
Oldenkotseweg 6-K13 is gelegen in de plaats Rekken, de gemeente Berkelland en de provincie Gelderland. De oppervlakte van het verblijfsobject is met 152 m² aan de grote kant. Het perceel heeft een oppervlakte van 8,0 ha. De oppervlakte van het adres is klein vergeleken met de andere objecten in de straat. De oppervlakte van het kleinste object in de straat bedraagt 46 m², terwijl het grootste object 529 m² groot is. Oldenkotseweg 6-K13 bevindt zich in een pand uit het jaar null. Daarmee behoort het tot de groep relatief oude panden in Nederland die gebouwd zijn vóór 1965. Gemiddeld zijn de gebouwen in de straat gebouwd in 1970. Dit is het oudste pand in de straat. Het meest recente komt uit het jaar 2022. De volgende gebruiksdoelen zijn geregistreerd voor dit adres: 'standplaats'.
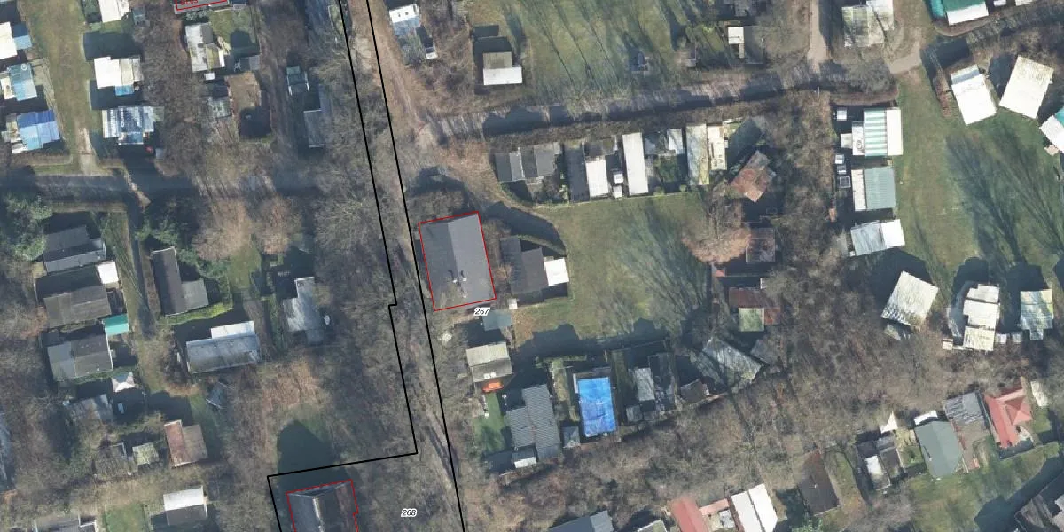
Het adres is gelegen op perceel 267 in de sectie M en de kadastrale gemeente Eibergen. De kadastrale aanduiding is aldus EBG02-M-267. De oppervlakte van het perceel is 8,0 ha. Dat is groter dan gemiddeld in Eibergen, waar de gemiddelde perceeloppervlakte op 8443,37 m² ligt. Het grootste perceel in de kadastrale gemeente is 33,1 ha. Het kleinste perceel heeft een oppervlakte van 1 m². Op het perceel liggen in totaal 147 adressen. De laatste wijziging in het de Basisregistratie Kadaster (BRK) was op 01-07-2008.
Er is geen energielabel geregistreerd voor het adres. Het hoogste energielabel in de straat is A++++; het laagste is G. Het gemiddelde energielabel is er A. Het adres Oldenkotseweg 6-K13 heeft als status: 'plaats aangewezen'. Het pand waarin dit adres ligt heeft als status: 'undefined'.
Oldenkotseweg 6-K13 is een adres gelegen in de gemeente Berkelland, provincie Gelderland. Dit adres is geregistreerd in de Basisregistratie Adressen en Gebouwen (BAG) met als unieke identificatie 1859030000863661.
De woning op Oldenkotseweg 6-K13 heeft een gebruiksoppervlakte van 152 m². Dit is ruim vergeleken met de gemiddelde Nederlandse woning, die een oppervlakte heeft van ongeveer 119 m². De gebruiksoppervlakte is de maat die wordt gebruikt in de BAG-registratie, de landelijke registratie van de Nederlandse overheid.
Oldenkotseweg 6-K13 heeft als functie: standplaats. Deze gebruiksfunctie(s) zijn vastgelegd in de BAG-registratie en geven aan waarvoor het adres officieel mag worden gebruikt.
Oldenkotseweg 6-K13 is gelegen op kadastraal perceel EBG02M267. Deze kadastrale aanduiding is uniek en wordt gebruikt door het Kadaster om eigendomsrechten en andere zakelijke rechten vast te leggen. Het perceel maakt onderdeel uit van de kadastrale gemeente Eibergen.
Het perceel waarop Oldenkotseweg 6-K13 staat heeft een oppervlakte van 8,0 ha. Dit is een zeer groot perceel. De perceeloppervlakte wordt geregistreerd door het Kadaster. Gedetailleerde informatie over de maten van dit perceel kunt u vinden in het rapport Kadastrale kaart met maatvoering van Oldenkotseweg 6-K13.
De eigenaar van Oldenkotseweg 6-K13 is op te vragen op deze pagina.
De informatie over dit adres is afkomstig uit officiële overheidsregistraties, voornamelijk de Basisregistratie Adressen en Gebouwen (BAG) en de Basisregistratie Kadaster (BRK). Deze gegevens worden beheerd door respectievelijk gemeenten en het Kadaster, en worden regelmatig bijgewerkt. Energielabelgegevens komen uit de database van de Rijksdienst voor Ondernemend Nederland (RVO).
