
Lommerbergen 250 is een adres in Reuver, dat zich bevindt binnen de gemeentegrenzen van Reuver en de grenzen van de provincie Limburg. De oppervlakte van het adres is 103 m². Dat is vergelijkbaar met het gemiddelde Nederlandse oppervlakte van 119 m². De oppervlakte van het perceel waarin het adres ligt is 391 m². Vergeleken met de andere verblijfsobjecten in de straat is dit object groot. De oppervlakte van het grootste object in de straat is 7576 m², die van het kleinste bedraagt 26 m². Lommerbergen 250 ligt in een gebouw uit het jaar 1988. Daarmee behoort het tot de groep panden van na 1984, die we als relatief nieuw bestempelen. Dit object is relatief nieuw in de straat. Het nieuwste gebouw komt er uit het jaar 2024 en het oudste uit het jaar 1918. Voor het verblijfsobject gelden deze gebruiksdoelen: 'logiesfunctie'.
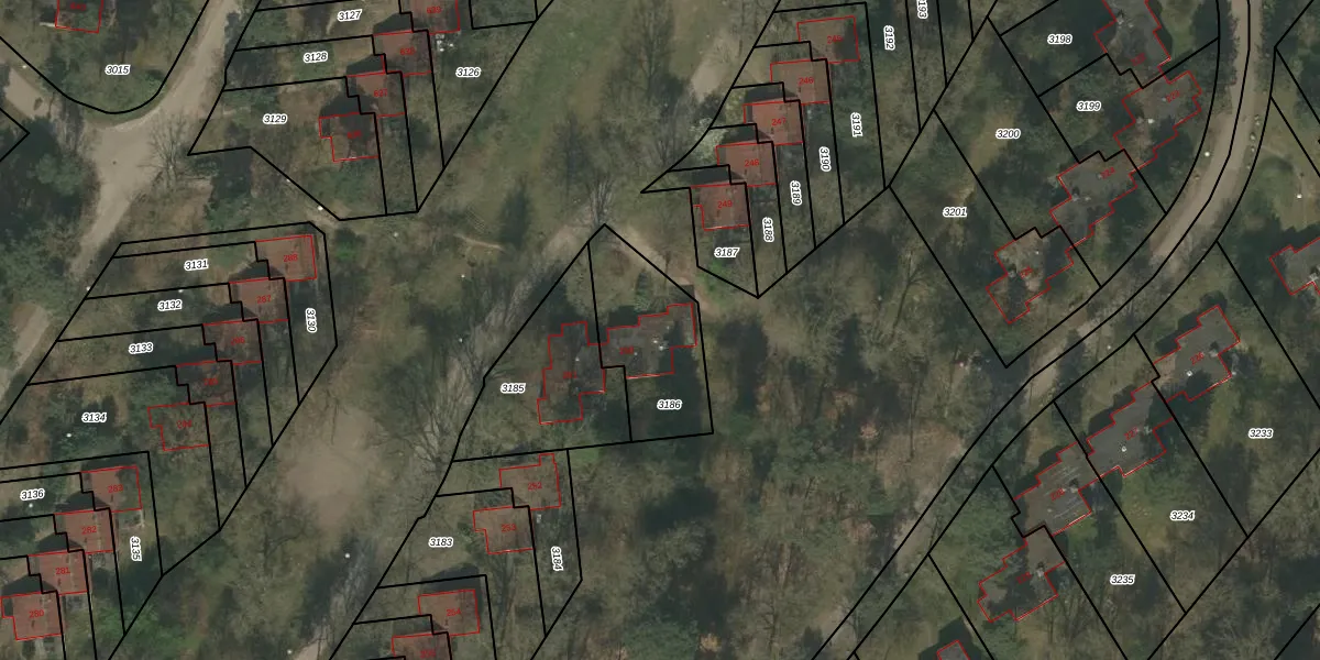
Het adres is gelegen op perceel 3186 in de sectie A en de kadastrale gemeente Beesel. De kadastrale aanduiding is aldus BSL02-A-3186. De gemiddelde perceelgrootte in Beesel is 3201,29 m². Dit perceel is kleiner: de perceeloppervlakte bedraagt 391 m². Het grootste perceel in de kadastrale gemeente is 39,2 ha. Het kleinste perceel heeft een oppervlakte van 0 m². Op het perceel bevinden zich geen andere adressen. De huidige grenzen van het perceel zijn digitaal in de Basisregistratie Kadaster (BRK) geregistreerd op 24-10-2006.
Het adres ligt in een gebouw van het type 'logieswoning'. Bij de laatste meting is voor het adres het energielabel C geregistreerd. Het hoogste energielabel in de straat is A; het laagste is G. Het gemiddelde energielabel is er E. Het adres Lommerbergen 250 heeft als status: 'verblijfsobject in gebruik'. Het pand waarin dit adres ligt heeft als status: 'pand in gebruik'.
Lommerbergen 250 is een adres gelegen in de gemeente Beesel, provincie Limburg. Dit adres is geregistreerd in de Basisregistratie Adressen en Gebouwen (BAG) met als unieke identificatie 0889010000262730.
Het pand op Lommerbergen 250 is gebouwd in 1988, wat betekent dat het 38 jaar oud is. Dit is een pand van middelbare leeftijd. Het pand is van gemiddelde leeftijd en zal waarschijnlijk verouderde elementen bevatten.
De woning op Lommerbergen 250 heeft een gebruiksoppervlakte van 103 m². Dit is onder het gemiddelde vergeleken met de gemiddelde Nederlandse woning, die een oppervlakte heeft van ongeveer 119 m². De gebruiksoppervlakte is de maat die wordt gebruikt in de BAG-registratie, de landelijke registratie van de Nederlandse overheid.
Lommerbergen 250 heeft als functie: logies/verblijf. Deze gebruiksfunctie(s) zijn vastgelegd in de BAG-registratie en geven aan waarvoor het adres officieel mag worden gebruikt.
Lommerbergen 250 is gelegen op kadastraal perceel BSL02A3186. Deze kadastrale aanduiding is uniek en wordt gebruikt door het Kadaster om eigendomsrechten en andere zakelijke rechten vast te leggen. Het perceel maakt onderdeel uit van de kadastrale gemeente Beesel.
Het perceel waarop Lommerbergen 250 staat heeft een oppervlakte van 391 m². Dit is een groot perceel. De perceeloppervlakte wordt geregistreerd door het Kadaster. Gedetailleerde informatie over de maten van dit perceel kunt u vinden in het rapport Kadastrale kaart met maatvoering van Lommerbergen 250.
De eigenaar van Lommerbergen 250 is op te vragen op deze pagina.
De informatie over dit adres is afkomstig uit officiële overheidsregistraties, voornamelijk de Basisregistratie Adressen en Gebouwen (BAG) en de Basisregistratie Kadaster (BRK). Deze gegevens worden beheerd door respectievelijk gemeenten en het Kadaster, en worden regelmatig bijgewerkt. Energielabelgegevens komen uit de database van de Rijksdienst voor Ondernemend Nederland (RVO).
