
Het adres Arnhemseweg 10-II bevindt zich in de plaats Renswoude, in de gemeente Renswoude en de provincie Utrecht. Het verblijfsobject is vergeleken met het Nederlandse gemiddelde aan de kleine kant: de oppervlakte is 22 m². Het perceel waarop het adres zich bevindt heeft een oppervlakte van 680 m². Het adres is klein vergeleken met andere objecten in de straat. Het grootste object in de straat heeft een oppervlakte van 1891 m², het kleinste is 4 m² groot. Het gebouw waarin Arnhemseweg 10-II ligt komt uit het jaar 1940. Objecten die gebouwd zijn vóór 1965 classificeren we hier als oud. Het nieuwste gebouw in de straat komt uit 2009 en het oudste uit 1795. Dit object is relatief oud. De volgende gebruiksdoelen zijn geregistreerd voor dit adres: 'overige gebruiksfunctie'.
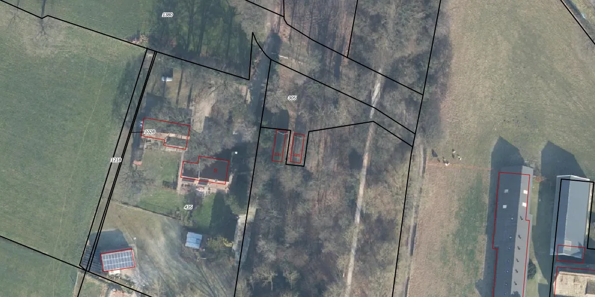
Het adres ligt op het perceel RWD01-G-305, dat zich in de kadastrale gemeente Renswoude bevindt. Het perceel is 680 m² groot. Dat is kleiner dan de gemiddelde perceeloppervlakte in Renswoude, dat op 5272,29 m² ligt. Het kleinste perceel in de kadastrale gemeente is 0 m² groot. De grootste perceeloppervlakte is 50,3 ha. Op het perceel bevinden zich geen andere adressen. In de Basisregistratie Kadaster (BRK) werden de grenzen van het perceel geregistreerd op 16-01-2008.
Er is geen energielabel geregistreerd voor het adres. Het hoogste energielabel in de straat is A+++; het laagste is G. Het gemiddelde energielabel is er B. Het adres Arnhemseweg 10-II heeft als status: 'verblijfsobject in gebruik'. Het pand waarin dit adres ligt heeft als status: 'pand in gebruik'.
Arnhemseweg 10-II is een adres gelegen in de gemeente Renswoude, provincie Utrecht. Dit adres is geregistreerd in de Basisregistratie Adressen en Gebouwen (BAG) met als unieke identificatie 0339010002096733.
Het pand op Arnhemseweg 10-II is gebouwd in 1940, wat betekent dat het 86 jaar oud is. Dit is een ouder pand. Het pand heeft mogelijk aanzienlijke renovaties nodig om aan de huidige standaarden te voldoen.
De woning op Arnhemseweg 10-II heeft een gebruiksoppervlakte van 22 m². Dit is relatief klein vergeleken met de gemiddelde Nederlandse woning, die een oppervlakte heeft van ongeveer 119 m². De gebruiksoppervlakte is de maat die wordt gebruikt in de BAG-registratie, de landelijke registratie van de Nederlandse overheid.
Arnhemseweg 10-II heeft als functie: overige doeleinden. Deze gebruiksfunctie(s) zijn vastgelegd in de BAG-registratie en geven aan waarvoor het adres officieel mag worden gebruikt.
Arnhemseweg 10-II is gelegen op kadastraal perceel RWD01G305. Deze kadastrale aanduiding is uniek en wordt gebruikt door het Kadaster om eigendomsrechten en andere zakelijke rechten vast te leggen. Het perceel maakt onderdeel uit van de kadastrale gemeente Renswoude.
Het perceel waarop Arnhemseweg 10-II staat heeft een oppervlakte van 680 m². Dit is een groot perceel. De perceeloppervlakte wordt geregistreerd door het Kadaster. Gedetailleerde informatie over de maten van dit perceel kunt u vinden in het rapport Kadastrale kaart met maatvoering van Arnhemseweg 10-II.
De eigenaar van Arnhemseweg 10-II is op te vragen op deze pagina.
De informatie over dit adres is afkomstig uit officiële overheidsregistraties, voornamelijk de Basisregistratie Adressen en Gebouwen (BAG) en de Basisregistratie Kadaster (BRK). Deze gegevens worden beheerd door respectievelijk gemeenten en het Kadaster, en worden regelmatig bijgewerkt. Energielabelgegevens komen uit de database van de Rijksdienst voor Ondernemend Nederland (RVO).
