 7360 m². Dit is een zeer groot perceel. De perceeloppervlakte wordt geregistreerd door het Kadaster. Gedetailleerde informatie over de maten van dit perceel kunt u vinden in het rapport Kadastrale kaart met maatvoering van Voorthuizerstraat 103-1.
De eigenaar van Voorthuizerstraat 103-1 is op te vragen op deze pagina.
De informatie over dit adres is afkomstig uit officiële overheidsregistraties, voornamelijk de Basisregistratie Adressen en Gebouwen (BAG) en de Basisregistratie Kadaster (BRK). Deze gegevens worden beheerd door respectievelijk gemeenten en het Kadaster, en worden regelmatig bijgewerkt. Energielabelgegevens komen uit de database van de Rijksdienst voor Ondernemend Nederland (RVO).
