
Achterpad 40 is een adres in Rijpwetering, dat zich bevindt binnen de gemeentegrenzen van Rijpwetering en de grenzen van de provincie Zuid-Holland. Het object heeft een oppervlakte van 177 m², wat relatief groot is. Het perceel waarop het adres ligt is 785 m² groot. Het object is klein ten opzichte van de andere adressen in de straat. Het grootste verblijfsobject is 311 m² groot en het kleinste is 102 m². Achterpad 40 ligt in een gebouw uit het jaar 2000. Daarmee behoort het tot de groep panden van na 1984, die we als relatief nieuw bestempelen. Vergeleken met de andere panden in de straat is dit gebouw nieuw. Het vroegste bouwjaar is er 1923 en het laatste is 2026. Voor het verblijfsobject gelden deze gebruiksdoelen: 'woonfunctie' en 'industriefunctie'.
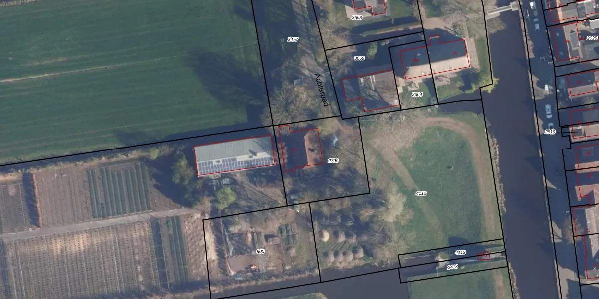
Het perceel waarop het adres ligt is AKM01-D-2790. De afkorting 'AKM01' staat voor kadastrale gemeente Alkemade. De gemiddelde perceelgrootte in Alkemade is 2900,8 m². Dit perceel is kleiner: de perceeloppervlakte bedraagt 785 m². Het grootste perceel in de kadastrale gemeente is 46,1 ha. Het kleinste perceel heeft een oppervlakte van 0 m². Dit is het enige adres dat aanwezig is op het perceel. De huidige grenzen van het perceel zijn digitaal in de Basisregistratie Kadaster (BRK) geregistreerd op 30-10-2007.
Er is geen energielabel geregistreerd voor het adres. Het hoogste energielabel in de straat is A; het laagste is G. Het gemiddelde energielabel is er C. Het adres Achterpad 40 heeft als status: 'verblijfsobject in gebruik'. Het pand waarin dit adres ligt heeft als status: 'pand in gebruik'.
Achterpad 40 is een adres gelegen in de gemeente Kaag en Braassem, provincie Zuid-Holland. Dit adres is geregistreerd in de Basisregistratie Adressen en Gebouwen (BAG) met als unieke identificatie 1884010000004621.
Het pand op Achterpad 40 is gebouwd in 2000, wat betekent dat het 26 jaar oud is. Dit is een pand van middelbare leeftijd. Het pand is van gemiddelde leeftijd en zal waarschijnlijk verouderde elementen bevatten.
De woning op Achterpad 40 heeft een gebruiksoppervlakte van 177 m². Dit is ruim vergeleken met de gemiddelde Nederlandse woning, die een oppervlakte heeft van ongeveer 119 m². De gebruiksoppervlakte is de maat die wordt gebruikt in de BAG-registratie, de landelijke registratie van de Nederlandse overheid.
Achterpad 40 heeft als functie: wonen en industrie. Deze gebruiksfunctie(s) zijn vastgelegd in de BAG-registratie en geven aan waarvoor het adres officieel mag worden gebruikt.
Achterpad 40 is gelegen op kadastraal perceel AKM01D2790. Deze kadastrale aanduiding is uniek en wordt gebruikt door het Kadaster om eigendomsrechten en andere zakelijke rechten vast te leggen. Het perceel maakt onderdeel uit van de kadastrale gemeente Alkemade.
Het perceel waarop Achterpad 40 staat heeft een oppervlakte van 785 m². Dit is een groot perceel. De perceeloppervlakte wordt geregistreerd door het Kadaster. Gedetailleerde informatie over de maten van dit perceel kunt u vinden in het rapport Kadastrale kaart met maatvoering van Achterpad 40.
De eigenaar van Achterpad 40 is op te vragen op deze pagina.
De informatie over dit adres is afkomstig uit officiële overheidsregistraties, voornamelijk de Basisregistratie Adressen en Gebouwen (BAG) en de Basisregistratie Kadaster (BRK). Deze gegevens worden beheerd door respectievelijk gemeenten en het Kadaster, en worden regelmatig bijgewerkt. Energielabelgegevens komen uit de database van de Rijksdienst voor Ondernemend Nederland (RVO).
