
Het adres Hanekampsdijk 2 bevindt zich in de plaats Radewijk, in de gemeente Radewijk en de provincie Overijssel. De oppervlakte van het verblijfsobject is met 302 m² aan de grote kant. Het perceel heeft een oppervlakte van 6490 m². In de straat is dit het adres met de grootste oppervlakte. De objecten in de straat zijn gemiddeld 165 m² groot. Het kleinste verblijfsobject heeft een oppervlakte van 98 m². Het gebouw waarin Hanekampsdijk 2 ligt komt uit het jaar 1911. Objecten die gebouwd zijn vóór 1965 classificeren we hier als oud. Gemiddeld zijn de gebouwen in de straat gebouwd in 1956. Dit is het oudste pand in de straat. Het meest recente komt uit het jaar 2023. De volgende gebruiksdoelen zijn geregistreerd voor dit adres: 'woonfunctie'.
Deze woning is voor het laatst verkocht op 1 februari 2021. Meer informatie over deze transactie? Bestel het Woningtransactierapport om de verkoopprijs en andere informatie te zien.
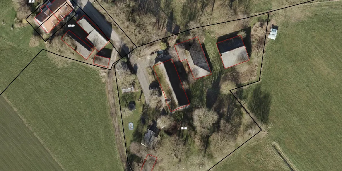
Het perceel waarop het adres ligt is HDB01-Y-1191. De afkorting 'HDB01' staat voor kadastrale gemeente Ambt-Hardenberg. Het perceel is 6490 m² groot. Dat is kleiner dan de gemiddelde perceeloppervlakte in Ambt-Hardenberg, dat op 7412,75 m² ligt. Het kleinste perceel in de kadastrale gemeente is 0 m² groot. De grootste perceeloppervlakte is 1,91 km². Op het perceel bevinden zich geen andere adressen. In de Basisregistratie Kadaster (BRK) werden de grenzen van het perceel geregistreerd op 10-06-2010.
Het adres ligt in een gebouw van het type 'vrijstaande woning'. Bij de laatste meting is voor het adres het energielabel F geregistreerd. Het hoogste energielabel in de straat is F; het laagste is G. Het gemiddelde energielabel is er F. Het adres Hanekampsdijk 2 heeft als status: 'verblijfsobject in gebruik'. Het pand waarin dit adres ligt heeft als status: 'pand in gebruik'.
Hanekampsdijk 2 is een adres gelegen in de gemeente Hardenberg, provincie Overijssel. Dit adres is geregistreerd in de Basisregistratie Adressen en Gebouwen (BAG) met als unieke identificatie 0160010000037038.
Het pand op Hanekampsdijk 2 is gebouwd in 1911, wat betekent dat het 115 jaar oud is. Dit is een ouder pand. Het pand heeft mogelijk aanzienlijke renovaties nodig om aan de huidige standaarden te voldoen.
De woning op Hanekampsdijk 2 heeft een gebruiksoppervlakte van 302 m². Dit is ruim vergeleken met de gemiddelde Nederlandse woning, die een oppervlakte heeft van ongeveer 119 m². De gebruiksoppervlakte is de maat die wordt gebruikt in de BAG-registratie, de landelijke registratie van de Nederlandse overheid.
Hanekampsdijk 2 heeft als functie: wonen. Deze gebruiksfunctie(s) zijn vastgelegd in de BAG-registratie en geven aan waarvoor het adres officieel mag worden gebruikt.
Hanekampsdijk 2 is gelegen op kadastraal perceel HDB01Y1191. Deze kadastrale aanduiding is uniek en wordt gebruikt door het Kadaster om eigendomsrechten en andere zakelijke rechten vast te leggen. Het perceel maakt onderdeel uit van de kadastrale gemeente Ambt-Hardenberg.
Het perceel waarop Hanekampsdijk 2 staat heeft een oppervlakte van 6490 m². Dit is een zeer groot perceel. De perceeloppervlakte wordt geregistreerd door het Kadaster. Gedetailleerde informatie over de maten van dit perceel kunt u vinden in het rapport Kadastrale kaart met maatvoering van Hanekampsdijk 2.
De eigenaar van Hanekampsdijk 2 is op te vragen op deze pagina.
De informatie over dit adres is afkomstig uit officiële overheidsregistraties, voornamelijk de Basisregistratie Adressen en Gebouwen (BAG) en de Basisregistratie Kadaster (BRK). Deze gegevens worden beheerd door respectievelijk gemeenten en het Kadaster, en worden regelmatig bijgewerkt. Energielabelgegevens komen uit de database van de Rijksdienst voor Ondernemend Nederland (RVO).
