
Valkenbergerweg 9 is gelegen in de plaats Rheden, de gemeente Rheden en de provincie Gelderland. De oppervlakte van het verblijfsobject is met 233 m² aan de grote kant. Het perceel heeft een oppervlakte van 3080 m². Vergeleken met de andere verblijfsobjecten in de straat is dit object groot. De oppervlakte van het grootste object in de straat is 413 m², die van het kleinste bedraagt 108 m². Het adres Valkenbergerweg 9 ligt in een relatief oud pand uit het jaar 1959. Panden van vóór het jaar 1965 hebben we hier geclassificeerd als oud. Dit object is relatief nieuw in de straat. Het nieuwste gebouw komt er uit het jaar 1986 en het oudste uit het jaar 1920. Voor het verblijfsobject gelden deze gebruiksdoelen: 'woonfunctie'.
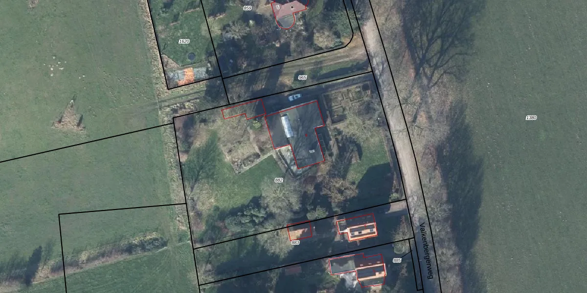
Het adres is gelegen op perceel 882 in de sectie B en de kadastrale gemeente Rheden. De kadastrale aanduiding is aldus RDN02-B-882. De gemiddelde perceelgrootte in Rheden is 5070,74 m². Dit perceel is kleiner: de perceeloppervlakte bedraagt 3080 m². De grootste perceeloppervlakte in de kadastrale gemeente is 6,46 km². De kleinste oppervlakte bedraagt 1 m². Op het perceel bevinden zich geen andere adressen. De laatste wijziging in het de Basisregistratie Kadaster (BRK) was op 11-03-2022.
Er is geen energielabel geregistreerd voor het adres. Het hoogste energielabel in de straat is C; het laagste is G. Het gemiddelde energielabel is er F. Het adres Valkenbergerweg 9 heeft als status: 'verblijfsobject in gebruik'. Het pand waarin dit adres ligt heeft als status: 'pand in gebruik'.
Valkenbergerweg 9 is een adres gelegen in de gemeente Rheden, provincie Gelderland. Dit adres is geregistreerd in de Basisregistratie Adressen en Gebouwen (BAG) met als unieke identificatie 0275010000019347.
Het pand op Valkenbergerweg 9 is gebouwd in 1959, wat betekent dat het 67 jaar oud is. Dit is een ouder pand. Het pand heeft mogelijk aanzienlijke renovaties nodig om aan de huidige standaarden te voldoen.
De woning op Valkenbergerweg 9 heeft een gebruiksoppervlakte van 233 m². Dit is ruim vergeleken met de gemiddelde Nederlandse woning, die een oppervlakte heeft van ongeveer 119 m². De gebruiksoppervlakte is de maat die wordt gebruikt in de BAG-registratie, de landelijke registratie van de Nederlandse overheid.
Valkenbergerweg 9 heeft als functie: wonen. Deze gebruiksfunctie(s) zijn vastgelegd in de BAG-registratie en geven aan waarvoor het adres officieel mag worden gebruikt.
Valkenbergerweg 9 is gelegen op kadastraal perceel RDN02B882. Deze kadastrale aanduiding is uniek en wordt gebruikt door het Kadaster om eigendomsrechten en andere zakelijke rechten vast te leggen. Het perceel maakt onderdeel uit van de kadastrale gemeente Rheden.
Het perceel waarop Valkenbergerweg 9 staat heeft een oppervlakte van 3080 m². Dit is een zeer groot perceel. De perceeloppervlakte wordt geregistreerd door het Kadaster. Gedetailleerde informatie over de maten van dit perceel kunt u vinden in het rapport Kadastrale kaart met maatvoering van Valkenbergerweg 9.
De eigenaar van Valkenbergerweg 9 is op te vragen op deze pagina.
De informatie over dit adres is afkomstig uit officiële overheidsregistraties, voornamelijk de Basisregistratie Adressen en Gebouwen (BAG) en de Basisregistratie Kadaster (BRK). Deze gegevens worden beheerd door respectievelijk gemeenten en het Kadaster, en worden regelmatig bijgewerkt. Energielabelgegevens komen uit de database van de Rijksdienst voor Ondernemend Nederland (RVO).
