
Het adres Ransdalerstraat 107-r01 bevindt zich in de plaats Ransdaal, in de gemeente Ransdaal en de provincie Limburg. Het verblijfsobject is vergeleken met het Nederlandse gemiddelde aan de kleine kant: de oppervlakte is 63 m². Het perceel waarop het adres zich bevindt heeft een oppervlakte van 1610 m². De oppervlakte van het adres is klein vergeleken met de andere objecten in de straat. De oppervlakte van het kleinste object in de straat bedraagt 5 m², terwijl het grootste object 1051 m² groot is. Het adres Ransdalerstraat 107-r01 ligt in een relatief oud pand uit het jaar 1890. Panden van vóór het jaar 1965 hebben we hier geclassificeerd als oud. Het nieuwste gebouw in de straat komt uit 2017 en het oudste uit 1750. Dit object is relatief oud. Het verblijfsobject heeft de volgende gebruiksdoelen: 'logiesfunctie'.
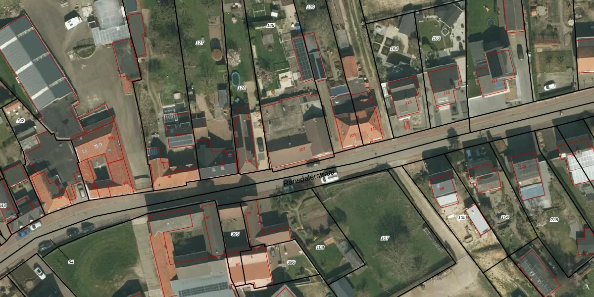
Het adres is gelegen op perceel 129 in de sectie D en de kadastrale gemeente Klimmen. De kadastrale aanduiding is aldus KMN02-D-129. De gemiddelde perceeloppervlakte in de kadastrale gemeente Klimmen is 960,71 m². Dit perceel is met zijn 1610 m² dus groter dan gemiddeld. De grootste perceeloppervlakte in de kadastrale gemeente is 6,5 ha. De kleinste oppervlakte bedraagt 1 m². Op het perceel liggen in totaal 3 adressen. In de Basisregistratie Kadaster (BRK) werden de grenzen van het perceel geregistreerd op 14-09-2011.
Er is geen energielabel geregistreerd voor het adres. Het hoogste energielabel in de straat is A++++; het laagste is G. Het gemiddelde energielabel is er D. Het adres Ransdalerstraat 107-r01 heeft als status: 'verblijfsobject gevormd'. Het pand waarin dit adres ligt heeft als status: 'pand in gebruik'.
Ransdalerstraat 107-r01 is een adres gelegen in de gemeente Voerendaal, provincie Limburg. Dit adres is geregistreerd in de Basisregistratie Adressen en Gebouwen (BAG) met als unieke identificatie 0986011313173219.
Het pand op Ransdalerstraat 107-r01 is gebouwd in 1890, wat betekent dat het 136 jaar oud is. Dit is een ouder pand. Het pand heeft mogelijk aanzienlijke renovaties nodig om aan de huidige standaarden te voldoen.
De woning op Ransdalerstraat 107-r01 heeft een gebruiksoppervlakte van 63 m². Dit is relatief klein vergeleken met de gemiddelde Nederlandse woning, die een oppervlakte heeft van ongeveer 119 m². De gebruiksoppervlakte is de maat die wordt gebruikt in de BAG-registratie, de landelijke registratie van de Nederlandse overheid.
Ransdalerstraat 107-r01 heeft als functie: logies/verblijf. Deze gebruiksfunctie(s) zijn vastgelegd in de BAG-registratie en geven aan waarvoor het adres officieel mag worden gebruikt.
Ransdalerstraat 107-r01 is gelegen op kadastraal perceel KMN02D129. Deze kadastrale aanduiding is uniek en wordt gebruikt door het Kadaster om eigendomsrechten en andere zakelijke rechten vast te leggen. Het perceel maakt onderdeel uit van de kadastrale gemeente Klimmen.
Het perceel waarop Ransdalerstraat 107-r01 staat heeft een oppervlakte van 1610 m². Dit is een zeer groot perceel. De perceeloppervlakte wordt geregistreerd door het Kadaster. Gedetailleerde informatie over de maten van dit perceel kunt u vinden in het rapport Kadastrale kaart met maatvoering van Ransdalerstraat 107-r01.
De eigenaar van Ransdalerstraat 107-r01 is op te vragen op deze pagina
De informatie over dit adres is afkomstig uit officiële overheidsregistraties, voornamelijk de Basisregistratie Adressen en Gebouwen (BAG) en de Basisregistratie Kadaster (BRK). Deze gegevens worden beheerd door respectievelijk gemeenten en het Kadaster, en worden regelmatig bijgewerkt. Energielabelgegevens komen uit de database van de Rijksdienst voor Ondernemend Nederland (RVO).
