
Seringenplantsoen 101 is gelegen in de plaats Ridderkerk, de gemeente Ridderkerk en de provincie Zuid-Holland. Het verblijfsobject is vergeleken met het Nederlandse gemiddelde aan de kleine kant: de oppervlakte is 88 m². Het perceel waarop het adres zich bevindt heeft een oppervlakte van 2252 m². Vergeleken met de andere verblijfsobjecten in de straat is dit object groot. De oppervlakte van het grootste object in de straat is 495 m², die van het kleinste bedraagt 15 m². In Nederland komt het grootste deel van de gebouwen uit de periode 1965-1984. Ook het bouwjaar van Seringenplantsoen 101 is afkomstig uit die periode: het betreft namelijk een pand uit 1973. Het nieuwste gebouw in de straat komt uit 1976 en het oudste uit 1971. Dit object is relatief oud. De volgende gebruiksdoelen zijn geregistreerd voor dit adres: 'woonfunctie'.
Deze woning is voor het laatst verkocht op 1 januari 2012. Meer informatie over deze transactie? Bestel het Woningtransactierapport om de verkoopprijs en andere informatie te zien.
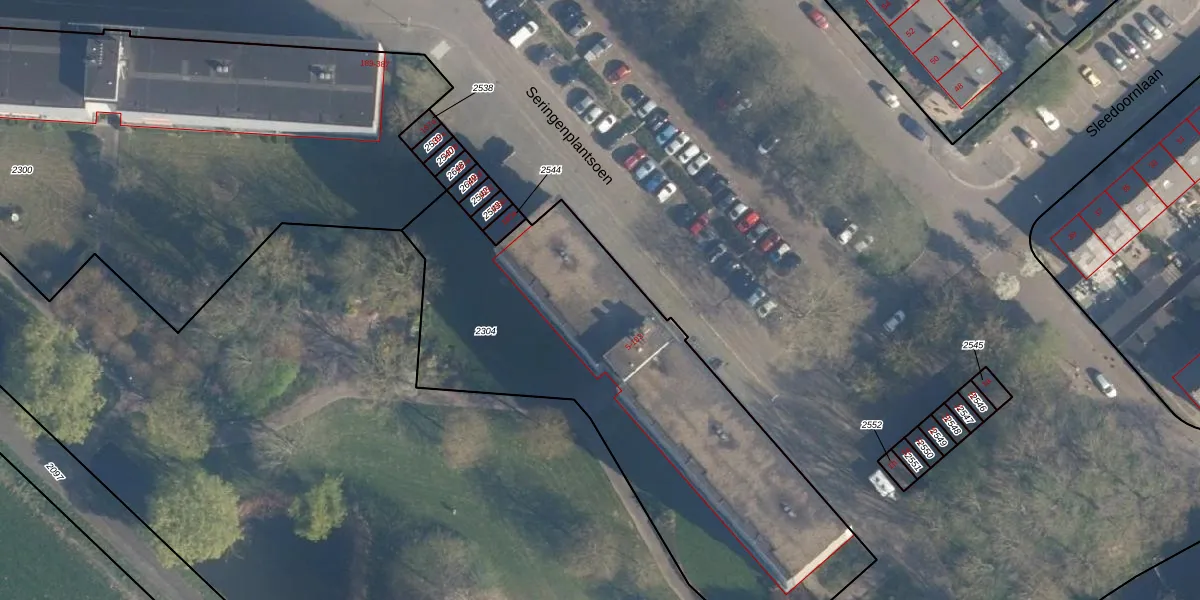
Het adres is gelegen op perceel 2304 in de sectie D en de kadastrale gemeente Ridderkerk. De kadastrale aanduiding is aldus RDK01-D-2304. De oppervlakte van het perceel is 2252 m². Dat is groter dan gemiddeld in Ridderkerk, waar de gemiddelde perceeloppervlakte op 1571,27 m² ligt. Het grootste perceel in de kadastrale gemeente is 61,6 ha. Het kleinste perceel heeft een oppervlakte van 0 m². Op het perceel liggen in totaal 100 adressen. De laatste wijziging in het de Basisregistratie Kadaster (BRK) was op 28-06-2005.
Het adres ligt in een gebouw van het type 'appartement met het subtype tussenmidden'. Bij de laatste meting is voor het adres het energielabel B geregistreerd. Het hoogste energielabel in de straat is A; het laagste is G. Het gemiddelde energielabel is er D. Het adres Seringenplantsoen 101 heeft als status: 'verblijfsobject in gebruik'. Het pand waarin dit adres ligt heeft als status: 'pand in gebruik'.
Seringenplantsoen 101 is een adres gelegen in de gemeente Ridderkerk, provincie Zuid-Holland. Dit adres is geregistreerd in de Basisregistratie Adressen en Gebouwen (BAG) met als unieke identificatie 0597010000233997.
Het pand op Seringenplantsoen 101 is gebouwd in 1973, wat betekent dat het 53 jaar oud is. Dit is een ouder pand. Het pand heeft mogelijk aanzienlijke renovaties nodig om aan de huidige standaarden te voldoen.
De woning op Seringenplantsoen 101 heeft een gebruiksoppervlakte van 88 m². Dit is onder het gemiddelde vergeleken met de gemiddelde Nederlandse woning, die een oppervlakte heeft van ongeveer 119 m². De gebruiksoppervlakte is de maat die wordt gebruikt in de BAG-registratie, de landelijke registratie van de Nederlandse overheid.
Seringenplantsoen 101 heeft als functie: wonen. Deze gebruiksfunctie(s) zijn vastgelegd in de BAG-registratie en geven aan waarvoor het adres officieel mag worden gebruikt.
Seringenplantsoen 101 is gelegen op kadastraal perceel RDK01D2304. Deze kadastrale aanduiding is uniek en wordt gebruikt door het Kadaster om eigendomsrechten en andere zakelijke rechten vast te leggen. Het perceel maakt onderdeel uit van de kadastrale gemeente Ridderkerk.
Het perceel waarop Seringenplantsoen 101 staat heeft een oppervlakte van 2252 m². Dit is een zeer groot perceel. De perceeloppervlakte wordt geregistreerd door het Kadaster. Gedetailleerde informatie over de maten van dit perceel kunt u vinden in het rapport Kadastrale kaart met maatvoering van Seringenplantsoen 101.
De eigenaar van Seringenplantsoen 101 is op te vragen op deze pagina.
De informatie over dit adres is afkomstig uit officiële overheidsregistraties, voornamelijk de Basisregistratie Adressen en Gebouwen (BAG) en de Basisregistratie Kadaster (BRK). Deze gegevens worden beheerd door respectievelijk gemeenten en het Kadaster, en worden regelmatig bijgewerkt. Energielabelgegevens komen uit de database van de Rijksdienst voor Ondernemend Nederland (RVO).
