
Tsjerkewei 14 is gelegen in de plaats Readtsjerk, de gemeente Dantumadiel en de provincie Friesland. De oppervlakte van het verblijfsobject is met 549 m² aan de grote kant. Het perceel heeft een oppervlakte van 4224 m². In vergelijking met de andere adressen in de straat is de oppervlakte van dit object relatief groot. Het grootste verblijfsobject heeft een oppervlakte van 1985 m², de oppervlakte van het kleinste object bedraagt 103 m². Het adres Tsjerkewei 14 ligt in een relatief oud pand uit het jaar 1900. Panden van vóór het jaar 1965 hebben we hier geclassificeerd als oud. Dit object is relatief nieuw in de straat. Het nieuwste gebouw komt er uit het jaar 1973 en het oudste uit het jaar 1125. Het verblijfsobject heeft de volgende gebruiksdoelen: 'woonfunctie'.
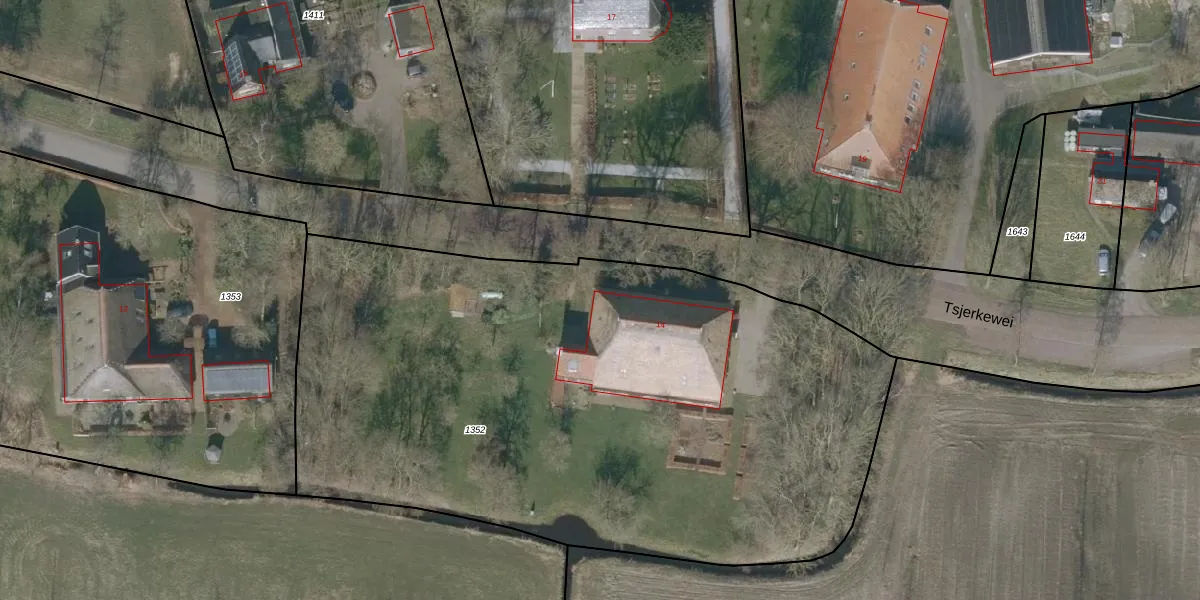
Het perceel waarop het adres ligt is BDD00-P-1352. De afkorting 'BDD00' staat voor kadastrale gemeente Birdaard. Het perceel is kleiner dan gemiddeld in Birdaard. Het perceel is 4224 m² groot, terwijl het gemiddelde ligt op 1,2 ha. De grootste perceeloppervlakte in de kadastrale gemeente is 20,6 ha. De kleinste oppervlakte bedraagt 2 m². Op het perceel bevinden zich geen andere adressen. De laatste wijziging in het de Basisregistratie Kadaster (BRK) was op 15-01-1998.
Er is geen energielabel geregistreerd voor het adres. Het hoogste energielabel in de straat is A+++; het laagste is G. Het gemiddelde energielabel is er E. Het adres Tsjerkewei 14 heeft als status: 'verblijfsobject in gebruik'. Het pand waarin dit adres ligt heeft als status: 'pand in gebruik'.
Tsjerkewei 14 is een adres gelegen in de gemeente Dantumadiel, provincie Friesland. Dit adres is geregistreerd in de Basisregistratie Adressen en Gebouwen (BAG) met als unieke identificatie 1891010001643876.
Het pand op Tsjerkewei 14 is gebouwd in 1900, wat betekent dat het 126 jaar oud is. Dit is een ouder pand. Het pand heeft mogelijk aanzienlijke renovaties nodig om aan de huidige standaarden te voldoen.
De woning op Tsjerkewei 14 heeft een gebruiksoppervlakte van 549 m². Dit is ruim vergeleken met de gemiddelde Nederlandse woning, die een oppervlakte heeft van ongeveer 119 m². De gebruiksoppervlakte is de maat die wordt gebruikt in de BAG-registratie, de landelijke registratie van de Nederlandse overheid.
Tsjerkewei 14 heeft als functie: wonen. Deze gebruiksfunctie(s) zijn vastgelegd in de BAG-registratie en geven aan waarvoor het adres officieel mag worden gebruikt.
Tsjerkewei 14 is gelegen op kadastraal perceel BDD00P1352. Deze kadastrale aanduiding is uniek en wordt gebruikt door het Kadaster om eigendomsrechten en andere zakelijke rechten vast te leggen. Het perceel maakt onderdeel uit van de kadastrale gemeente Birdaard.
Het perceel waarop Tsjerkewei 14 staat heeft een oppervlakte van 4224 m². Dit is een zeer groot perceel. De perceeloppervlakte wordt geregistreerd door het Kadaster. Gedetailleerde informatie over de maten van dit perceel kunt u vinden in het rapport Kadastrale kaart met maatvoering van Tsjerkewei 14.
De eigenaar van Tsjerkewei 14 is op te vragen op deze pagina.
De informatie over dit adres is afkomstig uit officiële overheidsregistraties, voornamelijk de Basisregistratie Adressen en Gebouwen (BAG) en de Basisregistratie Kadaster (BRK). Deze gegevens worden beheerd door respectievelijk gemeenten en het Kadaster, en worden regelmatig bijgewerkt. Energielabelgegevens komen uit de database van de Rijksdienst voor Ondernemend Nederland (RVO).
