
Het adres Dr. Slotlaan 17 bevindt zich in de plaats Rekken, in de gemeente Rekken en de provincie Gelderland. De oppervlakte van het verblijfsobject is met 592 m² aan de grote kant. Het perceel heeft een oppervlakte van 3540 m². Vergeleken met de andere verblijfsobjecten in de straat is dit object groot. De oppervlakte van het grootste object in de straat is 1408 m², die van het kleinste bedraagt 43 m². Het gebouw waarin Dr. Slotlaan 17 ligt komt uit het jaar 1913. Objecten die gebouwd zijn vóór 1965 classificeren we hier als oud. Gemiddeld zijn de gebouwen in de straat gebouwd in 1958. Dit is het oudste pand in de straat. Het meest recente komt uit het jaar 2018. De volgende gebruiksdoelen zijn geregistreerd voor dit adres: 'woonfunctie' en 'gezondheidszorgfunctie'.
Deze woning is voor het laatst verkocht op 1 augustus 2018. Meer informatie over deze transactie? Bestel het Woningtransactierapport om de verkoopprijs en andere informatie te zien.
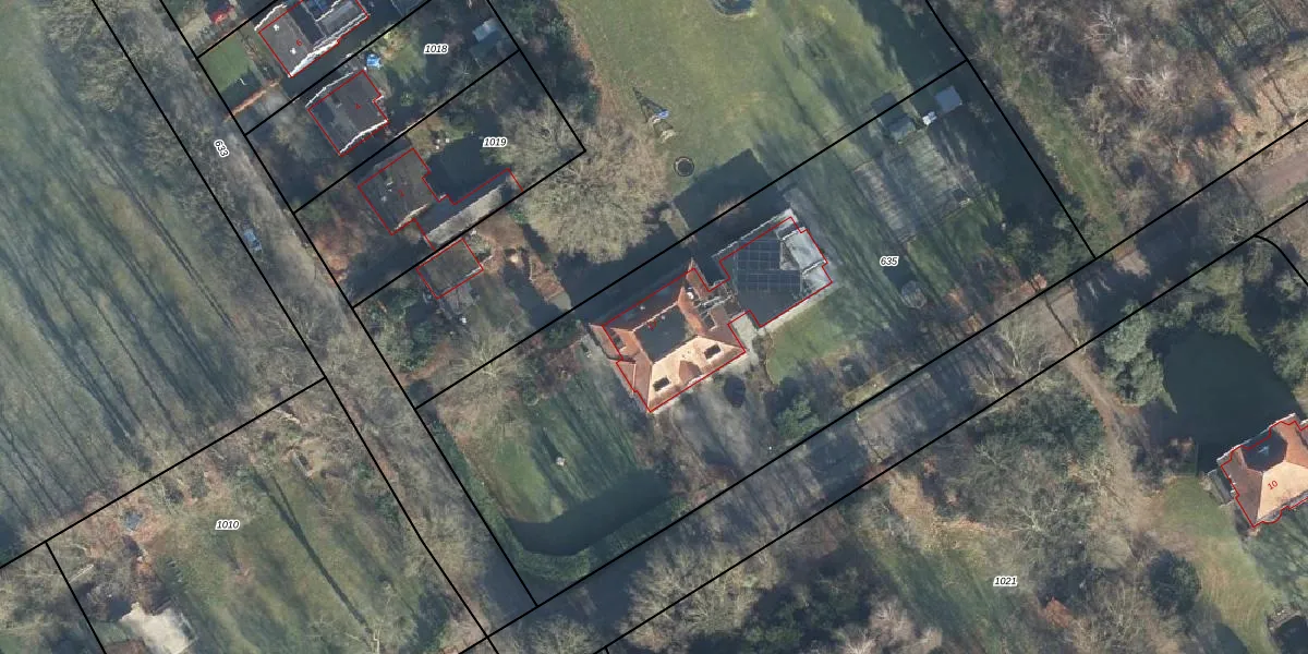
Het adres is gelegen op perceel 635 in de sectie M en de kadastrale gemeente Eibergen. De kadastrale aanduiding is aldus EBG02-M-635. Het perceel is 3540 m² groot. Dat is kleiner dan de gemiddelde perceeloppervlakte in Eibergen, dat op 8443,37 m² ligt. Het kleinste perceel in de kadastrale gemeente is 1 m² groot. De grootste perceeloppervlakte is 33,1 ha. Op het perceel bevinden zich geen andere adressen. In de Basisregistratie Kadaster (BRK) werden de grenzen van het perceel geregistreerd op 19-11-2003.
Het adres ligt in een gebouw van het type 'vrijstaande woning'. Bij de laatste meting is voor het adres het energielabel G geregistreerd. Het hoogste energielabel in de straat is C; het laagste is G. Het gemiddelde energielabel is er E. Het adres Dr. Slotlaan 17 heeft als status: 'verblijfsobject in gebruik'. Het pand waarin dit adres ligt heeft als status: 'pand in gebruik'.
Dr. Slotlaan 17 is een adres gelegen in de gemeente Berkelland, provincie Gelderland. Dit adres is geregistreerd in de Basisregistratie Adressen en Gebouwen (BAG) met als unieke identificatie 1859010000830753.
Het pand op Dr. Slotlaan 17 is gebouwd in 1913, wat betekent dat het 113 jaar oud is. Dit is een ouder pand. Het pand heeft mogelijk aanzienlijke renovaties nodig om aan de huidige standaarden te voldoen.
De woning op Dr. Slotlaan 17 heeft een gebruiksoppervlakte van 592 m². Dit is ruim vergeleken met de gemiddelde Nederlandse woning, die een oppervlakte heeft van ongeveer 119 m². De gebruiksoppervlakte is de maat die wordt gebruikt in de BAG-registratie, de landelijke registratie van de Nederlandse overheid.
Dr. Slotlaan 17 heeft als functie: wonen en gezondheidszorg. Deze gebruiksfunctie(s) zijn vastgelegd in de BAG-registratie en geven aan waarvoor het adres officieel mag worden gebruikt.
Dr. Slotlaan 17 is gelegen op kadastraal perceel EBG02M635. Deze kadastrale aanduiding is uniek en wordt gebruikt door het Kadaster om eigendomsrechten en andere zakelijke rechten vast te leggen. Het perceel maakt onderdeel uit van de kadastrale gemeente Eibergen.
Het perceel waarop Dr. Slotlaan 17 staat heeft een oppervlakte van 3540 m². Dit is een zeer groot perceel. De perceeloppervlakte wordt geregistreerd door het Kadaster. Gedetailleerde informatie over de maten van dit perceel kunt u vinden in het rapport Kadastrale kaart met maatvoering van Dr. Slotlaan 17.
De eigenaar van Dr. Slotlaan 17 is op te vragen op deze pagina.
De informatie over dit adres is afkomstig uit officiële overheidsregistraties, voornamelijk de Basisregistratie Adressen en Gebouwen (BAG) en de Basisregistratie Kadaster (BRK). Deze gegevens worden beheerd door respectievelijk gemeenten en het Kadaster, en worden regelmatig bijgewerkt. Energielabelgegevens komen uit de database van de Rijksdienst voor Ondernemend Nederland (RVO).
