Product Functies Prijzen Meer

Adressen

Gebruik de zoekbalk of klik op een perceel voor informatie over de adressen binnen dit perceel.
Locatie
Meten
Lagen
Download

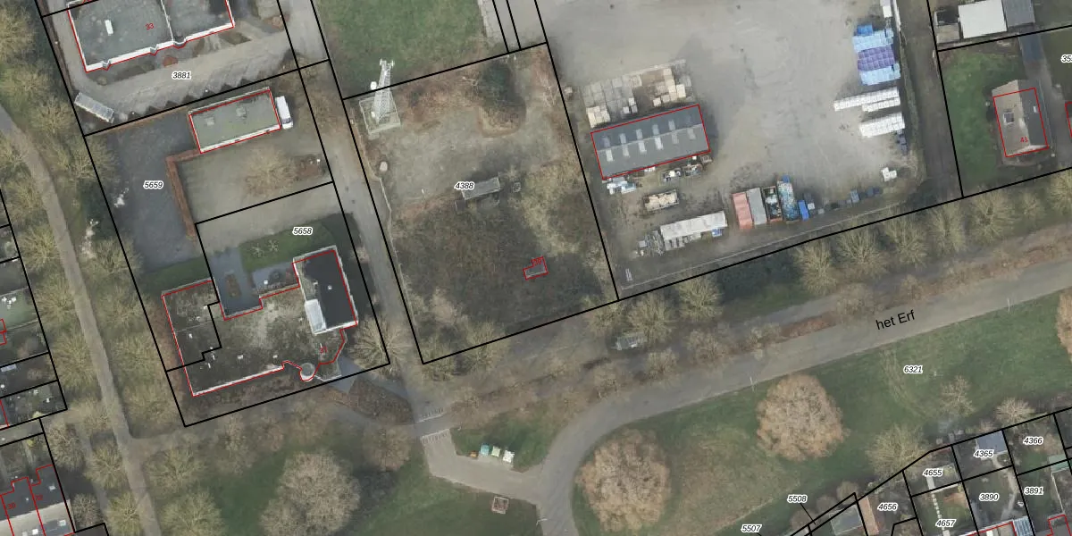
het Erf 39

8102KE, Raalte

1519312 Wat moet ik bieden voor deze woning?
10 m²
overige gebruiksfunctie
1.981 m² perceeloppervlakte
?

het Erf 39 is een adres in Raalte, dat zich bevindt binnen de gemeentegrenzen van Raalte en de grenzen van de provincie Overijssel. Het verblijfsobject is vergeleken met het Nederlandse gemiddelde aan de kleine kant: de oppervlakte is 10 m². Het perceel waarop het adres zich bevindt heeft een oppervlakte van 1981 m². Dit is het kleinste object van de straat. De gemiddelde oppervlakte van verblijfsobjecten is er 194 m². De grootste oppervlakte in de straat is 768 m². Het gebouw waarin het Erf 39 ligt komt uit het jaar 1963. Objecten die gebouwd zijn vóór 1965 classificeren we hier als oud. Het nieuwste gebouw in de straat komt uit 1993 en het oudste uit 1938. Dit object is relatief oud. Het verblijfsobject heeft de volgende gebruiksdoelen: 'overige gebruiksfunctie'.

Perceel

Het adres is gelegen op perceel 4388 in de sectie F en de kadastrale gemeente Raalte. De kadastrale aanduiding is aldus RTE00-F-4388. Het perceel is kleiner dan gemiddeld in Raalte. Het perceel is 1981 m² groot, terwijl het gemiddelde ligt op 6671,37 m². Het kleinste perceel in de kadastrale gemeente is 0 m² groot. De grootste perceeloppervlakte is 1,34 km². Op het perceel bevinden zich geen andere adressen. De huidige grenzen van het perceel zijn digitaal in de Basisregistratie Kadaster (BRK) geregistreerd op 04-07-2007.

Energielabel en status

Er is geen energielabel geregistreerd voor het adres. Het hoogste energielabel in de straat is A; het laagste is G. Het gemiddelde energielabel is er B. Het adres het Erf 39 heeft als status: 'verblijfsobject in gebruik'. Het pand waarin dit adres ligt heeft als status: 'pand in gebruik'.

