
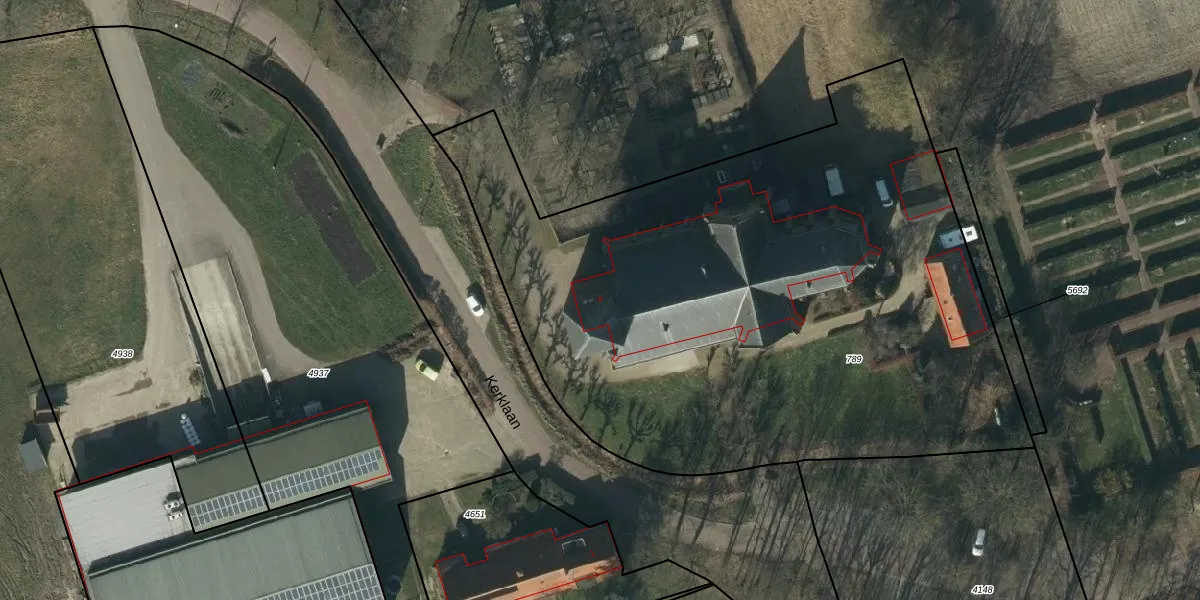
Het adres Kerklaan 4 bevindt zich in de plaats Raamsdonk, in de gemeente Raamsdonk en de provincie Noord-Brabant. De oppervlakte van het verblijfsobject is met 645 m² aan de grote kant. Het perceel heeft een oppervlakte van 4135 m². De oppervlakte van dit adres is groot vergeleken met de oppervlaktes van andere adressen in de straat. De kleinste oppervlakte bedraagt er 66 m², de grootste 863 m². Het adres Kerklaan 4 ligt in een relatief oud pand uit het jaar 1850. Panden van vóór het jaar 1965 hebben we hier geclassificeerd als oud. Gemiddeld zijn de gebouwen in de straat gebouwd in 1940. Dit is het oudste pand in de straat. Het meest recente komt uit het jaar 2004. Voor het verblijfsobject gelden deze gebruiksdoelen: 'bijeenkomstfunctie'.
Het adres ligt op het perceel RDK02-K-789, dat zich in de kadastrale gemeente Raamsdonk bevindt. Het perceel is met 4135 m² relatief groot. Het gemiddelde ligt in de kadastrale gemeente Raamsdonk op 2753,27 m². De grootste perceeloppervlakte in de kadastrale gemeente is 30,7 ha. De kleinste oppervlakte bedraagt 0 m². Op het perceel liggen in totaal 2 adressen. In de Basisregistratie Kadaster (BRK) werden de grenzen van het perceel geregistreerd op 03-12-2024.
Er is geen energielabel geregistreerd voor het adres. Het hoogste energielabel in de straat is A+; het laagste is G. Het gemiddelde energielabel is er C. Het adres Kerklaan 4 heeft als status: 'verblijfsobject in gebruik'. Het pand waarin dit adres ligt heeft als status: 'pand in gebruik'.
Kerklaan 4 is een adres gelegen in de gemeente Geertruidenberg, provincie Noord-Brabant. Dit adres is geregistreerd in de Basisregistratie Adressen en Gebouwen (BAG) met als unieke identificatie 0779010000005067.
Het pand op Kerklaan 4 is gebouwd in 1850, wat betekent dat het 176 jaar oud is. Dit is een ouder pand. Het pand heeft mogelijk aanzienlijke renovaties nodig om aan de huidige standaarden te voldoen.
De woning op Kerklaan 4 heeft een gebruiksoppervlakte van 645 m². Dit is ruim vergeleken met de gemiddelde Nederlandse woning, die een oppervlakte heeft van ongeveer 119 m². De gebruiksoppervlakte is de maat die wordt gebruikt in de BAG-registratie, de landelijke registratie van de Nederlandse overheid.
Kerklaan 4 heeft als functie: bijeenkomsten. Deze gebruiksfunctie(s) zijn vastgelegd in de BAG-registratie en geven aan waarvoor het adres officieel mag worden gebruikt.
Kerklaan 4 is gelegen op kadastraal perceel RDK02K789. Deze kadastrale aanduiding is uniek en wordt gebruikt door het Kadaster om eigendomsrechten en andere zakelijke rechten vast te leggen. Het perceel maakt onderdeel uit van de kadastrale gemeente Raamsdonk.
Het perceel waarop Kerklaan 4 staat heeft een oppervlakte van 4135 m². Dit is een zeer groot perceel. De perceeloppervlakte wordt geregistreerd door het Kadaster. Gedetailleerde informatie over de maten van dit perceel kunt u vinden in het rapport Kadastrale kaart met maatvoering van Kerklaan 4.
De eigenaar van Kerklaan 4 is op te vragen op deze pagina.
De informatie over dit adres is afkomstig uit officiële overheidsregistraties, voornamelijk de Basisregistratie Adressen en Gebouwen (BAG) en de Basisregistratie Kadaster (BRK). Deze gegevens worden beheerd door respectievelijk gemeenten en het Kadaster, en worden regelmatig bijgewerkt. Energielabelgegevens komen uit de database van de Rijksdienst voor Ondernemend Nederland (RVO).
