Product Functies Prijzen Meer

Adressen

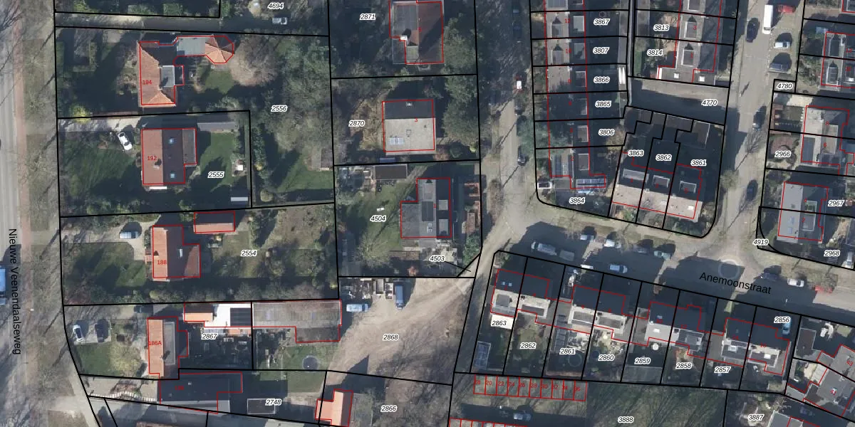
Gebruik de zoekbalk of klik op een perceel voor informatie over de adressen binnen dit perceel.
Locatie
Meten
Lagen
Download

Asterstraat 1

3911WE, Rhenen

€ 1519312 Wat moet ik bieden voor deze woning?
167 m²
woonfunctie
870 m² perceeloppervlakte
B

Het adres Asterstraat 1 bevindt zich in de plaats Rhenen, in de gemeente Rhenen en de provincie Utrecht. De oppervlakte van het verblijfsobject is met 167 m² aan de grote kant. Het perceel heeft een oppervlakte van 870 m². In vergelijking met de andere adressen in de straat is de oppervlakte van dit object relatief groot. Het grootste verblijfsobject heeft een oppervlakte van 289 m², de oppervlakte van het kleinste object bedraagt 133 m². De meeste Nederlandse gebouwen zijn gebouwd in de periode 1965-1984. Zo ook het pand waarin Asterstraat 1 ligt, dat gebouwd is in 1969. Gemiddeld zijn de gebouwen in de straat gebouwd in 1970. Dit is het oudste pand in de straat. Het meest recente komt uit het jaar 1970. De volgende gebruiksdoelen zijn geregistreerd voor dit adres: 'woonfunctie'.

Verkoopdata beschikbaar

Deze woning is voor het laatst verkocht op 1 april 2018. Meer informatie over deze transactie? Bestel het Woningtransactierapport om de verkoopprijs en andere informatie te zien.

Perceel

Het perceel waarop het adres ligt is RNN01-G-4504. De afkorting 'RNN01' staat voor kadastrale gemeente Rhenen. Het perceel is 870 m² groot. Dat is kleiner dan de gemiddelde perceeloppervlakte in Rhenen, dat op 4294,91 m² ligt. De grootste perceeloppervlakte in de kadastrale gemeente is 1,05 km². De kleinste oppervlakte bedraagt 0 m². Op het perceel bevinden zich geen andere adressen. In de Basisregistratie Kadaster (BRK) werden de grenzen van het perceel geregistreerd op 04-07-2006.

Energielabel en status

Het adres ligt in een gebouw van het type 'vrijstaande woning'. Bij de laatste meting is voor het adres het energielabel B geregistreerd. Het hoogste energielabel in de straat is B; het laagste is G. Het gemiddelde energielabel is er C. Het adres Asterstraat 1 heeft als status: 'verblijfsobject in gebruik'. Het pand waarin dit adres ligt heeft als status: 'pand in gebruik'.

