
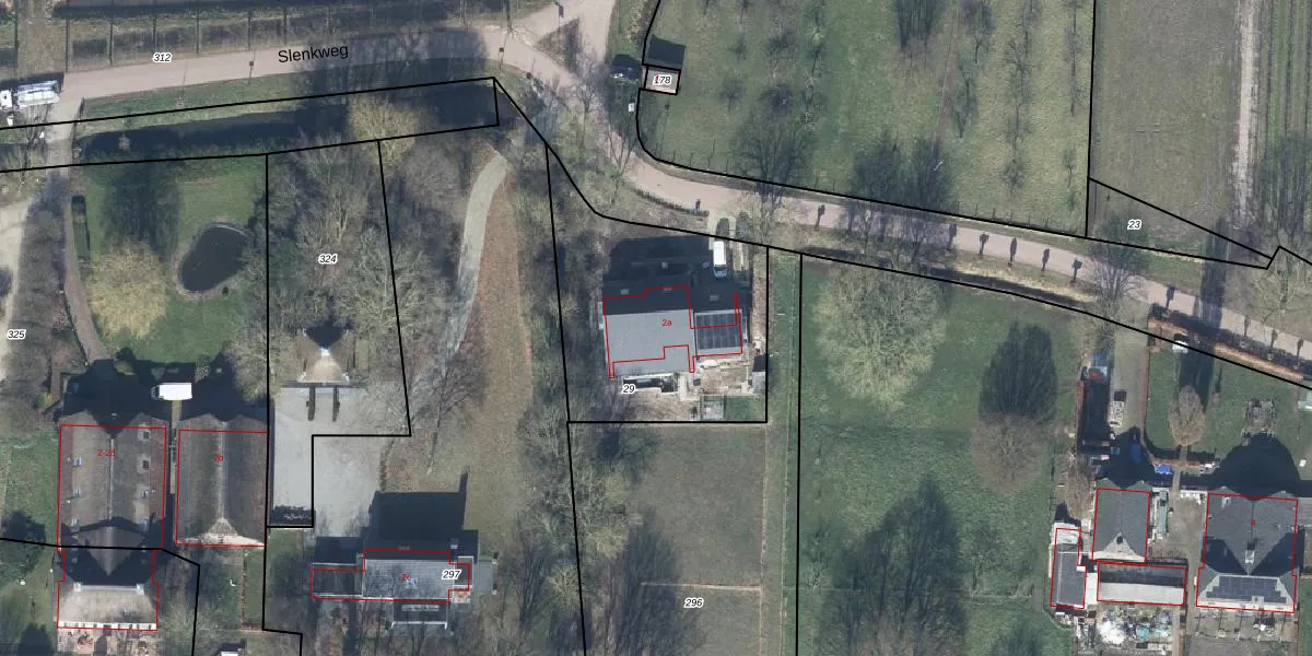
Slenkweg 2-a is gelegen in de plaats Ressen, de gemeente Lingewaard en de provincie Gelderland. Het object heeft een oppervlakte van 276 m², wat relatief groot is. Het perceel waarop het adres ligt is 970 m² groot. De oppervlakte van het adres is klein vergeleken met de andere objecten in de straat. De oppervlakte van het kleinste object in de straat bedraagt 187 m², terwijl het grootste object 493 m² groot is. In Nederland komt het grootste deel van de gebouwen uit de periode 1965-1984. Ook het bouwjaar van Slenkweg 2-a is afkomstig uit die periode: het betreft namelijk een pand uit 1970. Vergeleken met de andere panden in de straat is dit gebouw nieuw. Het vroegste bouwjaar is er 1650 en het laatste is 2022. Het verblijfsobject heeft de volgende gebruiksdoelen: 'woonfunctie'.
Het adres is gelegen op perceel 29 in de sectie C en de kadastrale gemeente Ressen. De kadastrale aanduiding is aldus RSN02-C-29. Het perceel is kleiner dan gemiddeld in Ressen. Het perceel is 970 m² groot, terwijl het gemiddelde ligt op 7679,84 m². Het grootste perceel in de kadastrale gemeente is 26,4 ha. Het kleinste perceel heeft een oppervlakte van 5 m². Dit is het enige adres dat aanwezig is op het perceel. De laatste wijziging in het de Basisregistratie Kadaster (BRK) was op 16-11-2020.
Het adres ligt in een gebouw van het type 'vrijstaande woning'. Bij de laatste meting is voor het adres het energielabel A+++ geregistreerd. Het hoogste energielabel in de straat is A+++; het laagste is G. Het gemiddelde energielabel is er A+++. Het adres Slenkweg 2-a heeft als status: 'verblijfsobject in gebruik'. Het pand waarin dit adres ligt heeft als status: 'pand in gebruik'.
Slenkweg 2-a is een adres gelegen in de gemeente Lingewaard, provincie Gelderland. Dit adres is geregistreerd in de Basisregistratie Adressen en Gebouwen (BAG) met als unieke identificatie 1705010000025798.
Het pand op Slenkweg 2-a is gebouwd in 1970, wat betekent dat het 56 jaar oud is. Dit is een ouder pand. Het pand heeft mogelijk aanzienlijke renovaties nodig om aan de huidige standaarden te voldoen.
De woning op Slenkweg 2-a heeft een gebruiksoppervlakte van 276 m². Dit is ruim vergeleken met de gemiddelde Nederlandse woning, die een oppervlakte heeft van ongeveer 119 m². De gebruiksoppervlakte is de maat die wordt gebruikt in de BAG-registratie, de landelijke registratie van de Nederlandse overheid.
Slenkweg 2-a heeft als functie: wonen. Deze gebruiksfunctie(s) zijn vastgelegd in de BAG-registratie en geven aan waarvoor het adres officieel mag worden gebruikt.
Slenkweg 2-a is gelegen op kadastraal perceel RSN02C29. Deze kadastrale aanduiding is uniek en wordt gebruikt door het Kadaster om eigendomsrechten en andere zakelijke rechten vast te leggen. Het perceel maakt onderdeel uit van de kadastrale gemeente Ressen.
Het perceel waarop Slenkweg 2-a staat heeft een oppervlakte van 970 m². Dit is een groot perceel. De perceeloppervlakte wordt geregistreerd door het Kadaster. Gedetailleerde informatie over de maten van dit perceel kunt u vinden in het rapport Kadastrale kaart met maatvoering van Slenkweg 2-a.
De eigenaar van Slenkweg 2-a is op te vragen op deze pagina.
De informatie over dit adres is afkomstig uit officiële overheidsregistraties, voornamelijk de Basisregistratie Adressen en Gebouwen (BAG) en de Basisregistratie Kadaster (BRK). Deze gegevens worden beheerd door respectievelijk gemeenten en het Kadaster, en worden regelmatig bijgewerkt. Energielabelgegevens komen uit de database van de Rijksdienst voor Ondernemend Nederland (RVO).