Meer lezen

Adres

Gebruiksoppervlakte
10 m²
Bruto vloeroppervlakte
0h1880 XOCq9H6Upgrade naar KadastraleKaart Pro
Gebruiksdoel(en)
Overige Gebruiksfunctie
Status
Verblijfsobject in gebruik
Type
Onbekend
Gasloos
AHFypJQE98dhG5fdR1Upgrade naar KadastraleKaart Pro
Gebeurtenissen
Appartementsrechten
N 7FBrdTsej gn LtGUeriUpgrade naar KadastraleKaart Pro
Eigenaar
Eigendomsinformatie 12,95
Adresinformatie bestellen
Adrespakket 34,95
VBO ID
0177010000234396

Pand

Bouwjaar pand
1963
Aantal adressen in dit gebouw
1 adres
Hoogte pand
5OH Je0lNrEUpgrade naar KadastraleKaart Pro
Aantal bouwlagen (schatting)
7o8FxehoxSRoj BpOicUpgrade naar KadastraleKaart Pro
Volume
IFacbdW uC2UhZ gexwY OGUpgrade naar KadastraleKaart Pro
Oppervlakte dak
GajAc 52cR7UU4j1KosUpgrade naar KadastraleKaart Pro
Oppervlakte buitenmuur
ZqL0j1 BkZtl ThisrpMv3Upgrade naar KadastraleKaart Pro
Status pand
Pand in gebruik
Pand ID
0177100000248191

Perceel

Kadastrale aanduiding
Raalte F 4388 (RTE00 F 4388)
Oppervlakte
1.981 m²
Maatvoering
Kadastrale kaart met maatvoering 59,95
Omtrek
180 meter
Datum laatst gewijzigd
04/07/2007
Aantal adressen op perceel
1
Hoogte boven N.A.P.
Ed lLml kUpgrade naar KadastraleKaart Pro

Veelgestelde vragen

het Erf 39 is een adres gelegen in de gemeente Raalte, provincie Overijssel. Dit adres is geregistreerd in de Basisregistratie Adressen en Gebouwen (BAG) met als unieke identificatie 0177010000234396.

Het pand op het Erf 39 is gebouwd in 1963, wat betekent dat het 63 jaar oud is. Dit is een ouder pand. Het pand heeft mogelijk aanzienlijke renovaties nodig om aan de huidige standaarden te voldoen.

De woning op het Erf 39 heeft een gebruiksoppervlakte van 10 m². Dit is relatief klein vergeleken met de gemiddelde Nederlandse woning, die een oppervlakte heeft van ongeveer 119 m². De gebruiksoppervlakte is de maat die wordt gebruikt in de BAG-registratie, de landelijke registratie van de Nederlandse overheid.

het Erf 39 heeft als functie: overige doeleinden. Deze gebruiksfunctie(s) zijn vastgelegd in de BAG-registratie en geven aan waarvoor het adres officieel mag worden gebruikt.

het Erf 39 is gelegen op kadastraal perceel RTE00F4388. Deze kadastrale aanduiding is uniek en wordt gebruikt door het Kadaster om eigendomsrechten en andere zakelijke rechten vast te leggen. Het perceel maakt onderdeel uit van de kadastrale gemeente Raalte.

Het perceel waarop het Erf 39 staat heeft een oppervlakte van 1981 m². Dit is een zeer groot perceel. De perceeloppervlakte wordt geregistreerd door het Kadaster. Gedetailleerde informatie over de maten van dit perceel kunt u vinden in het rapport Kadastrale kaart met maatvoering van het Erf 39.

De eigenaar van het Erf 39 is op te vragen op deze pagina.

De informatie over dit adres is afkomstig uit officiële overheidsregistraties, voornamelijk de Basisregistratie Adressen en Gebouwen (BAG) en de Basisregistratie Kadaster (BRK). Deze gegevens worden beheerd door respectievelijk gemeenten en het Kadaster, en worden regelmatig bijgewerkt. Energielabelgegevens komen uit de database van de Rijksdienst voor Ondernemend Nederland (RVO).

Maatvoeringsrapport

Wie is de eigenaar?

Bekijk de eigenaar van het Erf 39 met de eigendomsinformatie.
Bekijk de eigenaar van dit adres.
Maatvoeringsrapport

Maatvoering van het perceel

Bestel de maatvoering voor het Erf 39 met het maatvoeringsrapport.
Bestel de maatvoering voor dit adres.

360°-foto's van de omgeving

Google Street View
Upgrade nu voor 360° Street View foto's

Zon en schaduw rondom adres

Buurt
De Vloedkampen
Inwoners: 1.230
Woningen: 514
Wijk
Raalte
Inwoners: 19.995
Woningen: 8.727
Gemeente
Raalte
Inwoners: 38.364
Woningen: 16.171