Meer lezen

Adres

Gebruiksoppervlakte
167 m²
Bruto vloeroppervlakte
AQRmTyp2vOUpgrade naar KadastraleKaart Pro
Gebruiksdoel(en)
Woonfunctie
Status
Verblijfsobject in gebruik
Type
Vrijstaande woning
Gasloos
IpmWwD aGz22dGaUpgrade naar KadastraleKaart Pro
Gebeurtenissen
Appartementsrechten
oW o L78uUpgrade naar KadastraleKaart Pro
Eigenaar
Eigendomsinformatie 12,95
Adresinformatie bestellen
Adrespakket 34,95
VBO ID
0340010000342932
Woning laatst verkocht in
2018 -
Verkoopprijs opvragen 8,95

Pand

Bouwjaar pand
1969
Aantal adressen in dit gebouw
1 adres
Hoogte pand
zsDJx9aJjUpgrade naar KadastraleKaart Pro
Aantal bouwlagen (schatting)
mC buqYzvIS86ThDPhj UAIUpgrade naar KadastraleKaart Pro
Volume
X3tcC0BMvRbyRTbnwxH XUpgrade naar KadastraleKaart Pro
Oppervlakte dak
KlXk R6jEyxUpgrade naar KadastraleKaart Pro
Oppervlakte buitenmuur
RrjYMbYtF729jgdYwTUpTrUpgrade naar KadastraleKaart Pro
Status pand
Pand in gebruik
Pand ID
0340100000328995

Perceel

Kadastrale aanduiding
Rhenen G 4504 (RNN01 G 4504)
Oppervlakte
870 m²
Maatvoering
Kadastrale kaart met maatvoering 59,95
Omtrek
118 meter
Datum laatst gewijzigd
04/07/2006
Aantal adressen op perceel
1
Hoogte boven N.A.P.
G3cx ZvFdeg1BlxVUpgrade naar KadastraleKaart Pro

Veelgestelde vragen

Asterstraat 1 is een adres gelegen in de gemeente Rhenen, provincie Utrecht. Dit adres is geregistreerd in de Basisregistratie Adressen en Gebouwen (BAG) met als unieke identificatie 0340010000342932.

Het pand op Asterstraat 1 is gebouwd in 1969, wat betekent dat het 57 jaar oud is. Dit is een ouder pand. Het pand heeft mogelijk aanzienlijke renovaties nodig om aan de huidige standaarden te voldoen.

De woning op Asterstraat 1 heeft een gebruiksoppervlakte van 167 m². Dit is ruim vergeleken met de gemiddelde Nederlandse woning, die een oppervlakte heeft van ongeveer 119 m². De gebruiksoppervlakte is de maat die wordt gebruikt in de BAG-registratie, de landelijke registratie van de Nederlandse overheid.

Asterstraat 1 heeft als functie: wonen. Deze gebruiksfunctie(s) zijn vastgelegd in de BAG-registratie en geven aan waarvoor het adres officieel mag worden gebruikt.

Asterstraat 1 is gelegen op kadastraal perceel RNN01G4504. Deze kadastrale aanduiding is uniek en wordt gebruikt door het Kadaster om eigendomsrechten en andere zakelijke rechten vast te leggen. Het perceel maakt onderdeel uit van de kadastrale gemeente Rhenen.

Het perceel waarop Asterstraat 1 staat heeft een oppervlakte van 870 m². Dit is een groot perceel. De perceeloppervlakte wordt geregistreerd door het Kadaster. Gedetailleerde informatie over de maten van dit perceel kunt u vinden in het rapport Kadastrale kaart met maatvoering van Asterstraat 1.

De eigenaar van Asterstraat 1 is op te vragen op deze pagina.

De informatie over dit adres is afkomstig uit officiële overheidsregistraties, voornamelijk de Basisregistratie Adressen en Gebouwen (BAG) en de Basisregistratie Kadaster (BRK). Deze gegevens worden beheerd door respectievelijk gemeenten en het Kadaster, en worden regelmatig bijgewerkt. Energielabelgegevens komen uit de database van de Rijksdienst voor Ondernemend Nederland (RVO).

Maatvoeringsrapport

Wie is de eigenaar?

Bekijk de eigenaar van Asterstraat 1 met de eigendomsinformatie.
Bekijk de eigenaar van dit adres.
Maatvoeringsrapport

Maatvoering van het perceel

Bestel de maatvoering voor Asterstraat 1 met het maatvoeringsrapport.
Bestel de maatvoering voor dit adres.

360°-foto's van de omgeving

Google Street View
Upgrade nu voor 360° Street View foto's

Zon en schaduw rondom adres

Buurt
Domineesberg
Inwoners: 960
Woningen: 353
Wijk
Wijk 03 Rhenen Noord
Inwoners: 3.875
Woningen: 1.674
Gemeente
Rhenen
Inwoners: 20.235
Woningen: 8.299